- 당일 조황을 올리셔야 합니다. - 지난 조황은 2일이내 미등록 조황만 가능합니다. - 이미 올린 조황을 붙여넣기하여 계속 등재하시면 중복조황에 해당합니다. - 당일 조황을 올리면서 이전 조황을 같이 올리면 중복조황에 해당합니다. - 조황없는 출조정보는 출조정보 게시판을 이용하시길 바랍니다. - 올린 글 삭제하고 다시 올려 상단에 올리려는 방법, 이용규칙 위반입니다. - 제목에 특수문자 사용하시면 안됩니다. (온점, 쉼표, 느낌표, 괄호, 물결만 허용) ☆ 공지사항에 '조황등재시 유의사항' 게시글을 꼭 확인하시고 조황작성 부탁드리며, 가장 기본적인 규칙이 지켜지지 않을 시 예고없이 글 삭제 및 이용정지 될 수 있음을 알려드립니다. |
![]() |
|
![]() |
![]() |
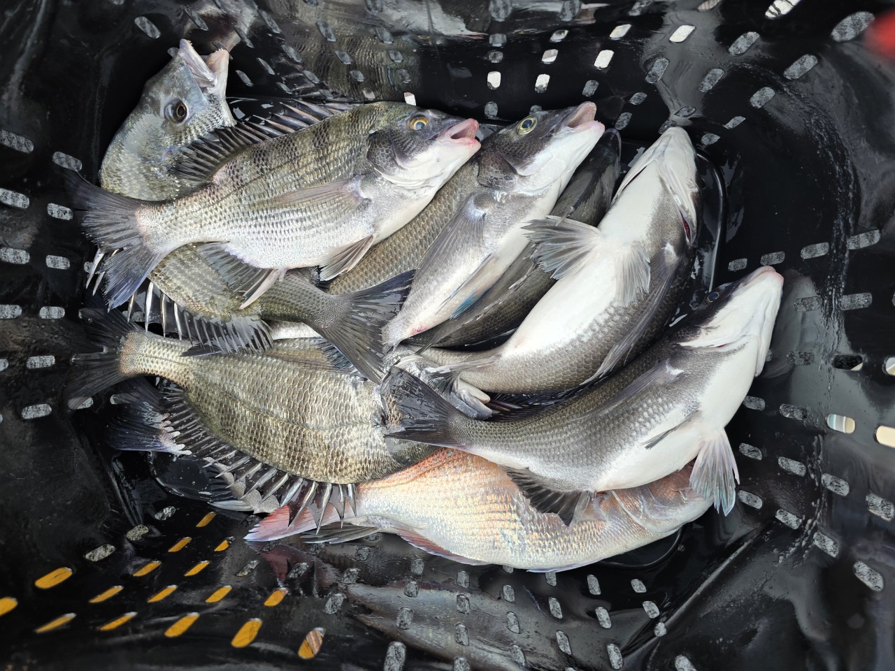
대모도권 청산도권 여서도권 쏟아지는 조황!!!안녕하십니까
완도권 갯바위 전문출조 완도국제낚시입니다.
청산도권 대모도권 여서도권 11월 일부조황입니다
대부분 전원 손맛 보셨고 터진게 너무많습니다...
씨알급들 많이 들어왔네요...
계속해서 좋은조황으로 이어질듯싶습니다
찾아주신 조사님들 수고하셨습니다
계속해서 대모도권 청산도권 여서도권 출조합니다!!
1호 청산도 대모도 내만갯바위 수시로출조
2호 청산도 대모도 여서도 갯바위 & 여서도 선상흘림낚시
기상만 좋으면 매일 대모도권 청산도권 여서도권
갯바위&선상출조합니다.
1호 대모도권 청산도권 출조문의 = 010-3607-6457
2호 대모도권 청산도권 출조문의 = 010-6435-6457
선박2척으로 매일 갯바위 & 선상 출조합니다
네이버 밴드 : https://band.us/band/73522028
|
|
|
|



























