카드
부산시 강서구 가덕해안로 1169번길 110
부산시 강서구 가덕해안로 1169번길 110
*공지사항*
•매월 2번째, 4번째(목요일) 새바지권 휴무 입니다.
•출항시간: 1항차: 02시 출항~
• 2항차: 04시 출항~ 이후에는 수시 출항 합니다.
• 철수시간: 오전 9시,11시 / 오후 1시, 3시,5시 입니다.
( 철수 20~30분전 미리챙겨주시고,
주변 청소 부탁드립니다. )
•항상 저희 털보낚시를 찾아 주셔서 감사드리며,
한분 한분~ 최선을 다해 모시겠습니다 -^^ •
—————————————————
안녕하십니까!
가덕털보낚시 인사드립니다.
오늘도 출조하신 조사님들 대단히 수고 많으셨습니다.
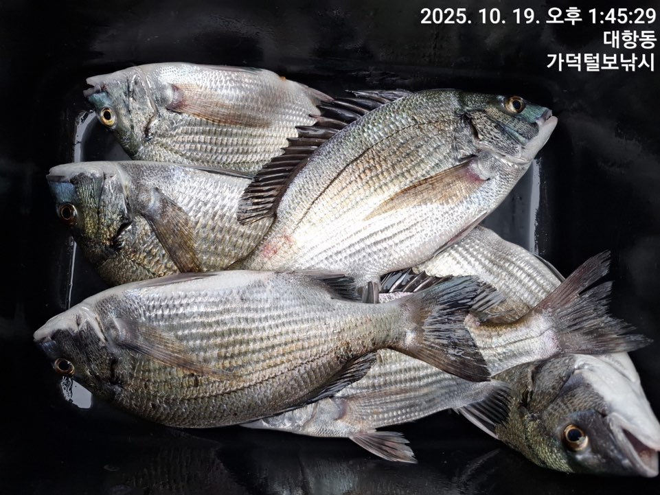
감성돔 마릿수 조황 구경하시고,
궁금한 사항 있으시면 문의전화 바랍니다^^
털보낚시에서 선상배(마스터호)도 운영하오니
궁금한 사항있으시면 연락바랍니다^^
----------------------------------------------------------------------------------------------------------------
*마끼크릴,파우더,백크릴 및 각종 소품 구비되어 있습니다.
*크릴은 비싼 관계로 대형마트에서 사오셔도 환영합니다 .
*배만 타셔도 환영합니다.
*출조 하실 분은 가게 앞으로 오시면, 안전한 곳으로
주차 또는 안내 해드립니다.
* 구명조끼와 신분증을 반드시 지참하여 주십시오.
* 네비주소
( 가덕 털보낚시 & 강서구 가덕해안로 1169번길 110 )
치시면 나옵니다.
* 털보낚시점: 051) 941-7121
010-4549-2279
* 선장: 010-5095-2279
|
|
|
|











