네임
카드
카드
글로리피싱
여수시 돌산읍 신기길 91
010-2883-3119
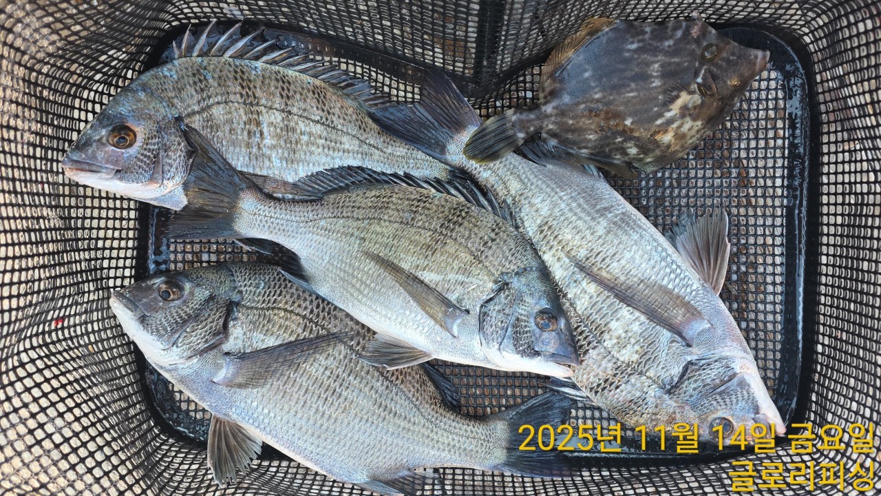
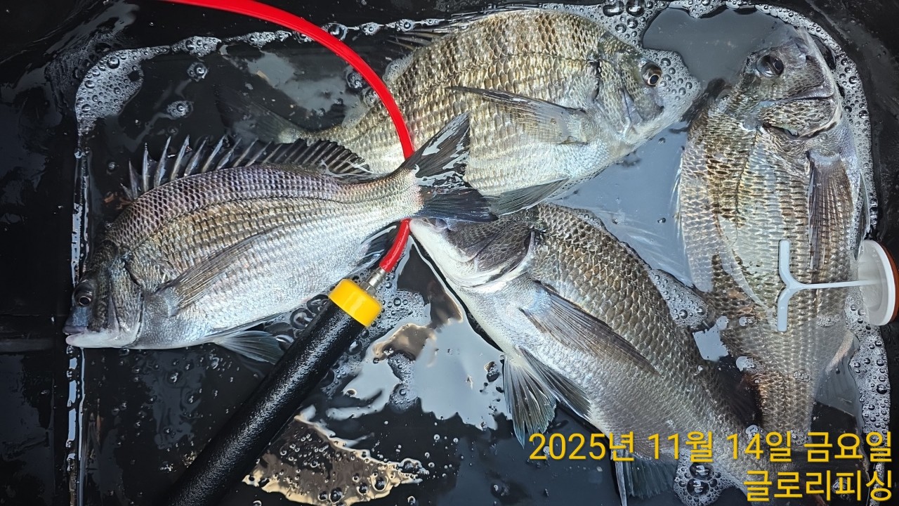
글로리호 14일 조황입니다
여수시 돌산읍 신기길 91

낚시하기 너무 좋은 계절입니다.
대물은 안보여도 꾸준히 마릿수 손맛을 보시고 철수하시네요.
오늘은 아쉽게도 손맛을 못보고 철수하신 분도 계시네요.
기대를 하고 진입한 포인트였는데 바로 앞쪽에 자망그물을 설치하더라는..
두어달만에 주말 좋은 기상이 옵니다. 가을 소풍 떠나는 기분으로 달려보시죠!!








1-1. 출항 시간
1-3. 글로리피싱 밴드 안내
https://band.us/@gloryfishing
|
|
|
|

