호진호 감성돔과 뺀찌조항
01월 28일(수)
인낚 현재접속자
3,894명 (
310
)
공지사항
인낚도서관
점주선장전용 공지사항
로그인
광고/제휴 문의
운영진에게
인낚ㅣ인터넷바다낚시
0
어종별선상
어종별갯바위
낚시인조황
점주선장조황
출조정보
낚시광장
낚시지식인
낚시교실
중고장터
휴게실
인낚도서관
인낚몰
0
어종별선상
4대돔 조황
먹물 조황
갈치 조황
볼락&전갱이
빅게임 지깅&파핑
외줄&외수질
기타 어종
어종별갯바위
4대돔 조황
먹물 조황
갈치 조황
볼락&전갱이
농어&삼치&방어&부시리
기타 어종
낚시인조황
낚시인 번개조황
낚시인조행기
스탭조행기
우리낚시동호회이야기
전국낚시동호회소개
동호회갤러리
지난 조황자료보기(년도별 조황 자료)
점주선장조황
전국 실시간 조황
선상(배)+좌대 조황
갯바위+방파제 조황
점주선장전용 공지사항
지난 조황자료보기(년도별 조황 자료)
출조정보
낚시인동행출조
점주선장 갯바위 출조
점주선장 선상출조
기상파고정보(기상청)
해상예보
물때표
파고예보(일본)
실시간해양관측예보
스마트조석예보
낚시광장
낚시계뉴스
대회 및 낚시관련 홍보
제품평가단
신상품소개
낚시지식인
Q&A 묻고 답하기
지식인 베스트
조황/포인트 문의
낚시용품 사용기
낚시투표
토론방
新어류도감
낚시교실
낚시기법소개
어종별 낚시교실
입문자교실
중급자교실
낚시용어사전
중고장터
중고장터 이용후기
더치트 사기피해 검색
팝니다
삽니다
교환합시다
무료로 드립니다
부품팝니다
부품삽니다
일반 생활용품 사고 팔기
휴게실
출석부
낚시갤러리
세상사는 이야기(자유게시판)
낚시이야기 마당
먹고사는 이야기
구인구직
칭찬합니다
어째이런일이
습득물 찾기
인낚도서관
인낚 유튜브
인낚 칼럼
블루, 그것이 알고싶다
더블테일의 두 눈으로 보는 세상
입질의추억의 피싱다이어리
나無의 바다 이야기
전문강좌
海巖의 바다낚시 이야기
이성규의 전유동낚시 강좌
조성민의 금요루어클럽
메인
어종별선상
어종별갯바위
낚시인조황
점주선장조황
출조정보
낚시광장
낚시지식인
낚시교실
중고장터
휴게실
인낚도서관
인낚몰
0
전국 실시간 조황
선상(배)+좌대 조황
갯바위+방파제 조황
점주선장전용 공지사항
지난 조황자료보기(년도별 조황 자료)
점주/선장 >
갯바위 + 방파제 조황
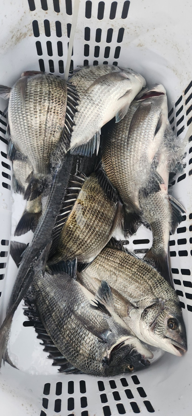
호진호 감성돔과 뺀찌조항
낫개호진호
0
552
2025.11.08 18:40
● 출항지 : 부산
● 출조지 : 부산
● 출조인원 : 16~20명
네임
카드
낫개호진호
부산 사하구 다송로72번길 67
010-9311-3096
051-262-2292
실시간 예약
홈페이지
밴드 바로가기
유튜브/SNS
11월1일부터 첫배가 5시입니다
참고하세요^^^^^
안녕 하세요
오늘 뺀찌 와 감성돔조항입니다
내일도 정상출조 합니다
오늘 출조하신 조사님 고생했습니다
===================================
안녕하세요 다대포 낫개 호진호입니다.^^ (부산 사하구 다송로72번길 67/ 다대동1584-6)
저희 호진호는 호진호
첫배로 내만,나무섬 함께 출조 가능하오니
원하시는 포인트로 신속하고 안전하게 모셔다 드리겠습니다.
===================================
★호진호선비 및 출입항 정보★
-내만권 : 20,000원
-나무섬 : 30,000원
-형제섬 : 40,000원
-외 섬 : 50,000원
*야간낚시 기존선비 +10,000원 / 야영낚시 기존선비 +20,000원 입니다.
기상에 문제가 없는한 야영낚시 가능합니다.
야간 문의는 언제든지 문의 주시면 협의 후 진행 가능합니다.
*하절기 첫배 04:00 (5월~10월)
> 5월부터 10월말까지 오전 04시 첫배이오니 착오 없으시길 바랍니다.
*동절기 첫배 05:00 (11월~4월)
>11월부터 4월말까지 오전 05시 첫배이오니 착오 없으시길 바랍니다.
!!꼭 출항시간 1시간 전에는 매장으로 도착 부탁드립니다!!
*매월 두번째 월요일은 휴무입니다.
