네임
카드
카드
낚시가좋아two










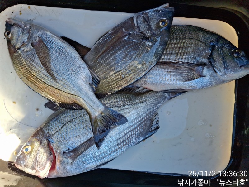
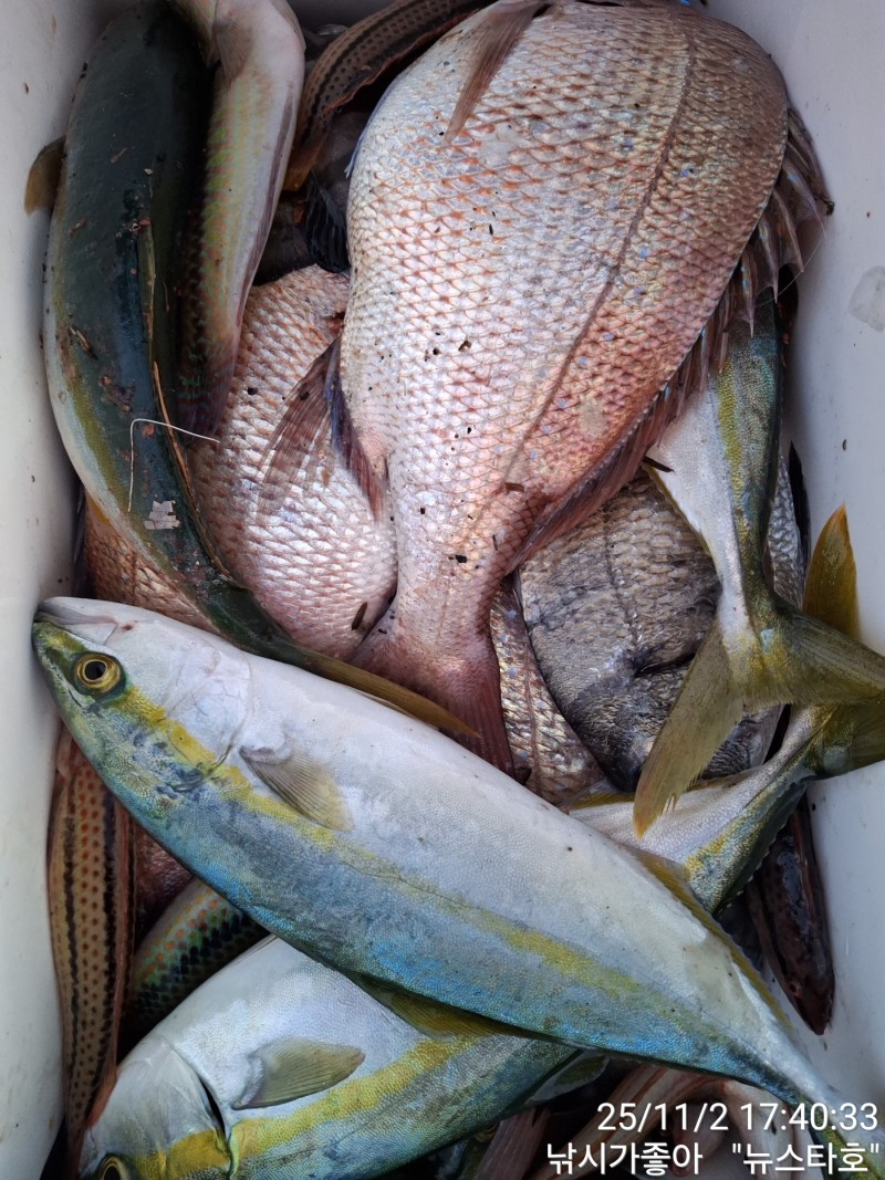
안녕 하십니까! 남해 미조에 낚시가좋아(뉴스타호)인사 드립니다 금일 조황 올려 드립니다 주말을 맞아 조사님들께서 찾아 주셨습니다 하지만 예보대로 바람이 시원하게 불어 주었네요 그래도 대상어종은 나와주네요 오늘 하루도 고생들 많으셨습니다 즐거운 저녁시간들 되시고 마무리 잘하시길 바랍니다 감사합니다
*출조시 밑밥및 소품은 준비하여 오셔도 무방하오며 혹여나 준비하시질 못하신 분들을 위하여 최상급 크릴을 준비해 놓도록 하겠습니다 감사합니다*
*출조및 문의사항*
상호:낚시가좋아(뉴스타호)
주소:경남 남해군 미조면 동부대로9
선장님:010-6434-0015
|
|
|
|

