- 당일 조황을 올리셔야 합니다. - 지난 조황은 2일이내 미등록 조황만 가능합니다. - 이미 올린 조황을 붙여넣기하여 계속 등재하시면 중복조황에 해당합니다. - 당일 조황을 올리면서 이전 조황을 같이 올리면 중복조황에 해당합니다. - 조황없는 출조정보는 출조정보 게시판을 이용하시길 바랍니다. - 올린 글 삭제하고 다시 올려 상단에 올리려는 방법, 이용규칙 위반입니다. - 제목에 특수문자 사용하시면 안됩니다. (온점, 쉼표, 느낌표, 괄호, 물결만 허용) ☆ 공지사항에 '조황등재시 유의사항' 게시글을 꼭 확인하시고 조황작성 부탁드리며, 가장 기본적인 규칙이 지켜지지 않을 시 예고없이 글 삭제 및 이용정지 될 수 있음을 알려드립니다. |
![]() |
|
![]() |
![]() |
No.1/퍼스트호. 금요일 낚시 추자도 조황입니다.출조문의 010-5159-5353
밴드 : https://band.us/@no1fish
NO.1 Fishing (사선) / First (종선) 운행 중
사선과 종선을 운행하여 최고의 서비스와 포인트로 모시겠습니다.
추자도내 친절한 사장님과 깨끗한 시설의 민박 이용도 가능합니다.
언제나 최선을 다하는 NO.1 First 입니다.
편안하고 안전하게 모시겠습니다.
감사합니다.
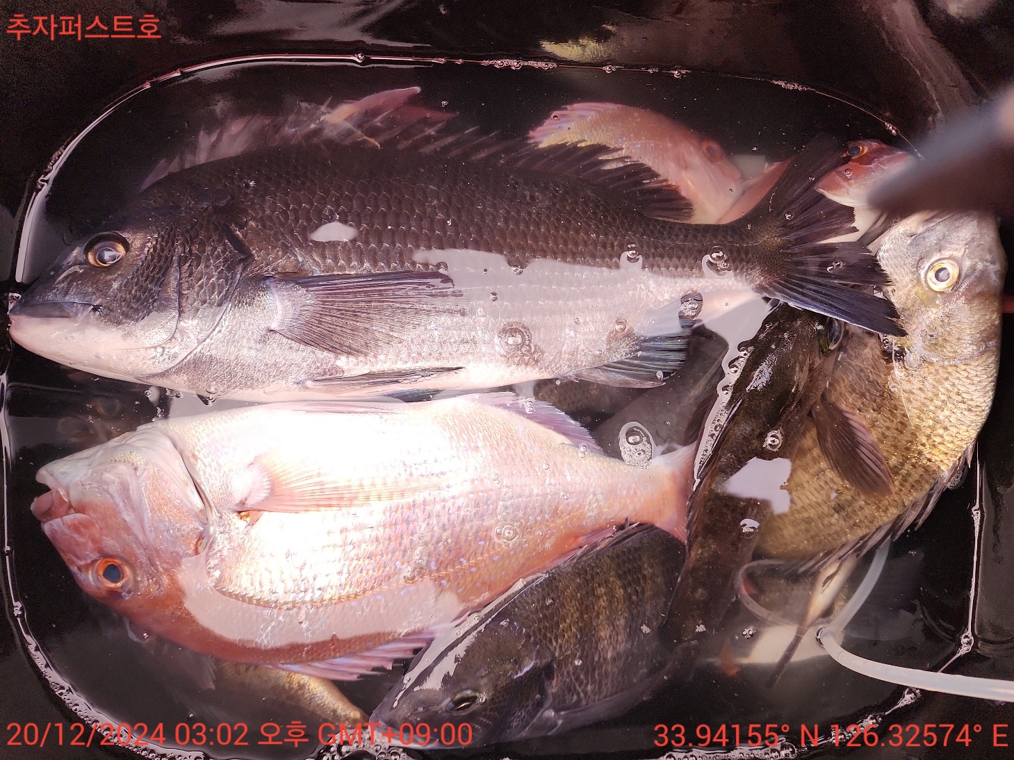
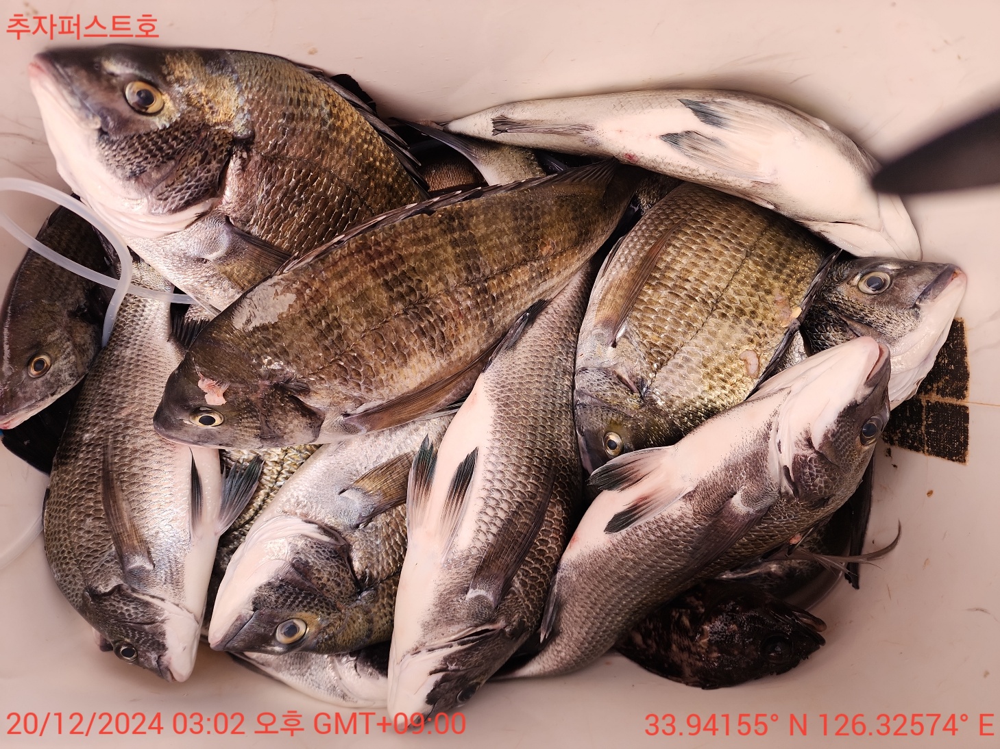
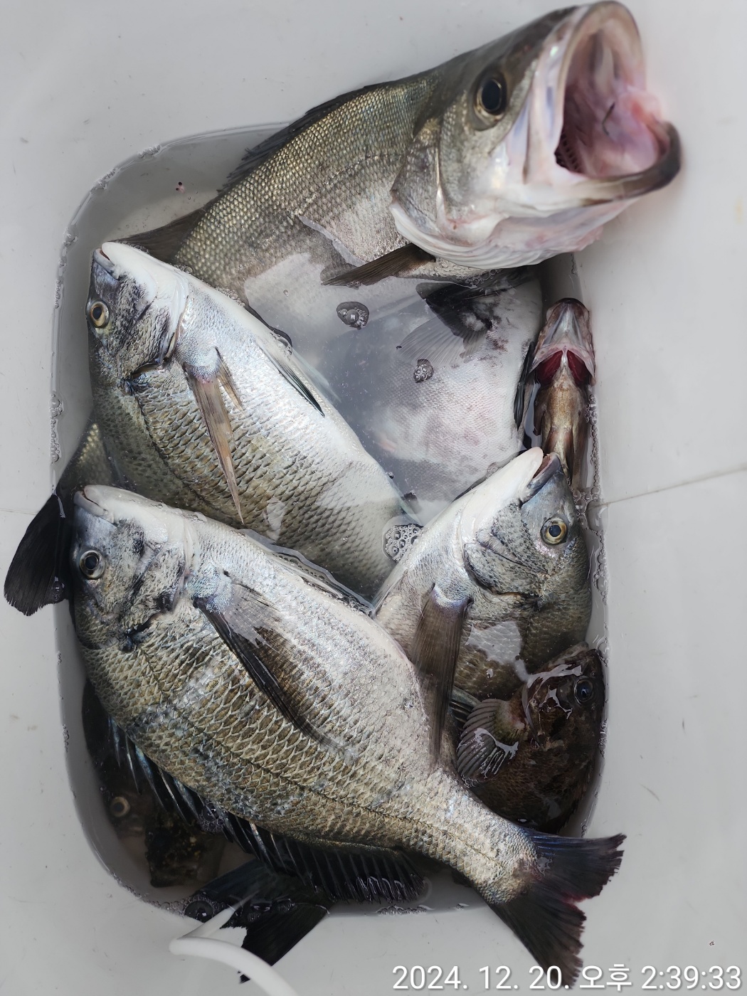
No.1호/퍼스트호 금요일 추자도 조황입니다~~
이번 출조도 상추자도(횡간도,미역섬,구멍섬,보른섬 등등)포인트와 하추자도(사자섬,푸랭이,밖미역,섬생이,수영여 등등 하선하여 여기저기서 터트려 가면서 잡아낸 5짜포함 감성돔,참돔,돌돔입니다. 마릿수는 물론이고 씨알도 좋아졌네요~
이번 주말 주의보뒤 또 엄청난 호조황 예상해봅니다~
중복 사진없는 조황 올려 봅니다(대신 사진 찍어주신 조사님들 감사합니다^^)
출조하신 조사님들 고생 많으셨습니다.
돌아오는 월요일부터 일요일까지 기상만 받쳐준다면 쭉 달려 보겠습니다~





































|
|
|
|





