- 당일 조황을 올리셔야 합니다. - 지난 조황은 2일이내 미등록 조황만 가능합니다. - 이미 올린 조황을 붙여넣기하여 계속 등재하시면 중복조황에 해당합니다. - 당일 조황을 올리면서 이전 조황을 같이 올리면 중복조황에 해당합니다. - 조황없는 출조정보는 출조정보 게시판을 이용하시길 바랍니다. - 올린 글 삭제하고 다시 올려 상단에 올리려는 방법, 이용규칙 위반입니다. - 제목에 특수문자 사용하시면 안됩니다. (온점, 쉼표, 느낌표, 괄호, 물결만 허용) ☆ 공지사항에 '조황등재시 유의사항' 게시글을 꼭 확인하시고 조황작성 부탁드리며, 가장 기본적인 규칙이 지켜지지 않을 시 예고없이 글 삭제 및 이용정지 될 수 있음을 알려드립니다. |
![]() |
|
![]() |
![]() |
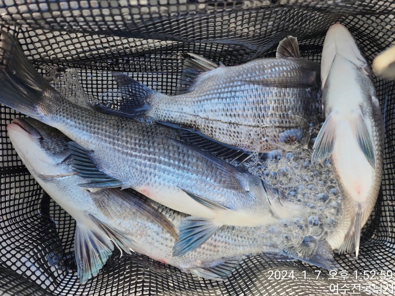
7일 안도.연도로 소수인원 모시고 다녀왔습니다~~
조류가 살아나기 시작하니 조금물때에 떨어진 수온이 안정화되는듯 합니다~~
이제 덩치급 감성돔이 보이기 시작하네요~~
왕사미들도 움직이기 시작하니 새벽시간대에 볼락장비 같이챙겨 반찬거리 노려보셔도 될듯합니다~~
날씨만 좋으면 바다로 나가봅니다~~
내일도 정상 출조합니다.
자리여유 있으니 예약 부탁 드립니다
※안도,연도(패키지로)출조해 봅니다.※
※내용:밑밥5+집어제2+보리4+백크릴+생수
※선비포함=₩80.000원
1.8일(월)안도,연도 00출항 오후1시철수 4물
1.8일(월)안도,연도 07출항 오후4시철수(포인트이동)
1,9일(화)안도,연도 00출항 오후1시철수 5물
1,9일(화)안도,연도 07출항 오후4시철수(토인트이동)
돌산내만권 수시출조도 합니다~~
성두.개도.두라.나발.횡간일대=선비 3만원
예약문의(24시가능)
섬섬낚시 061-644-3363
※전국 출조버스 동호회 환영합니다.
#섬섬낚시방 #돌산낚시 #돌산섬섬낚시 #금오도,안도,연도 #비박낚시 #(페키지)출조공지 #돌산(군내리항)출항
|
|
|
|











