










안녕하세요통영 파워피싱 아일랜드호입니다
수요일 오늘도 좋은날씨에 욕지권
완전종일낚시 중입니다
오늘도 몇방터지고 몇수 하시고 계십니다
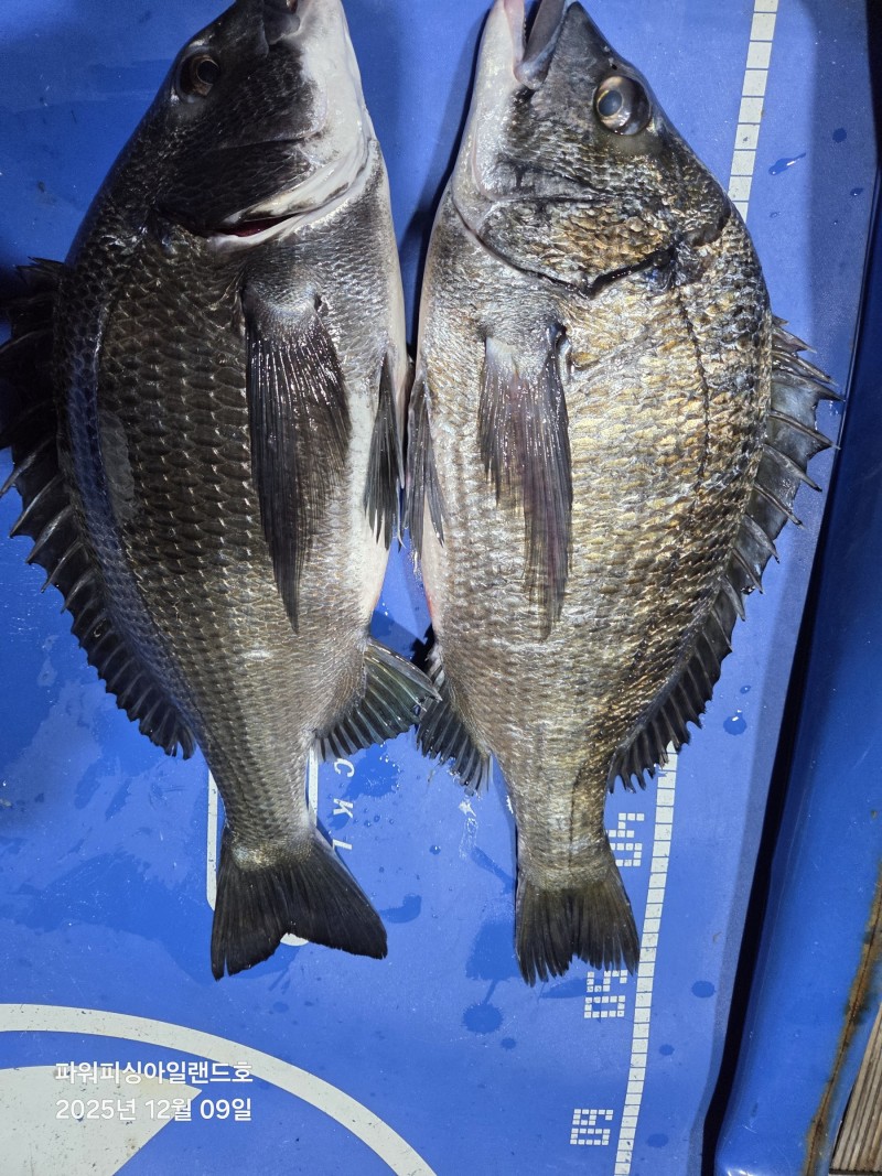
사진은 어제 욕지권갯바위 감성돔조황입니다
모든 포인트마다 터지고 벗겨지고
난리부르스 였습니다
4방,3방,2,방,2방~
5짜2수와 중치급으로 여러수 하셨습니다
날짜없는 사진은 갯바위서 전송해주신
사진입니다
욕지권갯바위 완전종일낚시 출조합니다
평일은 완전종일낚시 05시출항-17시철수
주말은 03시출항-14시철수합니다
요즘 시즌 감성돔들이 힘이 장사라 2호목줄이 제대로
버티지도 못하고 많이 터져나가고 있습니다
채비세팅은 본인이 쓰시고자 하는 강도보다
한두단계 더 강하게 사용하셔야 후회하지 않습니다
이제 낚시 시작이니 출조하신 모든분들 탱크 1수
하시길 기원해 봅니다
큰놈들은 힘이 장사라 다터져 버린다십니다
시기가 시기인지라 목줄은 2호이상 쓰셔야됩니다
05시출항 17시철수 하는 완전종일낚시 시행합니다
당분간 평일은 완전종일낚시 05시출항 17시철수하는
완전종일낚시 로
주말은 03시경출항 14시경 철수합니다
이제 욕지권갯바위 본 시즌이 된듯합니다
갯바위 대표어종 감성돔부터 참돔,뱅에돔
뺀찌등 여러어종들이 낚이는 시기입니다
파워피싱 아일랜드호는 계류장 사무실앞에
넓직한 전용주차장이있어 주장걱정 않으셔도 됩니다
주차자리는 넓지만 주차하실때 옆차와의
간격은 문콕 나지 않을 정도로 붙여 주시고
2중주차 해주시면 감사하겠습니다^^
주요출조지는 욕지권전역이며 상황에따라
사량도,나무여,추도,두미도,갈도,좌사리도 도
출조합니다
선비
사량도,추도 4만원
나무여 5만원
두미,욕지권(연화,초도) 6만원
좌시리도 6.5만원
갈도 7만원
지금시기는 대부분 어종들이 바닥층보다는
약간 떠서 무는 경향이 많으니 참고 하세요
반유동 보다는 전유동이 마리수 조과가 있습니다
출조하신 조우님들 수고 많으셨습니다
예약 하실때 대상어종만 말씀해주시면 어종에
맞는 최고의 포인트로 최대한 손맛 즐기실수있게
모셔드릴것을 약속드립니다
파워피싱아일랜드호는
선장이기 이전에 낚시인의 마음으로
조우님들의 출조길이 즐거워지실수 있도록
출조하신 조우님 한분 한분 최선으로
선장이 피곤해져야 조우님들이 즐거워진다는
마인드로 모시겠습니다
출조,철수시에 선실내 냉,난방기 가동됩니다
선박후미에 시원한음료와 라면등간단한 간식거리
준비되어있습니다
예약,출조문의는 010 8517 1782
네비주소
통영시 산양읍 산양일주로 1429-17
파워피싱 아일랜드호 밴드로 초대합니다
밴드가입시 실명가입 부탁드립니다