카드
경남 통영시 산양읍 산양일주로 1429-17
경남 통영시 산양읍 산양일주로 1429-17













통영 파워피싱 아일랜드호 입니다
지난주말출조이후 날씨도 별로였고
선박정비도 할겸 주중은 쉬고있습니다
토요일,일요일 욕지권 갯바위
정상출항합니다
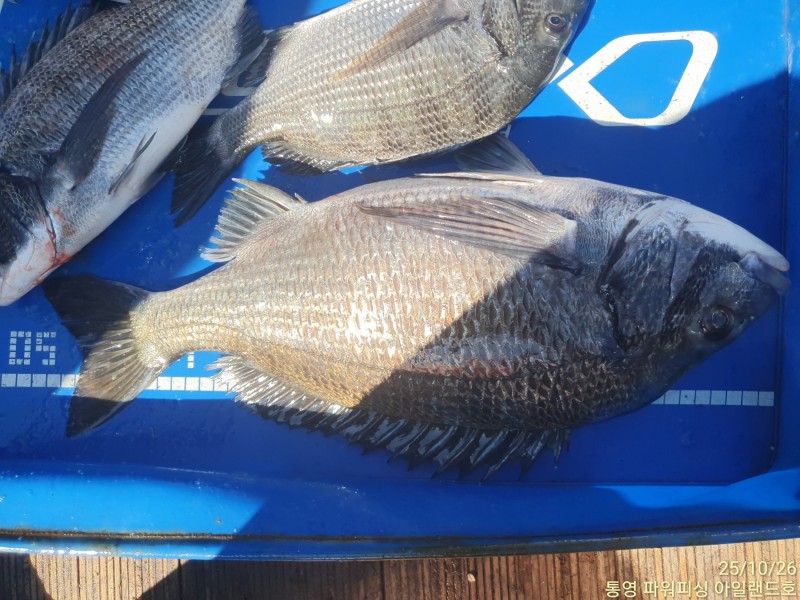
사진은 지난 주말조황입니다
51감성돔 2수외 감성돔,참돔들이
마리수로 제법 올라왔습니다
이제 욕지권갯바위 본 시즌이 된듯합니다
갯바위 대표어종 감성돔부터 참돔,뱅에돔
뺀찌등 여러어종들이 낚이는 시기입니다
이번주 토요일 03시부터 욕지권 갯바위
정상출항합니다
파워피싱 아일랜드호는 계류장 사무실앞에
넓직한 전용주차장이있어 주장걱정 않으셔도 됩니다
주요출조지는 욕지권전역이며 상황에따라
사량도,나무여,추도,두미도,갈도,좌사리도 도
출조합니다
선비
사량도,추도 4만원
나무여 5만원
두미,욕지권(연화,초도) 6만원
좌시리도 6.5만원
갈도 7만원
지금시기는 대부분 어종들이 바닥층보다는
약간 떠서 무는 경향이 많으니 참고 하세요
반유동 보다는 전유동이 마리수 조과가 있습니다
출조하신 조우님들 수고 많으셨습니다
예약 하실때 대상어종만 말씀해주시면 어종에
맞는 최고의 포인트로 최대한 손맛 즐기실수있게
모셔드릴것을 약속드립니다
파워피싱아일랜드호는
선장이기 이전에 낚시인의 마음으로
조우님들의 출조길이 즐거워지실수 있도록
출조하신 조우님 한분 한분 최선으로
선장이 피곤해져야 조우님들이 즐거워진다는
마인드로 모시겠습니다
출조,철수시에 선실내 냉,난방기 가동됩니다
선박후미에 시원한음료와 라면등간단한 간식거리
준비되어있습니다
예약,출조문의는 010 8517 1782
네비주소
통영시 산양읍 산양일주로 1429-17
파워피싱 아일랜드호 밴드로 초대합니다
밴드가입시 실명가입 부탁드립니다
https://band.us/@powerfs
https://island.sunsang24.com/ship/schedule_fleet/
|
|
|
|

