전국낚시호 수요일 조황 입니다
02월 14일(토)
인낚 현재접속자
4,410명 (
262
)
공지사항
인낚도서관
점주선장전용 공지사항
로그인
광고/제휴 문의
운영진에게
인낚ㅣ인터넷바다낚시
0
어종별선상
어종별갯바위
낚시인조황
점주선장조황
출조정보
낚시광장
낚시지식인
낚시교실
중고장터
휴게실
인낚도서관
인낚몰
0
어종별선상
4대돔 조황
먹물 조황
갈치 조황
볼락&전갱이
빅게임 지깅&파핑
외줄&외수질
기타 어종
어종별갯바위
4대돔 조황
먹물 조황
갈치 조황
볼락&전갱이
농어&삼치&방어&부시리
기타 어종
낚시인조황
낚시인 번개조황
낚시인조행기
스탭조행기
우리낚시동호회이야기
전국낚시동호회소개
동호회갤러리
지난 조황자료보기(년도별 조황 자료)
점주선장조황
전국 실시간 조황
선상(배)+좌대 조황
갯바위+방파제 조황
점주선장전용 공지사항
지난 조황자료보기(년도별 조황 자료)
출조정보
낚시인동행출조
점주선장 갯바위 출조
점주선장 선상출조
기상파고정보(기상청)
해상예보
물때표
파고예보(일본)
실시간해양관측예보
스마트조석예보
낚시광장
낚시계뉴스
대회 및 낚시관련 홍보
제품평가단
신상품소개
낚시지식인
Q&A 묻고 답하기
지식인 베스트
조황/포인트 문의
낚시용품 사용기
낚시투표
토론방
新어류도감
낚시교실
낚시기법소개
어종별 낚시교실
입문자교실
중급자교실
낚시용어사전
중고장터
중고장터 이용후기
더치트 사기피해 검색
팝니다
삽니다
교환합시다
무료로 드립니다
부품팝니다
부품삽니다
일반 생활용품 사고 팔기
휴게실
출석부
낚시갤러리
세상사는 이야기(자유게시판)
낚시이야기 마당
먹고사는 이야기
구인구직
칭찬합니다
어째이런일이
습득물 찾기
인낚도서관
인낚 유튜브
인낚 칼럼
블루, 그것이 알고싶다
더블테일의 두 눈으로 보는 세상
입질의추억의 피싱다이어리
나無의 바다 이야기
