주말 금오도 오짜외 감성돔 조황올립니다.

신상품 소개


회원 랭킹


공지사항


NaverBand
점주/선장 > 갯바위 조황

▶ 지켜주세요! ◀
 
 - 당일 조황을 올리셔야 합니다. 
 - 지난 조황은 2일이내 미등록 조황만 가능합니다. 
 - 이미 올린 조황을 붙여넣기하여 계속 등재하시면 중복조황에 해당합니다. 
 - 당일 조황을 올리면서 이전 조황을 같이 올리면 중복조황에 해당합니다.
 - 조황없는 출조정보는 출조정보 게시판을 이용하시길 바랍니다. 
 - 올린 글 삭제하고 다시 올려 상단에 올리려는 방법, 이용규칙 위반입니다. 
 - 제목에 특수문자 사용하시면 안됩니다. (온점, 쉼표, 느낌표, 괄호, 물결만 허용)

 ☆ 공지사항에 '조황등재시 유의사항' 게시글을 꼭 확인하시고 조황작성 부탁드리며, 가장 기본적인 
    규칙이 지켜지지 않을 시 예고없이 글 삭제 및 이용정지 될 수 있음을 알려드립니다. 
 
b_hot_innakmall_200x80_240307.jpg b_hot_innakmall_200x80_220704.jpg b_hot_ggsusan_hongeu_200x80.gif b_hot_innakmall_200x80_211203.gif

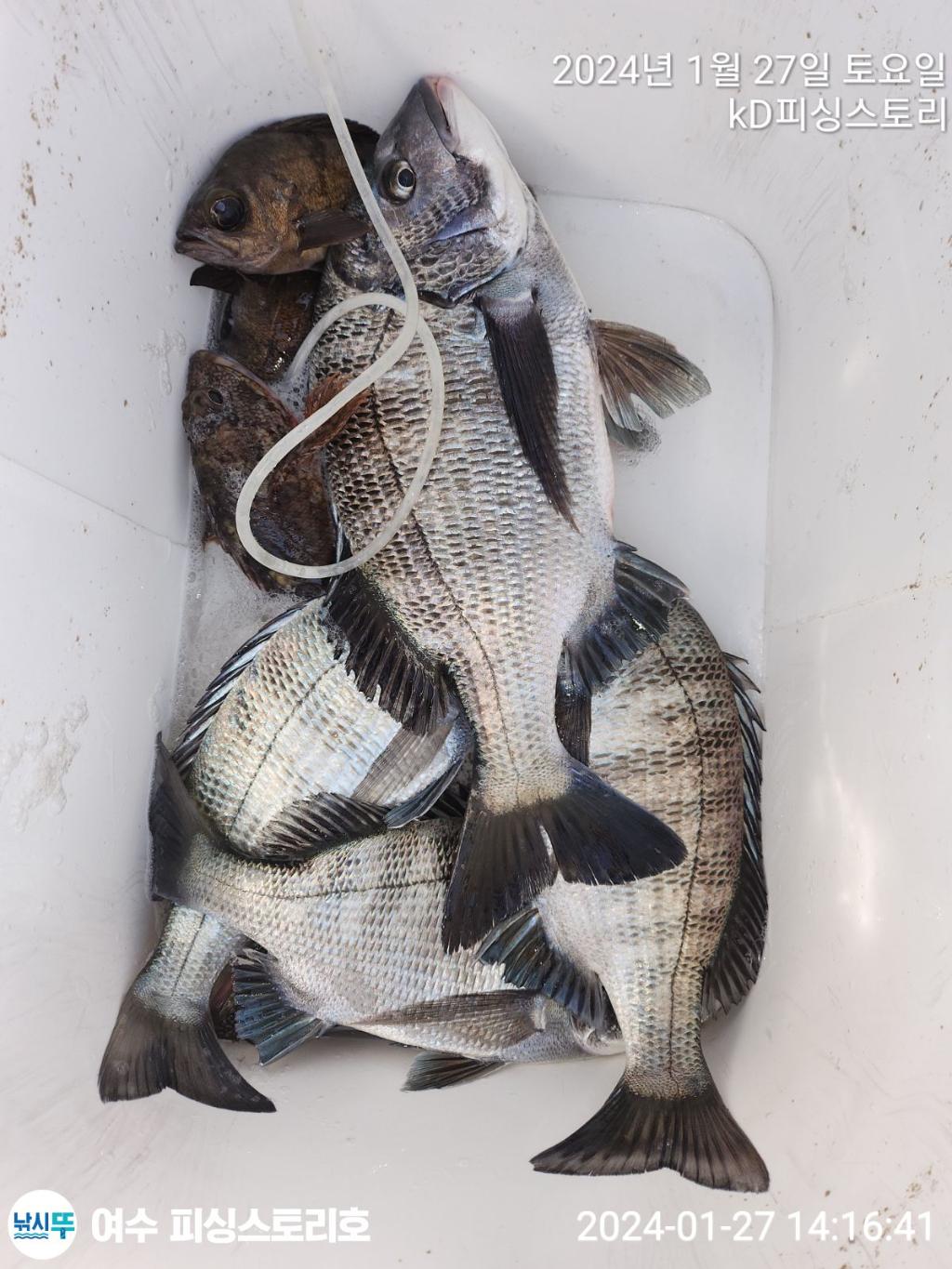
주말 금오도 오짜외 감성돔 조황올립니다.

