네임
카드
카드
완도국제낚시
전남 완도군 완도읍 장보고대로 56
1호 010-3607-6457
2호 010-6435-6457
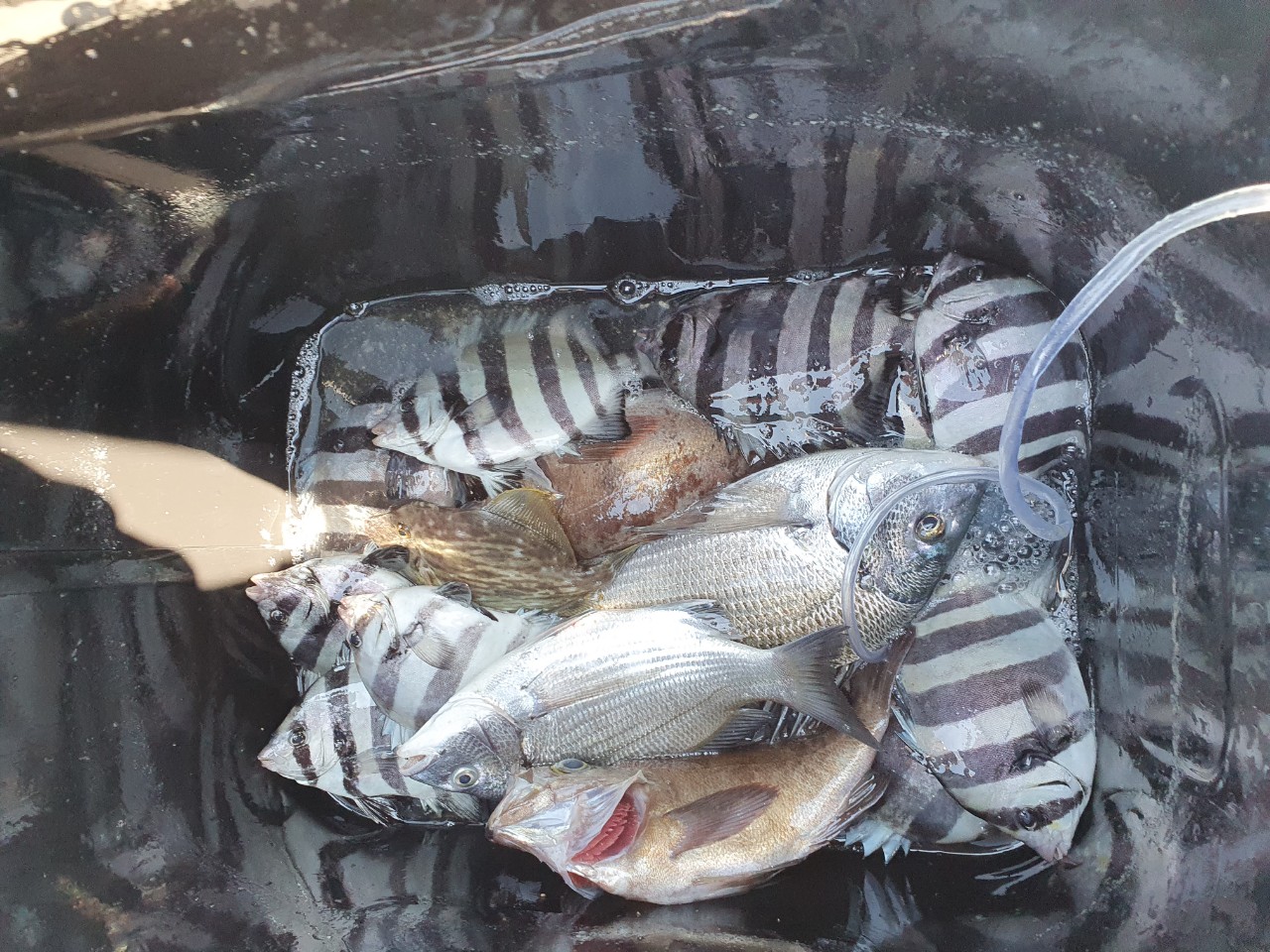
대모도권 쏟아지는 `굿` 조황!!! 전역에서쏟아지기 시작합니다!!!!
전남 완도군 완도읍 장보고대로 56












안녕하십니까
완도권 갯바위 전문출조 완도국제낚시입니다.
한산한 수요일 대모도권 출조다녀왔습니다
물색이 돌아오니 마릿수 조황이 나와주었습니다
아직은 잡어가 많아서 대체미끼는 필수입니다
찾아주신 조사님들 수고하셨습니다
매일매일 1호 2호 출조합니다
1호 청산도 대모도 출조
2호 청산도 대모도 여서도 갯바위 선상 매일출항
기상만 좋으면 매일 대모도권 청산도권 여서도권
갯바위&선상출조합니다.
1호 대모도권 청산도권 출조문의 = 010-3607-6457
2호 대모도권 청산도권 출조문의 = 010-6435-6457
선박2척으로 매일 갯바위 & 선상 출조합니다
네이버 밴드 : https://band.us/band/73522028
|
|
|
|