전문강좌
海巖의 바다낚시 이야기
이성규의 전유동낚시 강좌
조성민의 금요루어클럽
메인
어종별선상
어종별갯바위
낚시인조황
점주선장조황
출조정보
낚시광장
낚시지식인
낚시교실
중고장터
휴게실
인낚도서관
인낚몰
0
점주/선장 >
갯바위 조황
☆ 공지사항 '조황등재시 유의사항' 게시글 필독
☆
- 당일 조황 올리기
- 이전 조황 복사해서 올리지 말기
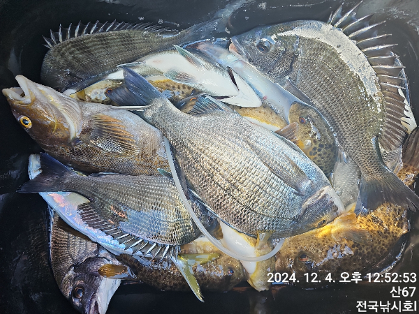
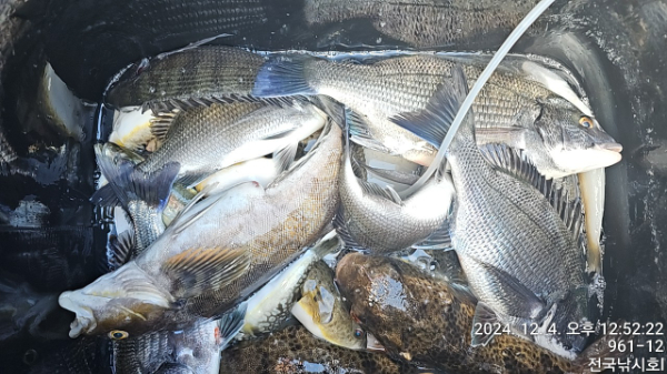
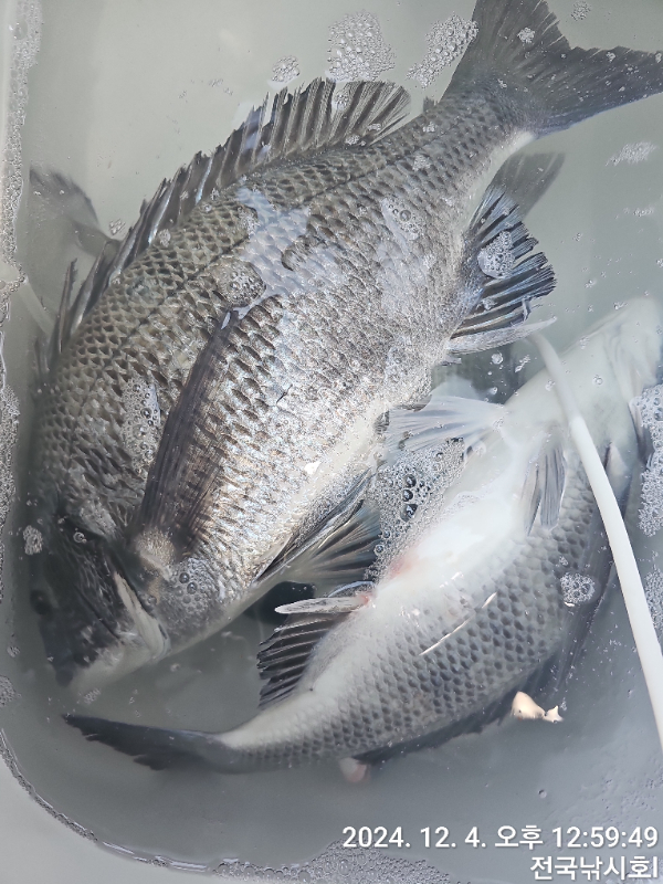
전국낚시호 수요일 조황 입니다
고흥전국낚시호
0
115
2024.12.04 14:26
● 출항지 : 고흥,녹동
● 출조인원 : 16~20명
초도 장도권 다녀 왔습니다
오늘도 전국 낚시호를 찿아 주셔서 감사 합니다 항상 변함 없이 최선을 다하는 모습으로 보답 하겠 습니다
고흥 전국 낚시호
010 4626 8963
*** 고흥 전국 낚시호 예약 안내 ***
예약문의 : 010-4626-8963
오시는길 : 전남 고흥군 풍양면 천마로 1418-17 (구 해양파출소)
홈페이지 :
https://jeonguk.sunsang24.com/
0
신고
목록
글쓴이
0
1
Lv.1
고흥전국낚시호
프리미엄회원
1,000 (10%)
안녕하세요 고흥 전국낚시호 선장 황오성 입니다
+2
12.30
전국낚시호 월요일 조황 입니다
12.29
전국 낚시호 일요일 조황 입니다
12.28
전국 낚시호 토요일 (28)일 조황 입니다
12.26
25일 초도군도 조황 입니다
12.24
5짜 구경 하세요
0
댓글
로그인한 회원만 댓글 등록이 가능합니다.
×
Image Upload
로그인한 회원만 등록가능합니다.
