네임
카드
카드
척포동성피싱
경남 통영시 산양읍 척포길 148
010-9231-2000
010-7383-2100
경남 통영시 산양읍 척포길 148


▶ 지켜주세요! ◀
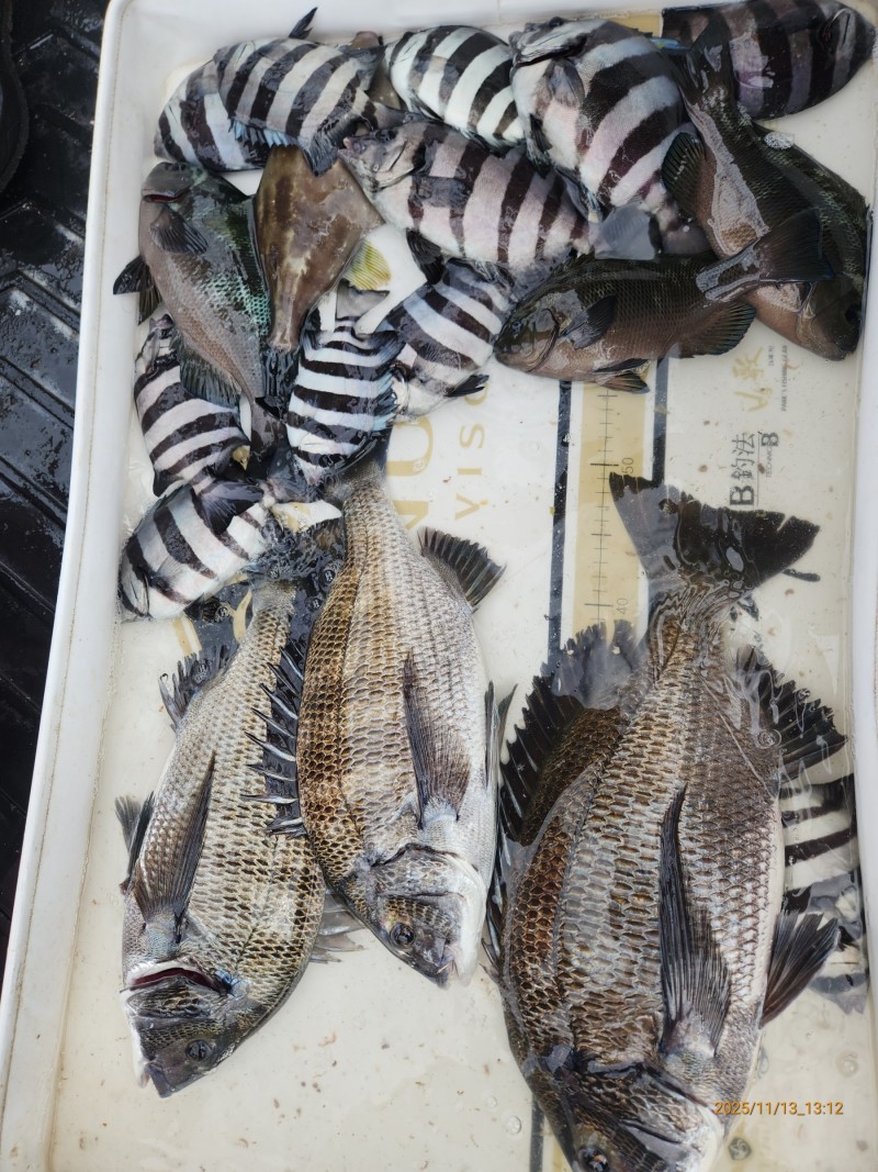
반갑습니다 척포 동성호 설선장입니다
조사님들께서 감성돔.돌돔을 잡아오셨네요.
수고 많으셨습니다
출조는 계속됩니다
문의전화 전화는
010-9231-2000
☆ 공지사항에 '조황등재시 유의사항' 게시글을 꼭 확인하시고 조황작성 부탁드리며, 가장 기본적인
규칙이 지켜지지 않을 시 예고없이 글 삭제 및 이용정지 될 수 있음을 알려드립니다.
|
|
|
|

