- 당일 조황을 올리셔야 합니다. - 지난 조황은 2일이내 미등록 조황만 가능합니다. - 이미 올린 조황을 붙여넣기하여 계속 등재하시면 중복조황에 해당합니다. - 당일 조황을 올리면서 이전 조황을 같이 올리면 중복조황에 해당합니다. - 조황없는 출조정보는 출조정보 게시판을 이용하시길 바랍니다. - 올린 글 삭제하고 다시 올려 상단에 올리려는 방법, 이용규칙 위반입니다. - 제목에 특수문자 사용하시면 안됩니다. (온점, 쉼표, 느낌표, 괄호, 물결만 허용) ☆ 공지사항에 '조황등재시 유의사항' 게시글을 꼭 확인하시고 조황작성 부탁드리며, 가장 기본적인 규칙이 지켜지지 않을 시 예고없이 글 삭제 및 이용정지 될 수 있음을 알려드립니다. |
![]() |
|
![]() |
![]() |
안녕 하십니까?
고성대포낚시 아리랑호 정선장입니다
정선장: 010~8559~0076
(조황정보)
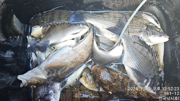
사량도 포인트가 조용하네요
주중이라 출조객이 너무너무 없네요 사량도권 감성돔 꾸준하게
올라오고 있습니다 오늘,어제도 3짜후반부터 4짜중반까지 마릿수
감성돔들 모습을 보이고 있습니다
지금시즌에는 새벽에 한마리 터트리면 끝 ,,,,,무조건 잡아야 됩니다
오늘도 큰씨알은 자연방생하고 1마리는 뜰채 준비중 바늘빠지고,,,,
주중 출조인원이 너무 없습니다 아리랑호는 내일(수요일)도 정상출조
합니다
오늘도 너무나 포근한 날씨,
좋은 날씨속에 울조사님들 즐낚하시고 돌아 가셨습니다
찾아주신 조사님들 감사합니다
수고 많았습니다
잡어가 많이 있습니다(대체미끼 준비)
최고의 포인트로 안내 하겠습니다
사량도권 감성돔 좋은 조황 보이고 있고 손님고기 벵에돔,볼락까지
다양하게 올라오고 있습니다 조금빠른 예약 부탁 드리겠습니다
아직도 예약펑크가 많이나오고 있습니다
신중하게 예약 하십시요
사량도권 찬바람이 불어오면 대물들이 움직 입니다
채비 단단히들 하시길,,,,
지금 해뜨기 전,후에 집중 입질을 받고 있습니다
밤낚시에는 청개비가 최고 입니다(한통씩 준비요)
### 주 포인트가 여밭이라 많이 터트리고 있습니다
목줄점검 잘 하십시요 ###
출조,철수시간 확인 잘하시고 예약 쭉,,, 받고 있습니다
감성돔 선상 가능 합니다(주중)
출조시간 잘 확인 하시고 ,,,문의사항 선장님께 전화주세요
### 감성돔 갯바위 출조 ###
주중 02시 출항 ~~~ 철수 13시(시간은 변경가능)
공휴일 (1항차) ~~~ 밤12시 출항 ~~~ 철수11시(시간은 변경 될수도 있음)
(2항차) ~~~ 오전02시 ~~~ 철수 오후1시30분(시간은 변경 될수도 있음)
(3항차) ~~~ 오전06시 ~~~ 철수 오후3시(시간 변경 될수도 있음)
### 토요일 야영 오후4시 출항(감성돔,갈치) ###
### 감성돔 선상 출조 ###(주중,선상2분이상))
계속 예약중 입니다
출조 오전5시 ~~~ 철수 14시
선비 10만원, 미끼.밑밥,도시락,생수,캔커피,,선사제공
### 돌문어 ###(5명이상)
출조 오전6시 ~~~ 철수 오후4시(종일낚시)
선비 10만원,도시락,생수,캔커피,,선사제공
모든소품 개인지참
### 모든 출조,철수 시간은 변경될수 있습니다 ###
### 7,93톤(아리랑호),정원18명 ###
### 입금 821083~56~054001 농협 강미선 ###
입금확인후 예약완료 됩니다
### 자리배정은 선착순 ###
계속 예약중 입니다
조금빠른 예약 부탁드리겠습니다
문의사항은 선장님께 전화주십시요
##### 밤볼락(전갱이) 출조 #####
오후5시(출조) ~~~ 밤12시 (철수)
##### 넒은 공간에서 편안하게 즐기세요 #####
##### 화장실 깨끗합니다 #####
##### 가게 :고성군 삼산면 두포리 1160번지(덕산 마을) #####
##### 신주소 :고성군 삼산면 두포로 491 #####
##### 정선장: 010-8559-0076 #####
##### 정선장: 010_8559_0076 #####
##### 감사합니다 ####
|
|
|
|







