독도]욕지권 일단 터지고시작~감성돔.참돔조황
인낚ㅣ인터넷바다낚시
어종별선상
어종별갯바위
낚시인조황
점주선장조황
출조정보
낚시광장
낚시지식인
낚시교실
중고장터
휴게실
인낚도서관
인낚몰
0
홈
어종별선상
어종별갯바위
낚시인조황
점주선장조황
출조정보
낚시광장
낚시지식인
낚시교실
중고장터
휴게실
인낚도서관
인낚몰
어종별선상
어종별갯바위
낚시인조황
점주선장조황
출조정보
낚시광장
낚시지식인
낚시교실
중고장터
휴게실
인낚도서관
인낚몰
어종별선상
4대돔 조황
먹물 조황
갈치 조황
볼락&전갱이
빅게임 지깅&파핑
외줄&외수질
기타 어종
어종별갯바위
4대돔 조황
먹물 조황
갈치 조황
볼락&전갱이
농어&삼치&방어&부시리
기타 어종
낚시인조황
낚시인 번개조황
낚시인조행기
스탭조행기
우리낚시동호회이야기
전국낚시동호회소개
동호회갤러리
지난 조황자료보기(년도별 조황 자료)
점주선장조황
전국 실시간 조황
선상(배)+좌대 조황
갯바위+방파제 조황
점주선장전용 공지사항
지난 조황자료보기(년도별 조황 자료)
출조정보
낚시인동행출조
점주선장 갯바위 출조
점주선장 선상출조
기상파고정보(기상청)
해상예보
물때표
파고예보(일본)
실시간해양관측예보
스마트조석예보
낚시광장
낚시계뉴스
대회 및 낚시관련 홍보
제품평가단
신상품소개
낚시지식인
Q&A 묻고 답하기
지식인 베스트
조황/포인트 문의
낚시용품 사용기
낚시투표
토론방
新어류도감
낚시교실
낚시기법소개
어종별 낚시교실
입문자교실
중급자교실
낚시용어사전
중고장터
중고장터 이용후기
더치트 사기피해 검색
팝니다
삽니다
교환합시다
무료로 드립니다
부품팝니다
부품삽니다
일반 생활용품 사고 팔기
휴게실
출석부
낚시갤러리
세상사는 이야기(자유게시판)
낚시이야기 마당
먹고사는 이야기
구인구직
칭찬합니다
어째이런일이
습득물 찾기
인낚도서관
인낚 유튜브
인낚 칼럼
블루, 그것이 알고싶다
더블테일의 두 눈으로 보는 세상
입질의추억의 피싱다이어리
나無의 바다 이야기
전문강좌
海巖의 바다낚시 이야기
이성규의 전유동낚시 강좌
조성민의 금요루어클럽
인낚몰
홈소개
공지사항
자주 묻는 질문
운영진에게
광고/제휴문의
로그인
자동로그인
회원가입
|
정보찾기
점주선장조황
전국 실시간 조황
선상(배)+좌대 조황
갯바위+방파제 조황
점주선장전용 공지사항
지난 조황자료보기(년도별 조황 자료)
신상품 소개
긱스 나노에이스
낚시고 미장구레 VIP 대본류 벵에돔 파우더
낚시고 위력 벵에돔 파우더
천류 카모 피싱백
천류 레자 피싱백
zzis 찌스 전자기울찌 호리존탈 전유동전용 출시!
