[매물도 및 내만권]" 감성돔 마릿수 및 밤"뽈락 만쿨'만쿨"반쿨반쿨"빈쿨

신상품 소개


회원 랭킹


공지사항


NaverBand
점주/선장 > 갯바위 조황

▶ 지켜주세요! ◀
 
 - 당일 조황을 올리셔야 합니다. 
 - 지난 조황은 2일이내 미등록 조황만 가능합니다. 
 - 이미 올린 조황을 붙여넣기하여 계속 등재하시면 중복조황에 해당합니다. 
 - 당일 조황을 올리면서 이전 조황을 같이 올리면 중복조황에 해당합니다.
 - 조황없는 출조정보는 출조정보 게시판을 이용하시길 바랍니다. 
 - 올린 글 삭제하고 다시 올려 상단에 올리려는 방법, 이용규칙 위반입니다. 
 - 제목에 특수문자 사용하시면 안됩니다. (온점, 쉼표, 느낌표, 괄호, 물결만 허용)

 ☆ 공지사항에 '조황등재시 유의사항' 게시글을 꼭 확인하시고 조황작성 부탁드리며, 가장 기본적인 
    규칙이 지켜지지 않을 시 예고없이 글 삭제 및 이용정지 될 수 있음을 알려드립니다. 
 
b_hot_innakmall_200x80_240307.jpg b_hot_innakmall_200x80_220704.jpg b_hot_ggsusan_hongeu_200x80.gif b_hot_innakmall_200x80_211203.gif

[매물도 및 내만권]" 감성돔 마릿수 및 밤"뽈락 만쿨'만쿨"반쿨반쿨"빈쿨

대포스타피싱 0 875
● 출항지 : 거제


반갑습니다.^^


거제 대포항 *스타피싱* 그선장 입니다.^^ 


저히 스타피싱의 쎌프 스타벅스 휴게실 입니다.^^ 


더울때는 시원하게 추을때는 따듯하게 출조시 시간을 여유롭게 오셨어 

 

차와 간단한 간식 식사등 드실수있도록 모든준비를 하였습니다.


                                        

    [출조문의 예약= = 010-3530-8877] 

             [예약받는시간 08시~22시까지}  

    [통화가 안될시 문자남겨주시면 연락드리겠습니다.]


    출항 30분 전에 도착 부탁드립니다^^.........


1d5fd8a8272c03a8b6aa7b32d112fb4d_1652268868_7035.jpg
 

1d5fd8a8272c03a8b6aa7b32d112fb4d_1652268874_6967.jpg
 

 


반갑습니다.^^


거제 대포항 스타피싱 그선장 입니다. 


참 오랜만에 주말 정상출조를 하였습니다.


주말 오랜만에 구을비도까지 출조를 하였습니다.


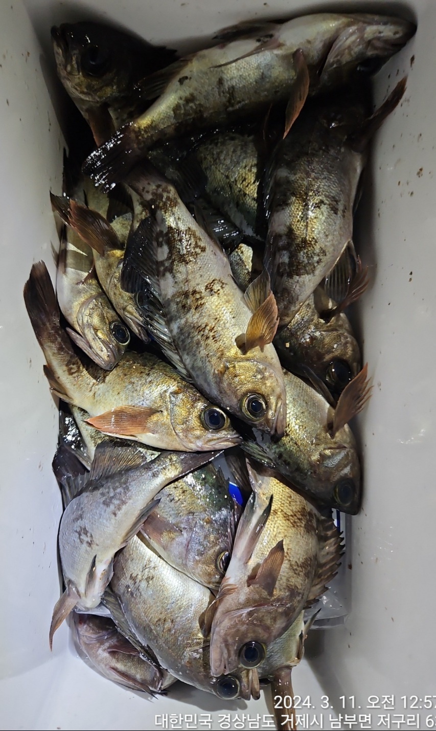
내만 준내만 매물도 구을비도까지 출조가 이루어젔으며 대상어도 다양하게 감성돔 참돔 벵에돔등 보시고 출조를 하셨습니다.


구을비도는 아직까지는 시기가 이른지 별다른 조과들이 없었네요.

 

한사리 물때였는지라 구을비도까지 물색은 많이 탁하였습니다.


매물도권 역시 탁한 물색 과 거센 조류로인하여 감성돔 참돔 벵에돔 난마리의 얼굴만 보였습니다.


내만권 감성돔은 이제다시금 중치급들이 곳곳에서 나오기 시작합니다.


