- 당일 조황을 올리셔야 합니다. - 지난 조황은 2일이내 미등록 조황만 가능합니다. - 이미 올린 조황을 붙여넣기하여 계속 등재하시면 중복조황에 해당합니다. - 당일 조황을 올리면서 이전 조황을 같이 올리면 중복조황에 해당합니다. - 조황없는 출조정보는 출조정보 게시판을 이용하시길 바랍니다. - 올린 글 삭제하고 다시 올려 상단에 올리려는 방법, 이용규칙 위반입니다. - 제목에 특수문자 사용하시면 안됩니다. (온점, 쉼표, 느낌표, 괄호, 물결만 허용) ☆ 공지사항에 '조황등재시 유의사항' 게시글을 꼭 확인하시고 조황작성 부탁드리며, 가장 기본적인 규칙이 지켜지지 않을 시 예고없이 글 삭제 및 이용정지 될 수 있음을 알려드립니다. |
![]() |
|
![]() |
![]() |
안녕하십니까?
거제명사항에서 출항하고있는
거제국도낚시입니다.
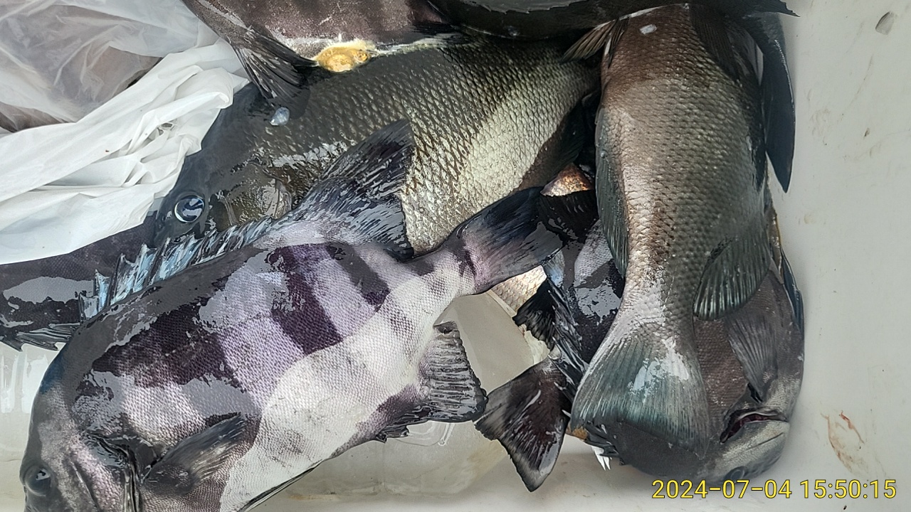
*오늘조황사진입니다.*
현재바다상황은 바람은 적당히 불지만 짙은해무와 너울성파도가 장난이 아닙니다.
내일은 오늘보다도 안좋은 예보라.....ㅠ
토욜새벽부터 출항이 가능할것으로 예상됩니다.(기상상황에따라 변할수도있음)
장마시즌이라 간단한비옷도 준비하시고 더위도.....
조황소식
오늘은 날물때는 별루였다가 들물로 바뀌면서 폭풍입질이 들어왔습니다.
다른때와는 다른상황을 보인날이었습니다.
4짜돌돔부터,긴꼬리,벤찌들과 부시리들이 왕성한 입질을 보엿습니다.
출조시 채비튼튼히 해서 오십시요.
매일 밤(새벽)/오후 계속~ 국도 집중출항합니다.
바다날씨가 좋으면 년중
국도권으로 출조합니다.
*간여(7/7일 밤12시까지) 집중출조합니다.*
함께하실분은 미리 전화예약당부드립니다.
기상만 좋으면 매일밤,새벽,오후 국도권으로 출조합니다.
대상어는
대물참돔,대물돌돔,대물뱅에돔,농어,왕볼락,아지등입니다.
토욜,일욜은 새벽2시~ 이후기상고려계속 국도,간여 정상출조
출항시간은 기상과물때,인원수에따라 변동될수있으니 항시문의바랍니다.
기상안좋을시 소지도권이나 매물도권으로...
함께하실분은 사전에 전화예약 당부드립니다.
주요출조지는
국도,간여,구을비도,매물도,소지도와 내만권으로 출항합니다.
매일오후3~5시 국도권으로 대물참돔,왕볼락을 대상어로 출조합니다..
※ 기상만 이상없으면
매일 오후4시~5시에
국도,매물도,소지도권으로
(밤볼루어,선상병행) 정상출조합니다.
오시는길에 저렴한곳에서
구입해오시기 바랍니다.
***************
기상 상황에 따라서
언제든 변경될 수 있습니다.
******************
조황및출조안내
h/p:010-3427-8780
찿아오시는곳
거제시 남부면 명사길 27
*네비에 거제 명사해수욕장으로 검색하시면 됩니다.*
|
|
|
|











