풍남 대성스타호, 내만권 갯바위 감성돔 매일 출조!

신상품 소개


회원 랭킹


공지사항


NaverBand
점주/선장 > 갯바위 조황

▶ 지켜주세요! ◀
 
 - 당일 조황을 올리셔야 합니다. 
 - 지난 조황은 2일이내 미등록 조황만 가능합니다. 
 - 이미 올린 조황을 붙여넣기하여 계속 등재하시면 중복조황에 해당합니다. 
 - 당일 조황을 올리면서 이전 조황을 같이 올리면 중복조황에 해당합니다.
 - 조황없는 출조정보는 출조정보 게시판을 이용하시길 바랍니다. 
 - 올린 글 삭제하고 다시 올려 상단에 올리려는 방법, 이용규칙 위반입니다. 
 - 제목에 특수문자 사용하시면 안됩니다. (온점, 쉼표, 느낌표, 괄호, 물결만 허용)

 ☆ 공지사항에 '조황등재시 유의사항' 게시글을 꼭 확인하시고 조황작성 부탁드리며, 가장 기본적인 
    규칙이 지켜지지 않을 시 예고없이 글 삭제 및 이용정지 될 수 있음을 알려드립니다. 
 
b_hot_innakmall_200x80_240307.jpg b_hot_innakmall_200x80_220704.jpg b_hot_ggsusan_hongeu_200x80.gif b_hot_innakmall_200x80_211203.gif

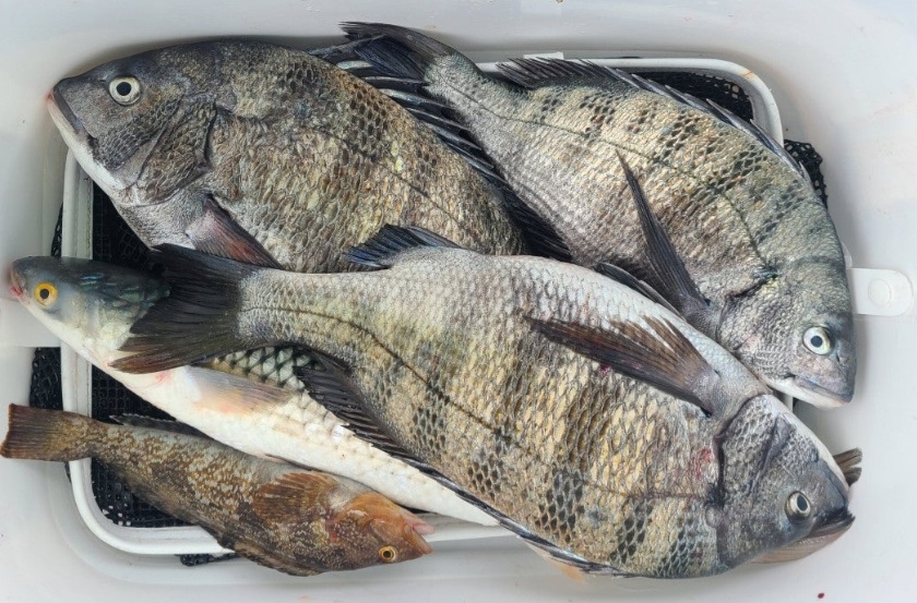
풍남 대성스타호, 내만권 갯바위 감성돔 매일 출조!

풍남대성스타호 3 547
● 출항지 : 고흥,녹동

93030f4484fd45e85cc2d1d10d6c8bd5_1714034564_8601.jpg


안녕하세요

고흥 풍남 대성스타호입니다


오늘도 변함없이

대성스타호의 뱃고동은 울렸습니다


찐한 손맛 한번 보러오세요~



93030f4484fd45e85cc2d1d10d6c8bd5_1714034585_0755.jpg



93030f4484fd45e85cc2d1d10d6c8bd5_1714034585_5035.jpg



93030f4484fd45e85cc2d1d10d6c8bd5_1714034585_9424.jpg



93030f4484fd45e85cc2d1d10d6c8bd5_1714034588_1426.jpg



93030f4484fd45e85cc2d1d10d6c8bd5_1714034589_2728.jpg



 




오늘도 함께 해 주신

모든 조사님들 고생 많으셨습니다


내일도 어김없이

대성스타호의 뱃고동은 울립니다!


010 4622 3652

010 9335 1936




93030f4484fd45e85cc2d1d10d6c8bd5_1714034615_9051.jpg



93030f4484fd45e85cc2d1d10d6c8bd5_1714034616_3238.jpg



93030f4484fd45e85cc2d1d10d6c8bd5_1714034616_7626.jpg




 

3 댓글
감성둠 24-04-25 21:30 0  
날짜. 시간 없는 조황은 거릅시다
오삼 24-04-26 17:04 0  
사기입니다 언제 찍은것인지도 모르는 사진 올려서 호객행위
포토 제목
 
 

인낚 최신글


인낚 최신댓글


온라인 문의 안내


월~금 : 9:00 ~ 18:00
토/일/공휴일 휴무
점심시간 : 12:00 ~ 13:00