- 당일 조황을 올리셔야 합니다. - 지난 조황은 2일이내 미등록 조황만 가능합니다. - 이미 올린 조황을 붙여넣기하여 계속 등재하시면 중복조황에 해당합니다. - 당일 조황을 올리면서 이전 조황을 같이 올리면 중복조황에 해당합니다. - 조황없는 출조정보는 출조정보 게시판을 이용하시길 바랍니다. - 올린 글 삭제하고 다시 올려 상단에 올리려는 방법, 이용규칙 위반입니다. - 제목에 특수문자 사용하시면 안됩니다. (온점, 쉼표, 느낌표, 괄호, 물결만 허용) ☆ 공지사항에 '조황등재시 유의사항' 게시글을 꼭 확인하시고 조황작성 부탁드리며, 가장 기본적인 규칙이 지켜지지 않을 시 예고없이 글 삭제 및 이용정지 될 수 있음을 알려드립니다. |
![]() |
|
![]() |
![]() |
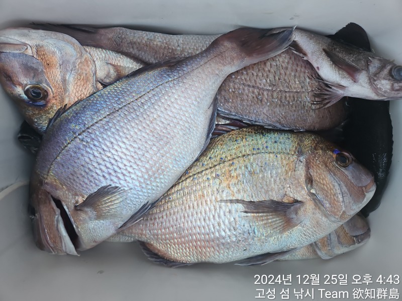
12월 25일(수) 1항차 종일 낚시 고성출발, 욕지군도 갯바위낚시 출조 "고성섬낚시" 조황입니다.
★12월 27일 (금요일) 욕지군도 갯바위 낚시 "예약 가능" 1항차
★12월 28일 (토요일) 욕지군도 갯바위 낚시 "예약 가능" 날씨로 유동적
★12월 29일 (일요일) 욕지군도 갯바위 낚시 "예약 가능" 날씨로 유동적
욕지군도] 크리스마스 온통 빨강색 조황입니다.
욕지군도 믿고 보는 조황
고성 섬 낚시입니다.
크리스마스 오후부터 날씨의 영향으로 1항차 출조 늦즈막히 철수하였습니다.
욕지군도 온 바다 크리스마스 맞이하였습니다.
온통 빨간색 참돔으로 이루어졌습니다.
사이즈도 40 ~ 50 마릿수는 팔이 아플정도 입니다.
조황은 좋습니다.
감성돔의 경우 참돔 없는 포인트에서 계속해서 나오고 있습니다.
터지고 벗겨지기를 반복 4짜 감성돔을 확인하였습니다.
오늘 현재 출조 나와있습니다.
바람과 너울이 생각보다 심합니다.
바람과 너울을 피해 하선하였습니다.
이 날씨에도 참돔은 계속 올라오고 있습니다.
내일도 출조합니다.
오전에 날씨 그나마 좋아보여 종일 낚시가 아닌 1항차 출조 합니다.
꼭 참고하시길 바랍니다.
내일도 대물의 메카 욕지군도로 출조합니다.
우리 조사님들 기록 파괴자 섬 낚시가 책임지겠습니다.
물때와 날씨에 맞춰서 욕지군도 최고의 포인트로 안내해 드리겠습니다.
믿고 맡겨주시면 개인 기록 및 손맛을 보실 수 있도록 욕지군도 최고의 포인트로 안내하겠습니다.
채비 튼튼하게 준비해서 오시길 바랍니다.
찬바람 겨울이 다가올수록 대물 감성돔의 메카 욕지군도 시즌 시작입니다.
아침저녁으로 많이 추워졌습니다.
이제 가을 겨울옷 챙겨서 오시길 바랍니다.
현재 잡어가 많습니다.
크릴 미끼를 필두로 옥수수 경단 등 대체 미끼 필히 준비하시길 바랍니다.
▣ 고성섬낚시 욕지군도감성돔 낚시 출조 일정 안내 ▣
★12월 27일 (금요일) 욕지군도 갯바위 낚시 "예약 가능" 1항차
★12월 28일 (토요일) 욕지군도 갯바위 낚시 "예약 가능" 날씨로 유동적
★12월 29일 (일요일) 욕지군도 갯바위 낚시 "예약 가능" 날씨로 유동적
★★★ 출조 문의: 고성 섬 낚시 ★★★
◎ 문의 ☏(055) 673~1020 ☎010~3593~5552
☎010~7227~1782
☎010~4857~4008(가이드)
▣▣▣ 평일 사량도 욕지군도& 갈도 갯바위(ISO磯)출조 안내 ▣▣▣
- 출항 : 05시
- 철수 : 오후 5時 철수합니다.
▧▧▧ 토요일 & 공휴일 출조 안내 ▧▧▧
0항차) 밤 12時 출조 (단체팀 유동적) ※예약필수!!!
1항차) 새벽 3時 출조 (경단 2호)
2항차) 오전 10時 오후 낚시. 정기 출조 (경단 2호)
3항차) 토요일 오후 3時 ~ 4時
◎홈페이지 : http://seomnaksi.kr
◎인스타 https://www.instagram.com/sum_fishing/
◎ 페이스북 "고성섬낚시"검색해 주세요~
- "야영 출조" (경단 2호)
고성 섬낚시 경단호, 경단2호는 항상 낚시인의 입장에서
최선을 다한다는 자세로 열심히 임합니다.
★★★ 출조 문의: 고성 섬 낚시 ★★★
◎ 문의 ☏(055) 673~1020 ☎010~3593~5552
☎010~7227~1782
☎010~4857~4008
- 예약은 필히 전화로 문의 해 주시길 바랍니다.
◎ 섬낚시밴드: https://band.us/@seomnaksi
◎ 주소 : 경남 고성군 삼산면 두포리 1085번지(신주소: 두포1길 198-15번지)
#경상남도 #경남 #고성 #통영 #거제 #남해 #삼천포 #사천 #진주 #창원 #김해 #양산 #부산 #낚시 #고성섬낚시 #섬낚시 #갯바위 #갯바위낚시 #낚스타그램 #낚시스타그램 #욕지군도 #욕지권 #욕지도 #감성돔 #취미 #참돔 #벵에돔 #사량도
|
|
|
|















