낚시뚜에서 인낚으로 보내는 자동조황 | 민어킬러 신바다호 |  |
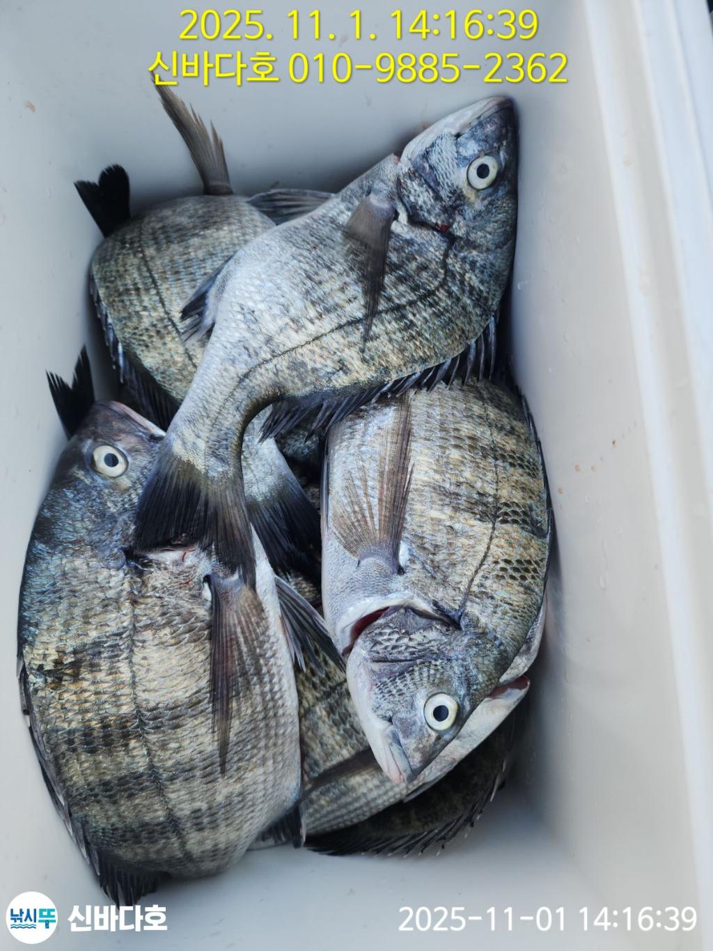
| · 출조일시 | 2025-11-01(토) | | · 출조인원 | 6명 | | · 어종 | 감성돔 |
|
|
|
      |
오늘도 신바다를 찾아주신 조사님들 감사합니다.
신분증 꼭 준비하십시요 밑밥(막기) 필요하신분은 전날 말씀 해주세요 출조지: 형도.제도. 외룡도.본도 3만 농여.모황도.진섬 3만5천 선창주소:전남 완도군 신지면 신지로 1012-16 신바다호 010-9885-2362 |
| 네비주소 : | 전남 완도군 신지면 신지로 1012-16 |
| 예약문의 010-9885-2362 | 수협 0000 9885 2362 최문석 |
|
|  | | 민어킬러 신바다호 최문석 선장 |  | | 항구명 | 가인리항 | | 승선인원 | 8명 | | 출조점명 | 신지신바다 | | 배 타는 곳 | 전남 완도군 신지면 신지로 1012-16 |
| 홈페이지 바로가기 Click |
|
 |
▶ 지켜주세요! ◀
- 당일 조황을 올리셔야 합니다.
- 지난 조황은 2일이내 미등록 조황만 가능합니다.
- 이미 올린 조황을 붙여넣기하여 계속 등재하시면 중복조황에 해당합니다.
- 당일 조황을 올리면서 이전 조황을 같이 올리면 중복조황에 해당합니다.
- 조황없는 출조정보는 출조정보 게시판을 이용하시길 바랍니다.
- 올린 글 삭제하고 다시 올려 상단에 올리려는 방법, 이용규칙 위반입니다.
- 제목에 특수문자 사용하시면 안됩니다. (온점, 쉼표, 느낌표, 괄호, 물결만 허용)
☆ 공지사항에 '조황등재시 유의사항' 게시글을 꼭 확인하시고 조황작성 부탁드리며, 가장 기본적인
규칙이 지켜지지 않을 시 예고없이 글 삭제 및 이용정지 될 수 있음을 알려드립니다.