회원 랭킹
29
1
대부도1
28
2
오사마리
26
3
울트
18
4
왕초보태공
16
5
마루미르
14
6
시작하는채비와장비
13
7
Nike1972
13
8
목줄은내꺼
12
9
꿈의사냥5짜
12
10
거제그놈
12
11
잡어바글바글
12
12
bk2
11
13
로그온
10
14
sss1185
10
15
감성돔대장
10
16
방어지코
10
17
벵병
10
18
상석바위
9
19
군산감생킬러
9
20
부산그녀석
9
21
대물헌트
8
22
타짜감시
8
23
퓨나인
8
24
신용대
8
25
쌍칼라
8
26
내만벵에
8
27
쌩기똥기
8
28
리치망고제주
8
29
굼낚시왕
8
30
삼정그린토아
7
31
배팡
7
32
사하주민
7
33
영종도청이
7
34
육짜방생
7
35
새조개
7
36
모카사랑해
7
37
벵에저격수ㅋㅋ
7
38
쌈싸미
7
39
민쓰
7
40
젠틀낚시
7
41
검은바다
6
42
감성전설
6
43
갓바우조사
6
44
G3매니아
6
45
블루피싱호
6
46
동해살감시
6
47
울산동구27
6
48
보이는게다야
6
49
구태2
6
50
연산동아톰
6
51
벵에만한다
6
52
4계절벵에
6
53
촌놈남해
6
54
숲공
6
55
시간없어이것들아
6
56
여수태평양전동릴
6
57
밖미역섬
6
58
방생또방생
6
59
앵그리정
6
60
감생똥자
6
61
아빠어부야
6
62
블루홀리
6
63
여조사
6
64
취한다
5
65
Donf까
5
66
전유동매니아
5
67
개꽝도사
5
68
HoYaHoYa
5
69
말랑파파
5
70
삐까리절친
5
71
나라스카이2.5
5
72
김갈치
5
73
감시마을
5
74
한번만쮸
5
75
바다의귀공자™
5
76
엘리트낚시꾼
5
77
양산서가이드피싱샵
5
78
최리무진
5
79
무릅고배이
5
80
긴꼬리망상돔
5
81
어릴적꿈
5
82
치악산돼지
5
83
심통구리
5
84
존갈리아노
5
85
미풍
5
86
제롬느벤너
4
87
3짜이하방생
4
88
소방관낚시꾼
4
89
물망사
4
90
놈을찾아
4
91
김감시
4
92
바다감시JH
4
93
헤리포타2
4
94
번디기
4
95
포포님
4
96
지나온추억
4
97
김해장유아디다스
4
98
집나간넷째
4
99
화니이123
4
100
달조사
공지사항
09.01
★ 2025년 9월 5일 사이트 리뉴얼 오픈 안내
06.09
★ "Connect Error: No such file or directory" 에러가 발생시
05.29
★ 카이퍼넷 방화벽 차단시 설정방법
07.03
★ 사이트 정상운영 ★ 24.07.03
06.19
★ 사이트 정상운영 ★ 24.06.19
06.17
★ 사이트 정상운영 ★
06.14
★ 서비스 일시정지 - 서버이전작업 ★
07.14
★ 112차 제품평가단 위촉 명단 발표
07.07
★ 112차 제품평가단모집 - 1차
11.01
★ 111차 제품평가단 위촉 명단 발표
점주/선장 >
갯바위 + 방파제 조황
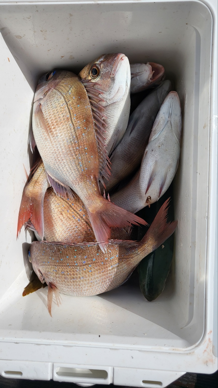
독도]욕지권 일단 터지고시작~감성돔.참돔조황
독도피싱
0
444
2025.10.28 12:04
● 출항지 : 통영
● 출조인원 : 6~10명
네임
카드
독도피싱
통영시 도산면 도산일주로 2284
010-3225-0060
실시간 예약
홈페이지
밴드 바로가기
유튜브/SNS
예약문의
010-3225-0060
유선장
지난주말 조황입니다
불감당의 터트림으로 시작하셨습니다
포인트마다 그날 상황을 예측할순없으나
몇방씩 터지는것을 기본으로 출발합니다
채비 많이 신경써주시고
대체미끼도 챙겨보시는게 좋습니다
감성돔.참돔.벵에돔.뺀찌를 대상어로
욕지권으로 출항합니다
☆https://band.us/@dokdofishing
"시즌에따라"
사량도.나무여.두미도
욕지권.좌사리.갈도로
출조지가 정해지는점
참고하여주세요
바다조황은
장담할수없고 알수도없지만
만족스런 호조황을 위해
선장은 늘 최선을 다해
최고의 포인트로 모시겠습니다
▫️예약문의
010.3225.0060 유선장
010.2585.1130 복님이
*부재시 문자 남겨주세요*
▫️선비
사량도 4만원
나무여 5만원
두미도 6만원
욕지권 6만원
좌사리 6만5천원
갈 도 7만원
▫️오시는길
통영시 도산면 도산일주로 2284
(고성 IC 10분/북통영 IC 5분)
0
신고
목록
0
댓글
로그인한 회원만 댓글 등록이 가능합니다.