===================================
★출조, 철수시간★
<<내만>>
- 첫배 04:00 (1시간 전 도착)/ 2항차 06:00 (30분 전 도착) /첫배 이후 정각에 맞춰 수시 출항(선장 문의)
* 철수시간 - 12:00, 14:00, 16:00, 21:00(야간 철수)
<<나무섬>>
- 첫배 04:00 (1시간 전 도착)/ 2항차 06:00 (30분 전 도착, 2항차 부터 3인이상 출항)
* 철수시간 - 11:30(항에서11:00출발), 16:00(항에서 15:30출발), 21:00(야간 철수)
* 나무섬 3인, 형제섬 4인, 외섬 5인 이상부터 출항합니다.(선장과협의)
*호진호 가게 연락처 : 051-262-2292
*호진1호 선장님 연락처 : 010-9311-3096
===============================
0
신고
목록
0
댓글
로그인한 회원만 댓글 등록이 가능합니다.
×
Image Upload
로그인한 회원만 등록가능합니다.
포토
제목
이름
날짜
[통영] 완전종일) 상큼하게 5짜탱크로 스타트~(05시-17시)
출항지 : 통영 / 출조지 : 통영
파워피싱아일랜드호
217
4분전
파워피싱아일랜드호
14:50
[여수,광양] 1/28 수요일 때깔좋은 감성돔소식~~~!!!!!
출항지 : 여수,광양 / 출조지 : 여수,광양
여수153낚시
7
7분전
여수153낚시
14:47
[통영] 갈도!! 밤볼락들 양호해집니다~~
출항지 : 통영 / 출조지 :
통영히트피싱
10
13분전
통영히트피싱
14:41
[여수,광양] 쏟아지네요 14수부터 마릿수가 나와줍니다.~~내일도자리여유
출항지 : 여수,광양 / 출조지 :
여수그랜드맥스호
17
17분전
여수그랜드맥스호
14:37
[여수,광양] 1/28 금오열도 갯바위 감성돔 조황입니다.
출항지 : 여수,광양 / 출조지 : 여수,광양
[여수]낚시군단
26
39분전
[여수]낚시군단
14:15
[통영] 욕지권 대물사냥갑니다~
출항지 : 통영 / 출조지 : 통영
독도피싱
90
54분전
독도피싱
14:00
[여수,광양] 29일 금오열도 갯바위 감성돔 출조합니다
출항지 : 여수,광양 / 출조지 :
피싱메카호
68
2시간전
피싱메카호
12:41
[거제] 감성돔 카고 조황 입니다 금 토 예약 가능
출항지 : 거제 / 출조지 : 거제
거제고잉메리호
68
4시간전
거제고잉메리호
11:21
[통영] 직벽호]감성돔4짜4짜 도아님모...
출항지 : 통영 / 출조지 : 통영
통영직벽피싱
280
5시간전
통영직벽피싱
10:04
[거제] "감성돔" 5짜 4짜 4짜 4짜 ..."학꽁치" "굿"
출항지 : 거제 / 출조지 : 거제
거제가자피싱랜드
236
5시간전
거제가자피싱랜드
09:25
[통영] 척포[제일호] 밤 뽈락 조황~~정상출항~~
출항지 : 통영 / 출조지 : 통영
척포제일호
202
7시간전
척포제일호
08:14
[통영] 독도]욕지권 감성돔사냥~
출항지 : 통영 / 출조지 : 통영
독도피싱
270
13시간전
독도피싱
02:05
[통영] 완전종일)탱크터져도 51cm외마리수~(05시-17시)
출항지 : 통영 / 출조지 : 통영
파워피싱아일랜드호
485
15시간전
파워피싱아일랜드호
00:05
[장흥,완도] 황제도권 감성돔 씨알,마릿 수 굿 ~~
출항지 : 장흥,완도 / 출조지 :
레져아일랜드
130
01.27
레져아일랜드
01.27
[울산] 1/27일 장생포 동네낚시 떡전어 조황
출항지 : 울산 / 출조지 : 울산
장생포털보낚시
82
01.27
장생포털보낚시
01.27
초기화
날짜순
조회순
검색
1
2
3
4
5
Search
검색대상
제목
내용
제목+내용
회원아이디
회원아이디(댓글)
글쓴이
글쓴이(댓글)
또는
그리고
검색어
필수
검색
닫기
검색조건
제목
내용
제목+내용
회원아이디
회원아이디(코)
글쓴이
글쓴이(코)
검색어
또는
그리고
검색
인낚몰 초특가
MAEK 맥 호래기 대바늘 호래기콕 J타입 (카본바디 2입)
어부공방 NEW 호래전
야마시타 SB 호래기 대바늘
★3,000★ 하야부사 6단 볼락 전갱이 카드채비 SD724 볼락채비
★1,000★볼락낚시에 최적인 메바트로볼 - 캐스팅볼, 메바볼
★13,000~★3NO 일본 오리지날 직수입 극강 멀티 무광 마크사 원줄
★500★ W쿠션 멀티 수중찌 M L - 전유동 반유동 끄심바리 필수품 수중쿠션
★5,900★ 여러개 있으면 아주 좋은 EVA 시스템 백
★ 1+1 플로팅, 세미, 카본 낚시줄 행사 호수선택가능 / 택상 1+1 원줄, 목줄 행사
★6,000★ 예민함의 끝판왕 애니원찌 벵에돔찌 학공치찌
★15,000★ 오동목 구멍찌 5개 + 메쉬 찌케이스 세트
★22만원★ 40W 집어등을 이 가격에!