마랏수도 보이고 한두수는 다 손맛을 보시고 오십니다.


내만권은 출조인원이 보통 4~5분식 나가시는 편 입니다.


내만권 감성돔은 4월 초순까지는 꾸준히 나와줄것으로 보입니다.


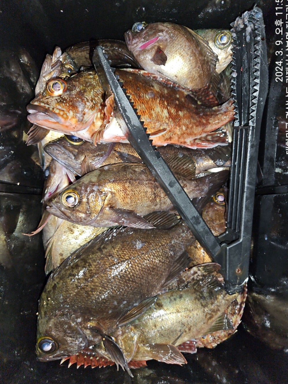
밤뽈락 낚시 모처럼만의 주말 날씨가 좋와서 많은분들께서 출조를 하셨습니다.


전반적으로 밤뽈락 역시 거센 조류와 탁한 물색으로인하여 다소 조황은 많이 부족하였습니다.


그중에서도 만쿨하신분들 반쿨하신분들 또는 손맛을 보시지 못하신분들도 많으셨습니다. 


슬 봄기운이 다가오는 시기입니다.


매물도권 과 구을비도권 봄 대물들의 입질이 시작될듯한 기운이 느께짐니다.


이제부터는 기상이 되는날은 구을비도권 까지 출조를 이어나가도록 하겠습니다.


매물도권 구을비도권 다 대물감성돔 참돔 긴꼬리 벵에돔등 다양하게 노려보셔도 되겠습니다.^^

 

 

스타피싱은 구을비도권 매물도권 출조 새벽출조 오후바리출조로 출조중입니다.

 

늘 그렇듯 모둔분들께서 손맛을 보시길 바래보지만 모든분들이 다 손맛을 보시지는 못하셨습니다.  


그선장 늘 많은분들께서 손맛을 즐기실수 있도록 더욱더 노력하겠습니다.^^ 

 


출항전 하선하시고싶은 섬 대매물도:소매물도 미리 이야기해주시면 최대한 맞추어 드리도록 하겠습니다.

 

마 그냥 선장님 촉대로 내려주이소 하시믄 손맛보십니데이~ㅋㅋㅋ


주말 다녀가신 조우님들 수고많으셨습니다.


감사합니다.^^

 