×
Image Upload
로그인한 회원만 등록가능합니다.
포토
제목
이름
날짜
[울산] 1/23일 장생포 동네낚시 조황
출항지 : 울산 / 출조지 : 울산
장생포털보낚시
45
01.23
장생포털보낚시
01.23
[해남,진도] 가거도 금,토,일 일정으롣 들어간 첫날 홈톰에서 다양한 마릿수과…
출항지 : 해남,진도 / 출조지 : 무안,신안
목포신안낚시마트
146
01.23
목포신안낚시마트
01.23
[부산] 가덕대항낚시[5짜/4짜감성돔]조황입니다.
출항지 : 부산 / 출조지 : 부산
가덕도대항낚시선장
332
01.23
가덕도대항낚시선장
01.23
[거제] 1/23 갯바위 47 42 감성돔 조황입니다.
출항지 : 거제 / 출조지 : 거제
장승포낚시갈매기호
271
01.23
장승포낚시갈매기호
01.23
[부산] 가덕대항낚시[마릿수/학꽁치]조황입니다.
출항지 : 부산 / 출조지 : 부산
가덕도대항낚시선장
163
01.23
가덕도대항낚시선장
01.23
[여수,광양] 전설해태호> 연일강풍속 오늘반짝 좋은기상 금오열도 감성돔들
출항지 : 여수,광양 / 출조지 :
여수전설해태호
168
01.23
여수전설해태호
01.23
[부산] 가덕새바지낚시 4짜 감성돔 외 학꽁치조황
출항지 : 부산 / 출조지 : 부산
가덕새바지
315
01.23
가덕새바지
01.23
[부산] 가덕자유인낚시 감성돔 조황입니다.
출항지 : 부산 / 출조지 : 부산
가덕도자유인낚시
239
01.23
가덕도자유인낚시
01.23
[사천] (유성호) 대박!! 52.50.48.45.45외 내만감성돔사이즈…
출항지 : 사천 / 출조지 : 사천
피싱유성호
341
01.23
피싱유성호
01.23
[부산] 가덕한바다낚시조황
출항지 : 부산 / 출조지 : 부산
한바다낚시
214
01.23
한바다낚시
01.23
[부산] 가덕도월척낚시 학꽁치 조황입니다
출항지 : 부산 / 출조지 : 부산
가덕도월척낚시
213
01.23
가덕도월척낚시
01.23
[거제] 매물도권 볼락 조황
출항지 : 거제 / 출조지 : 거제
거제명성호
274
01.23
거제명성호
01.23
[부산] 가덕털보낚시 4짜 감성돔외 학꽁치 마릿수 조황~
출항지 : 부산 / 출조지 : 부산
가덕털보낚시
358
01.23
가덕털보낚시
01.23
[여수,광양] 글로리호 52cm 감성돔 조황입니다.
