- 당일 조황을 올리셔야 합니다. - 지난 조황은 2일이내 미등록 조황만 가능합니다. - 이미 올린 조황을 붙여넣기하여 계속 등재하시면 중복조황에 해당합니다. - 당일 조황을 올리면서 이전 조황을 같이 올리면 중복조황에 해당합니다. - 조황없는 출조정보는 출조정보 게시판을 이용하시길 바랍니다. - 올린 글 삭제하고 다시 올려 상단에 올리려는 방법, 이용규칙 위반입니다. - 제목에 특수문자 사용하시면 안됩니다. (온점, 쉼표, 느낌표, 괄호, 물결만 허용) ☆ 공지사항에 '조황등재시 유의사항' 게시글을 꼭 확인하시고 조황작성 부탁드리며, 가장 기본적인 규칙이 지켜지지 않을 시 예고없이 글 삭제 및 이용정지 될 수 있음을 알려드립니다. |
![]() |
|
![]() |
![]() |
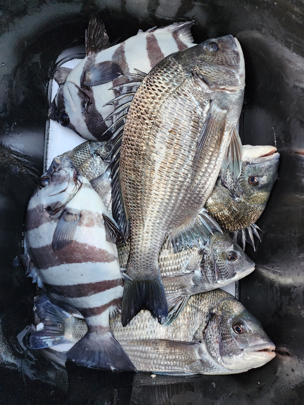
No.1/퍼스트호. 금요일 낚시 추자도 조황입니다.

출조문의 010-5159-5353
밴드 : https://band.us/@no1fish
NO.1 Fishing (사선) / First (종선) 운행 중
사선과 종선을 운행하여 최고의 서비스와 포인트로 모시겠습니다.
추자도내 친절한 사장님과 깨끗한 시설의 민박 이용도 가능합니다.
언제나 최선을 다하는 NO.1 First 입니다.
편안하고 안전하게 모시겠습니다.
감사합니다.
No.1호/퍼스트호 금요일 당일 낚시 9포인트 추자도 조황입니다~~
오늘도 엄청 나왔습니다. 한포인트에서는 감성돔/돌돔 40마리 잡은곳도 있었고 10마리씩 잡은 포인트도 3포인트네요~ 5짜 감성돔에~ 5짜 벵에돔까지!!!
현재 추자도 강한 바람과 사리 물때로 완전한 감성돔 물색입니다!
출조 계획 있으시면 바로 출발!!~~~
출조하신 조사님들 고생 많으셨습니다.
화요일 낚시부터 연속 출항 합니다.


















|
|
|
|





