네임
카드
카드
추자퍼스트호
No.1호(전남 해남군 송지면 송호리 891-21)/퍼스트호 제주시 추자면 추자로 485-2
010-5159-5353
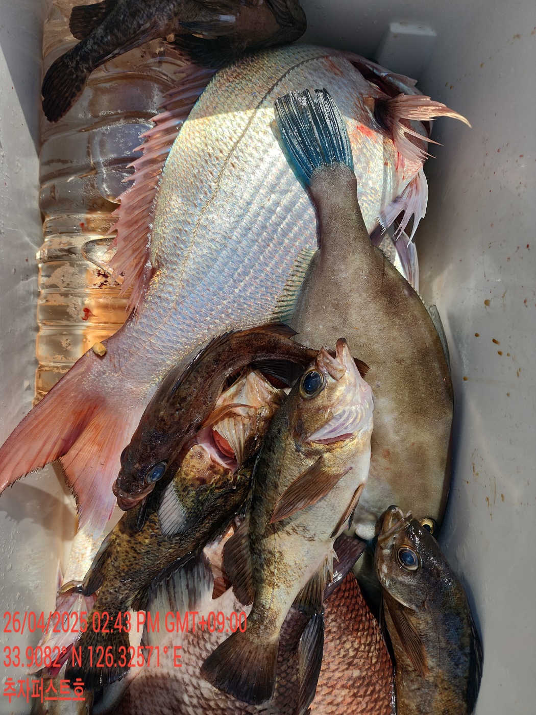
*퍼스트호/No.1호 토요일/일요일 낚시 추자도 조황입니다.
No.1호(전남 해남군 송지면 송호리 891-21)/퍼스트호 제주시 추자면 추자로 485-2
출조문의 010-5159-5353
밴드 : https://band.us/@no1fish
NO.1 Fishing (사선) / First (종선) 운행 중
사선과 종선을 운행하여 최고의 서비스와 포인트로 모시겠습니다.
추자도내 친절한 사장님과 깨끗한 시설의 민박 이용도 가능합니다.
언제나 최선을 다하는 NO.1 First 입니다.
편안하고 안전하게 모시겠습니다.
감사합니다.
No.1호/퍼스트호를 찾아주신 조사님들 감사드립니다.
No.1호/퍼스트호 토요일/일요일 추자도 조황입니다.
이번 주 역시 상추자도(문여~보른섬까지)하추자도(사자섬~밖미엮까지) 돌아 봤습니다.
상추자도는 참돔과 볼락. 하추자도는 돌돔들과 볼락 위주로 조황이 나와 주네요~
부시리 갯바위 파핑낚시 즐기시는 조사님들고 손맛 보고 가셨네요~
다음 출조에도 상추자도/하추자도 할 것 없이 부지런히 움직여 보겠습니다~
출조 계획 있으신 조사님께서는 미리 연락 부탁 드립니다~
출조하신 조사님들 정말 고생 많으셨습니다~
5월 2일 금요일 낚시부터 5월 6일 화요일까지 추자도 연속 출항하려 합니다.






