출항지 : 여수,광양 / 출조지 : 여수,광양
글로리피싱
228
01.23
글로리피싱
01.23
[여수,광양] 23일 최저가패키지 금오열도 5짜대물감성돔+덤,덤,덤으로..계속…
출항지 : 여수,광양 / 출조지 :
여수성신낚시
229
01.23
여수성신낚시
01.23
[부산] 가덕일호낚시 감성돔/학꽁치 조황
출항지 : 부산 / 출조지 : 부산
가덕도일호낚시
327
01.23
가덕도일호낚시
01.23
[통영] 척포[제일호] 씨알 학꽁치는 쿨러로~~감성돔은???
출항지 : 통영 / 출조지 : 통영
척포제일호
284
01.23
척포제일호
01.23
1
[통영] 하누리호]현재 통영권 바다상항과 일요일 정상출조 안내
1
출항지 : 통영 / 출조지 : 통영
하누리피싱
430
01.23
하누리피싱
01.23
[남해] 미조 노구 마안도 갯바위 조황입니다. 01/23
출항지 : 남해 / 출조지 : 남해
남해금성호
367
01.23
남해금성호
01.23
[완도] 대모도권!!! 바람뒷끝 전원 손맛보셨네요^^
출항지 : 완도 / 출조지 : 완도
완도국제낚시
147
01.23
완도국제낚시
01.23
[여수,광양] 성빈호. 1월23일 출조다녀왔습니다.
출항지 : 여수,광양 / 출조지 : 여수,광양
여수성빈호
222
01.23
여수성빈호
01.23
[여수,광양] 1/23 금오열도권,, 마릿수 감성돔 조황~^^
출항지 : 여수,광양 / 출조지 : 여수,광양
여수아가미피싱
250
01.23
여수아가미피싱
01.23
[여수,광양] 3일휴무후 첫출조 감성돔조황
출항지 : 여수,광양 / 출조지 : 여수,광양
돌산작금프린스호
232
01.23
돌산작금프린스호
01.23
[여수,광양] 1/23 금요일 감성돔소식 전합니다.
출항지 : 여수,광양 / 출조지 : 여수,광양
여수153낚시
198
01.23
여수153낚시
01.23
[여수,광양] 18분출조에 11쿨러조황~~~몇일푹쉬고출조길~~~내일도자리여유
출항지 : 여수,광양 / 출조지 :
여수그랜드맥스호
259
01.23
여수그랜드맥스호
01.23
[여수,광양] 금오열도 감성돔 조황사진 올려봅니다
출항지 : 여수,광양 / 출조지 : 여수,광양
여수명랑피싱
198
01.23
여수명랑피싱
01.23
1
[사천] 내일 감시 물때 좋습니다.
1
출항지 : 사천 / 출조지 :
삼천포강백호
240
01.23
삼천포강백호
01.23
[여수,광양] 1/23 금오열도 북쪽권 4짜와 감성돔들입니다.출조는계속~
출항지 : 여수,광양 / 출조지 : 여수,광양
돌산낚시촌
195
01.23
돌산낚시촌
01.23
[고성] 사량도 감성돔 밤볼락 조황!!!(04시,오후4시 밤볼락)
출항지 : 고성 / 출조지 : 통영
고성대포낚시
381
01.23
고성대포낚시
01.23
[통영] 레코드호1/18연화도좌사리도밤볼락만쿨만쿨반쿨빈쿨
출항지 : 통영 / 출조지 :
통영레코드호열바다낚…
277
01.23
통영레코드호열바다낚…
01.23
초기화
날짜순
조회순
검색
1
2
3
4
5
6
7
8
9
10
Search
검색대상
제목
내용
제목+내용
회원아이디
회원아이디(댓글)
글쓴이
글쓴이(댓글)
또는
그리고
검색어
필수
검색
닫기
검색조건
제목
내용
제목+내용
회원아이디
회원아이디(코)
글쓴이
글쓴이(코)
검색어
또는
그리고
검색
인낚 최신글
02:30
엠지 그레이트 이소 MH50 허기자낚시대 구합니다
00:32
다이코 레갈리아1-530>슈퍼인테샤08,다른08,06
00:25
23일<주간쭈꾸미>월 예약가능&<야간낙지>토,월 예약가능
00:17
시마노 낚시대가방 135
01.23
"Hot"<야간낙지>토,월 예약중&<주간쭈꾸미>월 예약가능
01.23
고성드래곤 어초 감시흘림 4짜4짜4짜등 일욜 자리여유
01.23
실시간 밤볼락 쿵쾅! 1/23. 뉴대양호
01.23
어초 닺바리 감성돔 5짜 4 짜대물들 (흘림)
01.23
카본스플(2500)
01.23
어텐더3 낚시복,조끼 삽니다
01.23
부산권 타이라바 참돔9짜가 똬악!!!