kd피싱스토리 0 293
● 출항지 : 여수,광양
F23139235U.jpg낚시뚜에서 인낚으로 보내는 자동조황
top01.png

여수갯바위낚시

여수피싱스토리

top02.png
바람통에 고생들 하셨읍니다.
· 출조일시2024-01-28(일)
· 출조인원21명
· 어종감성돔
20181226.174849.891.M0019239L9.jpg



 
주말 조황소식 전합니다.

북서풍이 매섭게 부는 와중 한자리에서 54.52cm

두마리를 획득하며 철수합니다.

오늘 바람통에 의지된곳 골라 내려드렸는데 돌아치는

바람에 고생들 하셨읍니다.

낼 새벽 정상출항합니다.
F23139235U.jpgF2313922JA.jpgF2313921KA.jpgF2313920GO.jpgF231391954.jpgF2313918E8.jpgF2313917LW.jpgF2313916EY.jpgF23139157Q.jpgF2313914Z2.jpg

김진운의 피/싱/스/토/리

 


문어 출항


*출항시간:04시30~05시(04시집결)

*집결지  :여수시 소호1길 38 피싱스토리

*철수시간:15시

*선비 평일ㆍ주말 8만원

*계좌번호:  신한은행 김진운 110  377  031313

ㅡㅡ입금 확인후 예약 접수합니다ㅡㅡ

ㅡ선사 지급 ㅡ
각종  냉 음료  컵라면 각종 간식거리  
     점심 개인 도시락

**자리배정
승선후 자리 뽑기
2인 이상 뽑기 우선(예 5번 뽑을시 5.6번)

인원이 많은팀 뽑기 우선  한분뽑기



갯바위 출항 정보

20191203.111141.787.M0019239L9.jpg

 

네비주소 :여수시 소호1길 38

예약문의

010-4053-0718

신한은행

110-377-031313

김진운

F0494862E4.jpg

여수갯바위낚시

여수피싱스토리

김진운 선장

F0494860LJ.jpg
항구명 여수소호선착장
승선인원 20명
출조점명 피싱스토리
배 타는 곳사무실 옆 여수소호선착장

홈페이지 바로가기 Click

낚시뚜


0 댓글
포토 제목
게시물이 없습니다.
 
 

인낚 최신글


인낚 최신댓글


온라인 문의 안내


월~금 : 9:00 ~ 18:00
토/일/공휴일 휴무
점심시간 : 12:00 ~ 13:00