네임
카드
카드
고흥명성피싱호
전남 고흥군 풍양면 죽천길 21-8 꽃담바다 명성피싱호
010-3610-8884
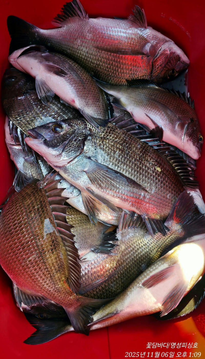
6일(목)초도권 조황!
전남 고흥군 풍양면 죽천길 21-8 꽃담바다 명성피싱호
유자향 가득한!고흥풍남항!꽃담바다 명성피싱호와 바다로 일상탈출!
●목요일 소수인원을 모시고 초도권역 새벽출조 다녀왔습니다!
너울로 인하여 포인트 편차가 있었네요!
꽃담바다 명성피싱호와 함께하여주신 조사님께 감사드리며,,,
●현재 바다기상 예보상,,,
●화요일 부터 초도권역 새벽출조 가능할것으로 예상됩니다!
출조관련하여 연락주시면 친절히 안내해 드리겠습니다!

법인(유)꽃담바다 명성피싱호
♡꽃담바다 명성피싱호 밴드 및 유투브에서 더많은 소식을 보실 수 있습니다!








▶ 지켜주세요! ◀
|
|
|
|