01.23
감성돔 (카고)ㅡ49.48.47.46.43 씨알 굿굿 (예약가능)
01.23
미개봉 칼치대 (가격인하)
01.23
[왕오징어]마릿수터지고~! 씨알초대박~! 일요일출항확정!! 일월화수 쭉 예약가능!
01.23
다이와vip 타입2 보증서
01.23
시마노 힙가드 GU-101K 2XL 구합니다.
01.23
24토너 ML50-SMT 최상급
01.23
야간낙지 사이즈 최고최고~문어 KKK외 마릿수 쭉쭉~!!(일요일 예약중)
01.23
NS 알바트로스 VS2 1.2-50
+3
01.23
어텐더2 06-53
01.23
파이어블러드 C4000D스풀
01.23
야간낙지 씨알 미쳤다! 토요일,예약가능합니다!!
01.23
세진호/돌문어kg.마릿수많이잡고~일.가능~
01.23
23일 원도권문어 악조건속 3.7K외K K K손맛굿( 월요일부터예약중
01.23
1/23일 장생포 동네낚시 조황
01.23
17마스터튠이소 1.5호 530 윤성 최상급 판매
01.23
통영한바다호ㅡ감성돔 카고 5짜포함 2자리마리수
01.23
감성돔어초흘림(사량도권)일요일출항확정
01.23
구태m50 신신정품
01.23
울테그라 삽니다
+1
01.23
윤성보증서
01.23
다이와 dw-3425 동계복
01.23
선라인 내피
01.23
이거 구해봐요
01.23
!!!제주 백호피싱!!! 26년 1월 23일 갑오징어 조황
01.23
가거도 금,토,일 일정으롣 들어간 첫날 홈톰에서 다양한 마릿수과 다양한 어좀 최고의 손맛 만끽했습니다.
01.23
감성돔(흘림)~48,43,43,43,43,4짜감성돔!우당탕탕(일,월,화,수쭉~예약가능)
+1
01.23
다이코 최강구레 팝니다
01.23
곰발바닥 신짝 왕~열기 우당탕탕 만쿨(내일예약가능
+3
01.23
슈퍼인테샤08및 최강치누, 최강구레 팝니다.
01.23
감성돔카고 대물 마리수~^^
01.23
G5 1.25호 50대 삽니다
01.23
(거제 FM 피싱호 ~감성돔흘림)~주말 출조계획 잡아봅니다
+1
01.23
낚시대 고민.
01.23
"대물감성돔"5짜4짜4짜4짜4짜들 마릿수 조황~(예약가능)
01.23
(원도권)3.29K 大문어 포함 K전후 연타로~강민호 핫조황(24일 예약)
01.23
참 글쓰기 부끄럽지만 저도 주경일 한테 당했습니다
01.23
감섬돔흘림 4짜,4짜들 굿,(일.예약가능)
01.23
굵은씨알 감성돔 ~~
01.23
열기볼락 굵은씨알 찐손맛,쭉 예약가능/대포오징어,출항 쭉 예약가능
인낚 최신댓글
01:58
파블은 구레경기급이 아닙니다... 마스터모델이나 어텐더 급이지... 구레경기와 비교하면 당연히 쿼터가 좋습니…
01:55
가마가츠사의 좋은 점 딱 금액만큼만 만든다 입니다 구태MH50이면 우리나라에 있는 감성돔 벵에돔 다 잡을 수…
01:43
타사라는 범위가 넓어 기준을잡기어렵지만 어텐더 태생이 벵에돔 전용대이다보니 감성돔 전용 06대들과 비교하면 …
00:47
호야님 감사합니다 ^^ 어텐더2 06호가 타제조사 연질 08호 정도의 강도 나올까요?
