수.목.초도권 조황 입니다.

신상품 소개


회원 랭킹


공지사항


NaverBand
점주/선장 > 갯바위 + 방파제 조황

수.목.초도권 조황 입니다.

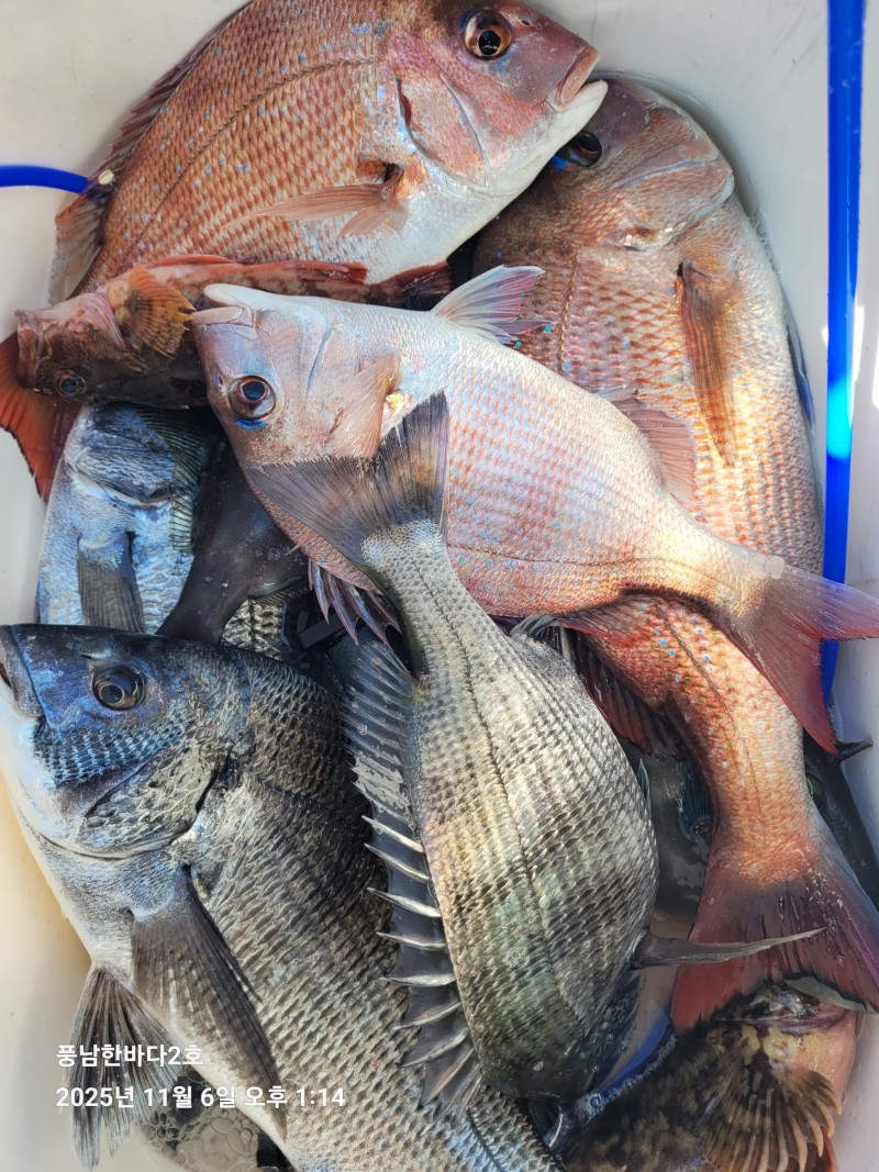
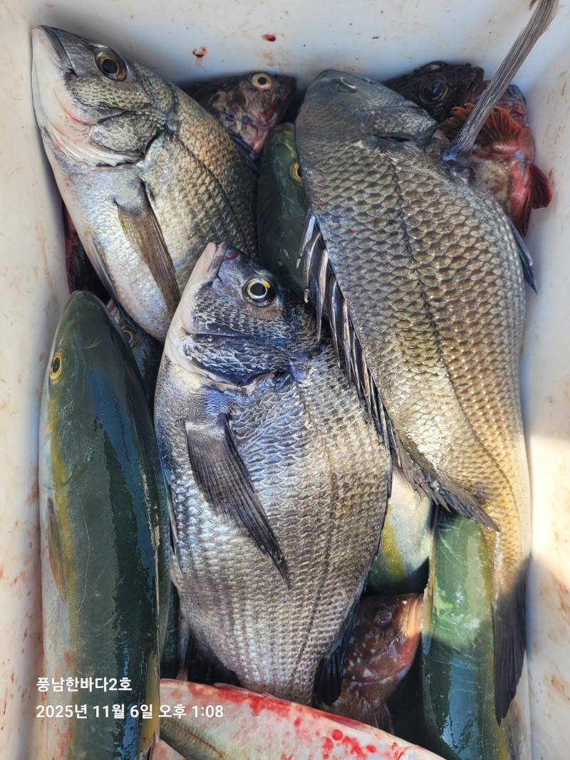
고흥한바다2호 0 506
● 출항지 : 고흥,녹동
실시간 예약 밴드 바로가기

목요일 씨알이 조금은 아쉬지만 당일 

9분 전원 손맛보고 철수 했습니다.


일요일 초도권 당일 낚시 출조 합니다.


고흥 한바다2호: 010 -4612 -7015

배타는 곳: 전남 고흥군 풍양면 풍남항 


고흥 한바다2호 밴드 

https://band.us/band/58289816516235aaceaee8f17d055fdf940bcce1_1762469208_2066.jpg



516235aaceaee8f17d055fdf940bcce1_1762469210_9552.jpg



516235aaceaee8f17d055fdf940bcce1_1762469213_8372.jpg



516235aaceaee8f17d055fdf940bcce1_1762469216_8545.jpg



516235aaceaee8f17d055fdf940bcce1_1762469219_5444.jpg



516235aaceaee8f17d055fdf940bcce1_1762469222_1998.jpg



516235aaceaee8f17d055fdf940bcce1_1762469234_8828.jpg



516235aaceaee8f17d055fdf940bcce1_1762469237_4134.jpg



516235aaceaee8f17d055fdf940bcce1_1762469240_1131.jpg



516235aaceaee8f17d055fdf940bcce1_1762469254_9257.jpg



516235aaceaee8f17d055fdf940bcce1_1762469258_1428.jpg



516235aaceaee8f17d055fdf940bcce1_1762469260_8088.jpg



516235aaceaee8f17d055fdf940bcce1_1762469262_7198.jpg



516235aaceaee8f17d055fdf940bcce1_1762469264_8632.jpg


 

  • 페이스북으로 보내기
  • 트위터로 보내기
  • 구글플러스로 보내기
  • 카카오스토리로 보내기
  • 네이버밴드로 보내기
  • 네이버로 보내기
  • 텀블러로 보내기
  • 핀터레스트로 보내기
0 댓글
포토 제목
 
 

인낚 최신글


인낚 최신댓글


온라인 문의 안내


월~금 : 9:00 ~ 18:00
토/일/공휴일 휴무
점심시간 : 12:00 ~ 13:00