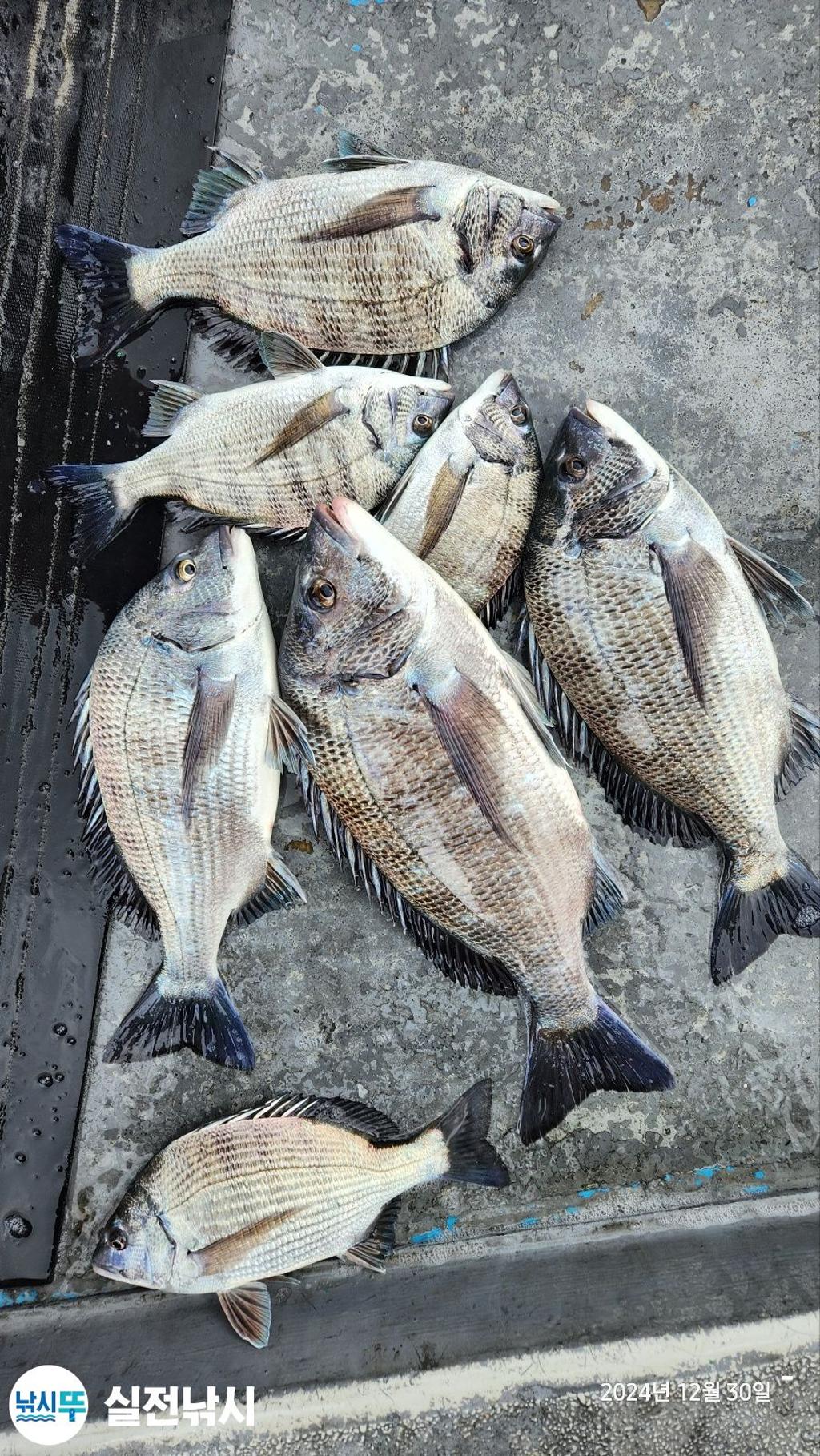
실전낚시 12/30 몸짱 마릿수 감성돔을 만나고 왔습니다

신상품 소개


회원 랭킹


공지사항


NaverBand
점주/선장 > 갯바위 조황

▶ 지켜주세요! ◀
 
 - 당일 조황을 올리셔야 합니다. 
 - 지난 조황은 2일이내 미등록 조황만 가능합니다. 
 - 이미 올린 조황을 붙여넣기하여 계속 등재하시면 중복조황에 해당합니다. 
 - 당일 조황을 올리면서 이전 조황을 같이 올리면 중복조황에 해당합니다.
 - 조황없는 출조정보는 출조정보 게시판을 이용하시길 바랍니다. 
 - 올린 글 삭제하고 다시 올려 상단에 올리려는 방법, 이용규칙 위반입니다. 
 - 제목에 특수문자 사용하시면 안됩니다. (온점, 쉼표, 느낌표, 괄호, 물결만 허용)

 ☆ 공지사항에 '조황등재시 유의사항' 게시글을 꼭 확인하시고 조황작성 부탁드리며, 가장 기본적인 
    규칙이 지켜지지 않을 시 예고없이 글 삭제 및 이용정지 될 수 있음을 알려드립니다. 
 
b_hot_innakmall_200x80_240307.jpg b_hot_innakmall_200x80_220704.jpg b_hot_ggsusan_hongeu_200x80.gif b_hot_innakmall_200x80_211203.gif