00:01
오래전 레마레4 잠깐 사용했었는데 4만해도 든든했던기억이 있네요. 저는 2호이상 잘흔들지않아서 아쉽지만 떠나…
01.23
G5 시간이 지나도 역시 명불허전이죠. 높은호수1.75호 53은 하부손잡이가 길어서 들고있을만 하던데 1.2…
01.23
한때 어텐더2에 미쳐 2.25 2.5호수 빼고 전호수다사용해봤습니다. 낚시후 닦아준후 건조잘해서 보관하시면 …
01.23
아틀 1호만 해도 충분한 듯 합니다 쿼터가 있는데 굳이 1.2호나 1.5호로 갈 이유가 없을 것 같네요 물론…
01.23
있어요 같은 대를 두대 샀는지 한대 샀는지는 아무도 모릅니다
01.23
선장들 말로는 많이 줄었다고 하는데 주말 출조객은 그대로인거 같습니다
01.23
선상이 왜 여따 글을 올리는교
01.23
남들 가벼운거 찾을떄 혼자 역행해서 무식하고 파워풀한대 찾아서 레마레6으로 다떄려잡고 있습니다 터진적이 없고…
01.23
01.23
많은로드를 접하진 못했지만 G5-1.25-530이 저의 최애로드 입니다. 원정출정을 하지못해 극한상황 대처력…
01.23
20220914/ 태종대
01.23
25일(일) 3자리 여유 있습니다!!! ^_^
01.23
토요일 급2자리 예약가능 합니다 감사합니다
01.23
낼 급 2자리 있습니다
01.23
저도 미장m50만큼은 명기라 생각합니다. 후기감사합니다 ^^
01.23
저도 딱 그러네요 ㅎㅎ
01.23
저는 5.0m길이 이하는 적응불가네요 ㅠ 후기감사합니다^^
01.23
ML50 MH53은 사용하는데 L50은 아직이네요. 요즘은 토너가 대세인가봅니다 ㅎㅎ 후기감사합니다^^
01.23
감사합니다 ㅋㅋ 날씨가 안좋은거 알면서도 안가자니 몸이 근질근질하네요 지역이 진주라 말씀해주신 통영이나 거제…
01.23
11베이시스는 정말 가볍고 경쾌하게 사용했었는데 09아틀은 접해보지못했네요. 명성만큼 성능도 좋겠죠?
01.23
하필 데니오스를 안써봤네요. 가볍고 경쾌할꺼같은데 역시 평이 좋은 낚시대인가봅니다. 감사합니다. ^^ 새해 …
01.23
저도 딱히 주력대가 없네요. ㅎㅎ 알비 미장 참좋은 낚시대이죠.
01.23
저는 L50으로 4짜급 참돔 감성돔 오래전 재밌게 사용했었는데 안정감이 죽여주더라구요. L53도 궁금하긴 하…
01.23
마감용
01.23
토/일 주말 예약중 입니다~!!!^___^
01.23
토/일 주말 예약중 입니다~!!!^___^
01.23
낚시대?? 생각 해보니 참 많이도 내 손을 즐겁게 해 줬네요 그들에게 먼저 고맙고 감사드림 그래도 그중 최 …
01.23
말씀 감사합니다. 살펴보겠습니다^^
01.23
갯바위에서 그날 빼들은 로드가 주력대 입니다..
