- 당일 조황을 올리셔야 합니다. - 지난 조황은 2일이내 미등록 조황만 가능합니다. - 이미 올린 조황을 붙여넣기하여 계속 등재하시면 중복조황에 해당합니다. - 당일 조황을 올리면서 이전 조황을 같이 올리면 중복조황에 해당합니다. - 조황없는 출조정보는 출조정보 게시판을 이용하시길 바랍니다. - 올린 글 삭제하고 다시 올려 상단에 올리려는 방법, 이용규칙 위반입니다. - 제목에 특수문자 사용하시면 안됩니다. (온점, 쉼표, 느낌표, 괄호, 물결만 허용) ☆ 공지사항에 '조황등재시 유의사항' 게시글을 꼭 확인하시고 조황작성 부탁드리며, 가장 기본적인 규칙이 지켜지지 않을 시 예고없이 글 삭제 및 이용정지 될 수 있음을 알려드립니다. |
![]() |
|
![]() |
![]() |
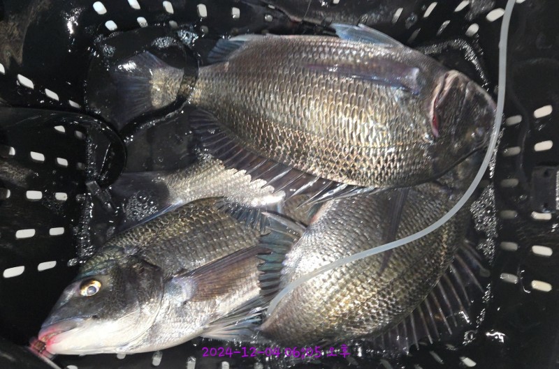
감성돔~5짜4짜4짜4짜4짜4짜4짜4짜4짜4짜4짜4짜4짜수요일 조황 전해드립니다
어제 좋은기상속에 오전 오후로 폭 넓게 포인트 선정하여 출조를 다녀왔습니다
조과로는 역시 물때가 좋다보니 여기저기서 감성돔을 볼수있었으며 5짜 부터 4짜 까지 마리수로 볼수있었습니다
대물의 터짐도 많았으며 벗겨지고 난리도 아니였다고 하시네요
벵에돔을 판떼기 마리수 조황을 보여주네요
내일은 느즈막히 출조 나갑니다
주말 정상적으로 출항합니다 예약은 미리해주시기 바랍니다
어제 출조하신 조사님들 수고많으셨습니다
●●● 감성돔 낮 출조는 매일 09시30분 집결 출조합니다ㆍ(사전 예약)
● 밤볼락 출조ㆍ매일 15시 30분 집결 출항(철수는 01시 전후. 07시 전후)
● ● 출조 시간 토요일. 일요일. 공휴일 기준(평일은 문의 바람) ● ●
1항차ㆍ11시00분(전일밤) 출항
2항차ㆍ00시00분 출항
3항차ㆍ01시00분 출항
4항차ㆍ02시00분 출항
5항차ㆍ03시00분 출항
6항차ㆍ04시00분 출항
7항차ㆍ05시00분 출항
8항차ㆍ06시00분 출항
9항차ㆍ09시45분 출항
■ 출항 30분 전 도착바라며ㆍ사전 예약 해 주시고 3인 이상 출조 희망 시 기상이 허락하면 무조건 출조
● 평일 출조는 문의 바라며 ㆍ사전 예약 꼭 부탁드립니다
■ 감성돔 낚시 중 ㆍ평일 10시30분 ~ 11시 포인트 이동 희망 시 가능
●● 철수 일정 ●●
1항차ㆍ01시00분 ~ 01시30분
2함자ㆍ06시00분 ~ 07시00분
3항차ㆍ11시00분 ~ 11시30분
4항차ㆍ13시00분 ~ 13시30분
5항차ㆍ15시00분 ~ 15시30분
6항차ㆍ17시00분 ~ 17시30분
■ 철수시간은 출조 시 말씀 해 주시고 ㆍ변경 발생 시 30분 전 연락 주시면 조율 가능합니다
●선단 출조지
● 뉴바다세계호 9.77톤 (죽도. 대덕도. 매물도. 구을비도)
● 바다세계 2호 9.77톤 (추봉도. 용초도. 비진도. 소지도. 국도)
● 평일. 주말. 휴일 및 기상에 따라 출조지와
출조 및 철수 시간이 다소 변동이 발생
할 수 있습니다ㆍ사전 문의
●대한민국에서 가장 빠른 9.77톤
뉴 바다세계호로 안전하고 즐거운
낚시 여행이 되시길 기원합니다
●● 네이버 밴드(거제가자피싱랜드 조황 밴드)에서 실시간 자세한 조황 확인 가능5
● 주소
1.거제 가배항
2.거제시 거제남서로 2271-1
● 문의
● 뉴 바다세계 010 4111 7369
● 바다세계 2호 010 3551 7369
거제가자피싱랜드입니다 주 출조 선박 뉴 바다세계호는 2024년 최 신조선으로 9.77톤이며 최고 속력 37노트 평속 23 - 27노트로 운항 출조지 1호ㆍ용초도. 죽도. 추봉도. 비진도 2호ㆍ구을비도 매물도로 주 출조하며 3호ㆍ간여 및 국도 출조
|
|
|
|


