실전낚시 12/30 몸짱 마릿수 감성돔을 만나고 왔습니다

녹동실전낚시 0 599
● 출항지 : 고흥,녹동
F2605824ED.jpg낚시뚜에서 인낚으로 보내는 자동조황
top01.png

녹동갯바위

실전낚시

top02.png
내일도 감성돔을 대상으로
출항합니다
1월1일 해맞이 부터
목요일 금요일 토요일 일요일
계속해서 출항합니다
· 출조일시2024-12-30(월)
· 출조인원17명
· 어종감성돔,농어,볼락

실전낚시 입니다


**기상만 허락하면 감성돔,참돔,벵에돔,돌돔에 추적은 계속됩니다.

계절낚시를 좋아하는 갯바위 전문점으로서 돌돔,참돔,벵어돔,감성돔들과의 사랑놀이를
즐기려고 노력 하겠습니다~~~ *^^*

*** 신분증 꼬~~옥 지참하셔야 됩니다.

*** 구명조끼도 꼬~옥 착용하시구요~~~(매장에 대여용 준비되어 있습니다)

​*** 손소독제 매장과 배에 비치되어있습니다.

***본인과 타인을 위해서도 마스크 꼭 착용해주세요.


*** 갯바위 전용선으로 (9.77t) 출항 합니다***

*** 단체.동호회팀.야영팀~ 쭈욱 달려보렵니다.***

먼바다권: 거문도


중내만권: 부도.섭도.다랑도.병풍도.장도.초도


감성돔.돌돔.참돔.벵에돔.볼락을 대상으로 출항합니다

초도.장도.거문도 30년이상 운전하고 낚시한 선장이

직접 가이드 합니다.

***생활낚시 출항합니다~~^^


선단 : 10월~6월- 부쉬리 방어 지깅,파핑,참돔타이라바,먼바다갑오징어

4월~8월- 쏨벵이.붉바리.한치

7월~12월- 문어.갑오징어.쭈꾸미

​8월~12월- 칼치. 텐빈

*** 루어 , 애기, 봉돌, 기타채비 준비되어 있습니다. ^---^



↓↓밴드주소↓↓


갯바위낚시

https://band.us/@siljeonfishing


생활낚시

https://band.us/@sgbp

홈페이지 방문 --> Click!!



오늘 바람과 파도가 다소 강했지만
안전하고 즐겁게 낚시하고
철수하였습니다.

찾아주신 조사님 수고하셨습니다
F2605824ED.jpgF2605825FZ.jpgF2605823Y0.jpgF2605831PJ.jpgF26058275G.jpgF2605828XV.jpgF2605837AI.jpgF2605838TG.jpgF26058297U.jpgF2605836GW.jpgF2605834VM.jpgF2605830HI.jpgF2605820LE.jpgF2605832ZH.jpgF2605826IK.jpgF2605822JE.jpgF2605833DG.jpgF260582124.jpgF26058194K.jpgF2605818UP.jpgF2605835IY.jpg

기상만 허락하면 감성돔 참돔 벵에돔 돌돔에 추적은 계속됩니다

20220613.192855.067.M0002763ZO_600.jpg

**포인트 선정에 신중을 기하여 즐거운하루가 될수있도록최선을 다하겠습니다**

조금 여유있게 도착하셔서 따뜻한 커피한잔과 조황 정보와 낚시 이야기를 함께

나누면 더욱 좋겠죠~~*^^*

********* 미리 예약 해주시면 감사하겠습니다***********
**미끼류 (크릴 파우더 압맥 청갯지렁이 성게등등~~) 종류별로 준비되어 있습니다

**돌돔미끼는 (보라성게.말똥성게.전복.참갯지렁이,게고동) 꼭 예약부탁드립니다!!!

매장 주소(네비게이션): 고흥군 도양읍 봉암리 2788-1 (녹동 썬비치 호텔옆).
신 주 소 : 고흥군 도양읍 비봉로 189번지


매장영업시간: 365일 ~~ 24시간 영업

휴대전화 : 0 1 0 - 7 1 1 4 - 1 2 5 5


매장전화 : 0 6 1 - 842 - 3657



↓↓밴드주소↓↓

갯바위낚시

https://band.us/@siljeonfishing


생활낚시

https://band.us/@sgbp

배타는곳 : 매장 바로 앞~~^^ 주차하시고 바로 승선 하세요~~~*^^*

주차장 : 엄청 넓구요~~~^^

** 정확한 포인트 설명과 조사님의 입장에서 생각하는 자세로 최선을 다하겠습니다~~*^^**

네비주소 :고흥군 도양읍 봉암리 2788-1 (녹동 썬비치 호텔옆)

예약문의

010-7114-1255

농협

F0061378JT.jpg

녹동갯바위

실전낚시

김지송 선장

F17085582M.jpg
항구명 녹동항
승선인원 22명
출조점명 실전낚시
배 타는 곳출조점 앞 선착장

홈페이지 바로가기 Click

낚시뚜


0 댓글
포토 제목
 
 

인낚 최신글


인낚 최신댓글


온라인 문의 안내


월~금 : 9:00 ~ 18:00
토/일/공휴일 휴무
점심시간 : 12:00 ~ 13:00