01.23
젤 맘에 드는대는 알데나 1.2 470 입니다.. 바란스 가벼움 모두 좋아요 구태쓰다 너무 무겁게 느껴져서 …
01.23
흠...그런 문제가 있었군요 꼭 필요한 정보 감사합니다
01.23
좋은 답변 감사합니다
01.23
실사용 후기 감사합니다 혹시 어떤 면에서 밀리는지 알 수 있을까요?
01.23
일요일은 날이 좋지 않더군요. 날도 영하로 떨어지고 바람도 심하고 너울도 크다고 되어 있어서 출조를 하지 않…
01.23
전 요즘 24토너 L-50 대만 손이갑니다. 슬림한 바디와 속이꽉찬 느낌에 조작성도 좋고 가방에 토너를 제일…
01.23
26아틀이 나온다는 시점이지만 초대 09아틀레타 모델이 정말 맘에 드네요 그리고 가성비로 하나 더 꼽자면 1…
01.23
구명조끼가 하는일이 ㅎ 가장 중요한건 생명이지 결코 가벼움이나 소위 뽀데가 머 대수일까요? 저도 걸그적 무거…
01.23
데니오스 밸런스 잘나옵니다 휨새이쁘면서 약간의 본조자~동조자 느낌입니다 1.25 50 구태2MH 느낌(서민의…
01.23
주력대라기보단 신상 써보고 싶은 마음에 팔고사고 반복하다보니 주력대가 없는데 가장 만족스러웠던대는 시마노 1…
01.23
저는 벵에돔은 치누L53대 입니다 이걸로 일뱅 30넘는거 무진장 잡았고 40넘는 벵에돔 걸리면 도파민 무한중…
01.23
개인적 느낌으로 챔질시에 느낌이 묵직하면서 요동치는게 느껴지면 입안에 후킹된거 같아서 그냥 쭉뽑았다가 릴링합…
01.23
예전에 아부가르시아 근처 백화점에 입점해서 직접돌려볼수있었는데...유격이 심하더군요. 그이후로 관심을 아예 …
01.22
내일출항확정 2자리가능 합니다 오전5시30분까지 오시면됩니다 010 2388 7118
01.22
일본 금리 계속올리려는 분위기라 엔저 그리오래가지않을꺼같은데요. 낚시복뿐만 아니라 낚시대도 원가절감이 많이 …
01.22
침낭은 다나산업의 알피니스트A 정도면 어떨지... 그 이상도 있습니다. 한번 검색해 보시면 도움될 듯 합니다…
01.22
어딜가나 비슷할거같습니다. 움직이기 편하신곳으로 가시는게 좋으실듯합니다. 바람피하는곳은 선택하신 출조지 선장…
온라인 문의 안내
*운영진에게 문의
*광고/제휴 문의
월~금 : 9:00 ~ 18:00
토/일/공휴일 휴무
점심시간 : 12:00 ~ 13:00
인낚몰 초특가
MAEK 맥 호래기 대바늘 호래기콕 J타입 (카본바디 2입)
어부공방 NEW 호래전
야마시타 SB 호래기 대바늘
★3,000★ 하야부사 6단 볼락 전갱이 카드채비 SD724 볼락채비
★1,000★볼락낚시에 최적인 메바트로볼 - 캐스팅볼, 메바볼
★13,000~★3NO 일본 오리지날 직수입 극강 멀티 무광 마크사 원줄
★500★ W쿠션 멀티 수중찌 M L - 전유동 반유동 끄심바리 필수품 수중쿠션
★5,900★ 여러개 있으면 아주 좋은 EVA 시스템 백
★ 1+1 플로팅, 세미, 카본 낚시줄 행사 호수선택가능 / 택상 1+1 원줄, 목줄 행사
★6,000★ 예민함의 끝판왕 애니원찌 벵에돔찌 학공치찌
★15,000★ 오동목 구멍찌 5개 + 메쉬 찌케이스 세트
★22만원★ 40W 집어등을 이 가격에!