포토
제목
이름
날짜
[여수,광양] 17일 금오열도 감성돔 조황입니다
출항지 : 여수,광양 / 출조지 :
피싱메카호
197
2024.12.17
피싱메카호
2024.12.17
[고성] 사량도 감성돔 꾸준하게 올라옵니다!!!(정상출항)
출항지 : 고성 / 출조지 :
고성대포낚시
434
2024.12.17
고성대포낚시
2024.12.17
[여수,광양] 화요일 금오열도 감성돔조황
출항지 : 여수,광양 / 출조지 :
여수해변낚시
274
2024.12.17
여수해변낚시
2024.12.17
[통영] 욕지권 탱크부터 덩치급까지~풀파워
출항지 : 통영 / 출조지 :
독도피싱
366
2024.12.17
독도피싱
2024.12.17
[통영] 욕지권)걸면5짜들53.50그외참돔 퍼담기(실시간즐낚중)
출항지 : 통영 / 출조지 :
블루아이피싱
588
2024.12.17
블루아이피싱
2024.12.17
[여수,광양] 감성돔출조시작합니다~~~많은애용부탁드립니다~~~
출항지 : 여수,광양 / 출조지 :
여수그랜드맥스호
205
2024.12.17
여수그랜드맥스호
2024.12.17
2
[통영] 대박호)덩치급/마릿수 60여수 팍팍했습니다
2
출항지 : 통영 / 출조지 :
통영대박피싱
777
2024.12.17
통영대박피싱
2024.12.17
[통영] 종일중~5짜~4짜후반진행중~쭉나갑니다~
출항지 : 통영 / 출조지 :
비키라피싱
355
2024.12.17
비키라피싱
2024.12.17
[통영] 아쿠아]4짜4짜4짜,마리수 참돔 한가득
출항지 : 통영 / 출조지 :
통영아쿠아피싱
368
2024.12.17
통영아쿠아피싱
2024.12.17
[고성] 욕지군도] 53, 52, 50, 4 4 4 두자릿수 기본 조황입…
출항지 : 고성 / 출조지 :
고성섬낚시
465
2024.12.17
고성섬낚시
2024.12.17
[거제] 지세포 - 볼락 / 전갱이 조황!!!
출항지 : 거제 / 출조지 :
거제해림호
497
2024.12.17
거제해림호
2024.12.17
[통영] 직벽호]덩치급팅팅!!50.43.42.41.40.40
출항지 : 통영 / 출조지 :
통영직벽피싱
550
2024.12.17
통영직벽피싱
2024.12.17
[부산] 호진호 감성돔 조항 싸이즈좋아요
출항지 : 부산 / 출조지 :
낫개호진호
431
2024.12.17
낫개호진호
2024.12.17
[해외] 12월 16일조황
출항지 : 해외 / 출조지 :
피엔포인트
257
2024.12.17
피엔포인트
2024.12.17
[통영] 밤볼락...바람에 폭망..오늘16시정상출조
출항지 : 통영 / 출조지 :
통영나드리호
491
2024.12.17
통영나드리호
2024.12.17
초기화
날짜순
조회순
검색
46
47
48
49
50
Search
검색대상
제목
내용
제목+내용
회원아이디
회원아이디(댓글)
글쓴이
글쓴이(댓글)
또는
그리고
검색어
필수
검색
닫기
검색조건
제목
내용
제목+내용
회원아이디
회원아이디(코)
글쓴이
글쓴이(코)
검색어
또는
그리고
검색
인낚몰 초특가
★설특가 190,000★ 파직스 자동팽창식 구명의 PL-181+원줄+장갑
★설특가 99,000★ 디캡스 자동팽창식 구명복+원줄+장갑
★설특가 8,000부터★ ISF 바칸 삼나무 테이블
★설특가 4,000★ FF 블리츠 전자캐스팅볼 점등 점멸 + 구매수량만큼 425배터리 증정 / 4개단위로 구매시 케이스 증정
★설특가 12,000★ 티렉스 미니 일렉볼 + BR322 배터리 1개 증정
★설특가 6,000★ 티렉스 일렉트로볼 점등 점멸
★설특가 18,000부터★ 1+1 플로팅, 세미, 카본 낚시줄 행사 호수선택가능 / 택상 1+1 원줄, 목줄 행사
★3,000★ MAEK 맥 호래기 대바늘 호래기콕 J타입 (카본바디 2입)
★5,000★ 어부공방 NEW 호래전
★4,500★ 야마시타 SB 호래기 대바늘
★3,000★ 하야부사 6단 볼락 전갱이 카드채비 SD724 볼락채비
★1,000★볼락낚시에 최적인 메바트로볼 - 캐스팅볼, 메바볼