05ab61ed26fef45d283faf6d2c667c76_1710220775_4079.jpg



05ab61ed26fef45d283faf6d2c667c76_1710220779_2067.jpg



05ab61ed26fef45d283faf6d2c667c76_1710220783_4218.jpg



05ab61ed26fef45d283faf6d2c667c76_1710220786_71.jpg



05ab61ed26fef45d283faf6d2c667c76_1710220790_152.jpg



05ab61ed26fef45d283faf6d2c667c76_1710220794_3614.jpg



05ab61ed26fef45d283faf6d2c667c76_1710220798_276.jpg



05ab61ed26fef45d283faf6d2c667c76_1710220803_4694.jpg



05ab61ed26fef45d283faf6d2c667c76_1710220807_6312.jpg



05ab61ed26fef45d283faf6d2c667c76_1710220811_4435.jpg



05ab61ed26fef45d283faf6d2c667c76_1710220820_4339.jpg



05ab61ed26fef45d283faf6d2c667c76_1710220824_3455.jpg



05ab61ed26fef45d283faf6d2c667c76_1710220829_0083.jpg



05ab61ed26fef45d283faf6d2c667c76_1710220832_7072.jpg



05ab61ed26fef45d283faf6d2c667c76_1710220836_7731.jpg



05ab61ed26fef45d283faf6d2c667c76_1710220840_5244.jpg



05ab61ed26fef45d283faf6d2c667c76_1710220845_6565.jpg



05ab61ed26fef45d283faf6d2c667c76_1710220877_4558.jpg



05ab61ed26fef45d283faf6d2c667c76_1710220881_8868.jpg



05ab61ed26fef45d283faf6d2c667c76_1710220886_0648.jpg



05ab61ed26fef45d283faf6d2c667c76_1710220891_0015.jpg



05ab61ed26fef45d283faf6d2c667c76_1710220900_7623.jpg



05ab61ed26fef45d283faf6d2c667c76_1710220904_4.jpg



05ab61ed26fef45d283faf6d2c667c76_1710220907_8316.jpg



05ab61ed26fef45d283faf6d2c667c76_1710220912_8287.jpg



05ab61ed26fef45d283faf6d2c667c76_1710220917_3332.jpg



05ab61ed26fef45d283faf6d2c667c76_1710220922_0173.jpg



05ab61ed26fef45d283faf6d2c667c76_1710220925_9891.jpg



05ab61ed26fef45d283faf6d2c667c76_1710220931_6301.jpg



05ab61ed26fef45d283faf6d2c667c76_1710220937_1419.jpg



05ab61ed26fef45d283faf6d2c667c76_1710220943_0558.jpg



05ab61ed26fef45d283faf6d2c667c76_1710220968_1271.jpg



05ab61ed26fef45d283faf6d2c667c76_1710220973_4197.jpg



05ab61ed26fef45d283faf6d2c667c76_1710220977_4961.jpg



05ab61ed26fef45d283faf6d2c667c76_1710220982_7515.jpg



05ab61ed26fef45d283faf6d2c667c76_1710220990_9126.jpg



05ab61ed26fef45d283faf6d2c667c76_1710220996_7646.jpg



05ab61ed26fef45d283faf6d2c667c76_1710221002_5827.jpg



05ab61ed26fef45d283faf6d2c667c76_1710221010_4435.jpg



05ab61ed26fef45d283faf6d2c667c76_1710221018_7701.jpg



05ab61ed26fef45d283faf6d2c667c76_1710221027_0902.jpg



05ab61ed26fef45d283faf6d2c667c76_1710221035_7149.jpg



05ab61ed26fef45d283faf6d2c667c76_1710221091_723.jpg



05ab61ed26fef45d283faf6d2c667c76_1710221105_2227.jpg

 

그선장 기상이 허락하는날은 밤출조 새벽출조 오전 오후리리출조 쭉~달림니다.^^



###저희 스타피싱 주 출조지는 매물도""대덕도"가왕도"죽도"대포권 등 입니다.###  

"스타피싱" 매물도 및 준내만권 진입하는 최단거리 최단시간의 출항지 입니다.^^  



***매물도권 준내만권 밤"뽈락" 출조합니다***

***출조 오후16시00출조 ~ 철수:  24시00분 03시00분 철수 

***준내만 3인 이상 밤뽈"출조 19시00시21:00시 출조가능 합니다.

** 기상등 현지사정으로 출조시간이 변경될수도 있으니 반드시 예약전화로 확인바랍니다


**대물을 낚으셔서 무료승선권 많이많이 받아가셔유~~^^

@@벵에돔 40cm 이상 1장 50cm 이상 2장 @@


@@벵에돔 30cm 이상 10마리이상 1장 @@


@@참돔 60cm 이상 1장 70cm 이상 2장 80cm 이상 3장@@

@@감성돔 50cm 이상 1장 55cm 이상 2장@@

@@볼락 30cm 이상 1장
 


**주말출조시간은 기상에따라 변동적일수있으므로 문의부탁 드리겠습니다
 

^^^^^^ 출항 30분전에 꼭 도착을 해주세요 ^^^^^
 


348e470053eafbc71a0e0b416a01d92b_1632538937_7397.jpg

    
 

매물도 출조는 예약제로 운영하오니 출조문의 예약번호로 예약부탁드립니다 

 

가게 예약전번으로 010 3530 8877 연락주시면 되겠습니다.^^

 

네비주소 : 경남 거제시 남부면 대포길 62-1
 

***스타피싱 출조문의예약 : { 010 - 3530 - 8877 }***
 [ 그선장 : 010-9919-9238 ][그선장 통화가 안될시 문자 남겨주세요.^^]
                   
***[스타피싱 팬션 이용요금]***
***[큰방 기본4인(10만원)~최대6인실 ]***
***[작은방 기본2인(6만원)~최대3인실 ]***
     기본인원 외 1인 추가시 1만원 추가요금 있습니다.
***[게스트 하우스 1인 2.5만원]***
    # 스타피싱 낚시배 이용 고객 기준입니다.



준 비 물 : 신분증 구명조끼(300만원)참,야영시에는 텐트.취사도구는 단속대상입니다(참고하세요)

언제나 저희 스타피싱 낚시를 찾아주신조사님들께 감사드립니다(^^)       

 


0 댓글
포토 제목
게시물이 없습니다.
 
 

인낚 최신글


인낚 최신댓글


온라인 문의 안내


월~금 : 9:00 ~ 18:00
토/일/공휴일 휴무
점심시간 : 12:00 ~ 13:00