- 당일 조황을 올리셔야 합니다. - 지난 조황은 2일이내 미등록 조황만 가능합니다. - 이미 올린 조황을 붙여넣기하여 계속 등재하시면 중복조황에 해당합니다. - 당일 조황을 올리면서 이전 조황을 같이 올리면 중복조황에 해당합니다. - 조황없는 출조정보는 출조정보 게시판을 이용하시길 바랍니다. - 올린 글 삭제하고 다시 올려 상단에 올리려는 방법, 이용규칙 위반입니다. - 제목에 특수문자 사용하시면 안됩니다. (온점, 쉼표, 느낌표, 괄호, 물결만 허용) ☆ 공지사항에 '조황등재시 유의사항' 게시글을 꼭 확인하시고 조황작성 부탁드리며, 가장 기본적인 규칙이 지켜지지 않을 시 예고없이 글 삭제 및 이용정지 될 수 있음을 알려드립니다. |
![]() |
|
![]() |
![]() |
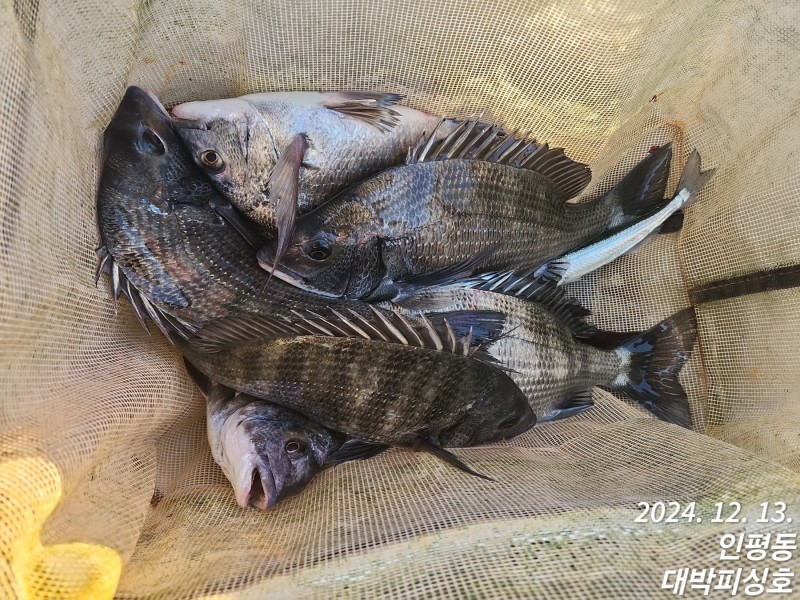
대박호)촉선장 마릿수 감성돔 30여수 팍팍대박피싱호 입니다.
3포인트 빼고 전원손맛
3마리부터~7마리까지
30여수 잡은듯 합니다
그중에 터지고 48까지 나오네요
일요일은 마감 되었고
토요일 아직 자리있어요
주말 사량도권으로 정상출조 나갑니다
주말 예약받습니다
다시금 살아나는 물때 마릿수
덩치급 잡으러 갑니다
촉선장 믿고 오십시요
계속해서 두미도권으로 정상출조합니다
주말은 미리미리 예약 해주십시요~
010 9301 7498
#1인 야영은 안전의 이유로 받지않습니다#
*양해바랍니다*
~밑밥은 준비해오십시요~
(내만권3만원)
(두미도6만원)
|
|
|
|























