네임
카드
카드
가덕도자유인낚시

안녕하십니까.
가덕도 자유인낚시 입니다.
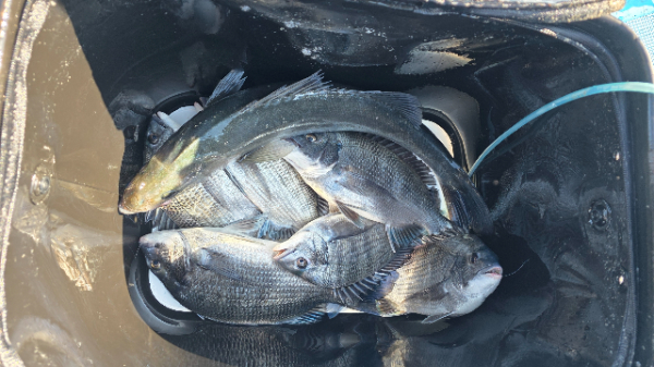
1월6일(월요일) 갈미&천수대권 감성돔 조황입니다
오늘도 즐낚하신 조사님 수고하셨습니다.
귀가길 안전운전 하시길 바랍니다.
* 첫배 출항 시간은 3시 30분 입니다.
* 첫배 출항 이후 수시출항 가능 합니다.
* 출조지는. 천수대 & 갈미권 으로 출항 합니다.
* 조사님들 철수 20~30분전 미리 챙겨주시고, 주변 청소 부탁드립니다. *
* 조사님 출조문의는 20시(저녁8시) 이후 는 가급적 전화는 삼가해주시면 감사 하겠습니다. *
* 조사님들 출조하실때 구명복(조끼).갯바위신발. 신분증. 꼭 지참하시길 바랍니다... *
* 네비주소: 부산시 강서구 천성동1009-1 번지 자유인낚시
부산광역시 가덕해안로 777-1 번지 자유인낚시
* 유사번지: 부산시 강서구 천성출장소 를 치세요
** 출조문의전화 **
* 가계 : 051-971-2869
* 선장 : 010-8826-2865
|
|
|
|

