- 당일 조황을 올리셔야 합니다. - 지난 조황은 2일이내 미등록 조황만 가능합니다. - 이미 올린 조황을 붙여넣기하여 계속 등재하시면 중복조황에 해당합니다. - 당일 조황을 올리면서 이전 조황을 같이 올리면 중복조황에 해당합니다. - 조황없는 출조정보는 출조정보 게시판을 이용하시길 바랍니다. - 올린 글 삭제하고 다시 올려 상단에 올리려는 방법, 이용규칙 위반입니다. - 제목에 특수문자 사용하시면 안됩니다. (온점, 쉼표, 느낌표, 괄호, 물결만 허용) ☆ 공지사항에 '조황등재시 유의사항' 게시글을 꼭 확인하시고 조황작성 부탁드리며, 가장 기본적인 규칙이 지켜지지 않을 시 예고없이 글 삭제 및 이용정지 될 수 있음을 알려드립니다. |
![]() |
|
![]() |
![]() |
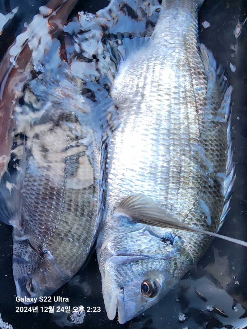
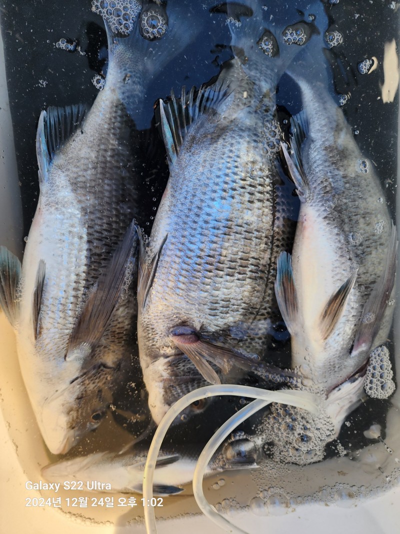
24일(화)감성돔 조황!"메리크리스마스"
고흥풍남항!꽃담바다 명성피싱호와 바다로 일상탈출!!!
조석으로 일교차가 심하네요! 건강관리 잘 하시고 따뜻한 옷차림으로 출조하세요!
●화/초도권역 당일 늦은 새벽출조 조황입니다!
꽝 포인트도 있고 씨알급과 마릿수로 손맛보신 조사님도 계셨네요!
추운날씨에 꽃담바다 명성피싱호와 함께하여주신 조사님께 감사드리며,,,
●현재 바다기상 예보상,,,
●일,월~/초도권역 새벽출조 합니다!
출조관련하여 연락주시면 친절히 안내해 드리겠습니다!
|
|
|
|













