- 당일 조황을 올리셔야 합니다. - 지난 조황은 2일이내 미등록 조황만 가능합니다. - 이미 올린 조황을 붙여넣기하여 계속 등재하시면 중복조황에 해당합니다. - 당일 조황을 올리면서 이전 조황을 같이 올리면 중복조황에 해당합니다. - 조황없는 출조정보는 출조정보 게시판을 이용하시길 바랍니다. - 올린 글 삭제하고 다시 올려 상단에 올리려는 방법, 이용규칙 위반입니다. - 제목에 특수문자 사용하시면 안됩니다. (온점, 쉼표, 느낌표, 괄호, 물결만 허용) ☆ 공지사항에 '조황등재시 유의사항' 게시글을 꼭 확인하시고 조황작성 부탁드리며, 가장 기본적인 규칙이 지켜지지 않을 시 예고없이 글 삭제 및 이용정지 될 수 있음을 알려드립니다. |
![]() |
|
![]() |
![]() |
영도낚시슈퍼 ,대박호, 진진호 입니다. 연락처 : 010 - 4558 - 3220
무료 주차 가능 : 생도 태종대 갯바위 가시는 분들은 영도낚시로 문의 바랍니다.
###공지올립니다###
2024년12월5일 부터시간 변경 안내입니다
생도출조시간 오전5시첫배~이후로 7시3명이상~9시 3명이상 11시~3명이상 출조합니다 생도 철수시간 11시 오후2시 마지막철수는 오후4시전원철수합니다
다음공지때까지 생도 오전 오후 없고종일가능합니다
갯바위 안내입니다 줄조 오전5시~7시~9시~11시 철수시간 11시 ~2시~4시마감합니다
생도는 토요일~일요일
공휴일은 종전대로
오전 3시~11시 철수
11시~오후 5시 철수 합니다.
양지 해주시기 바랍니다. 감사합니다.
영도낚시
#####태종대 갯바위 꿀자리 예약받습니다####
물개~이층바위~꿀1~4~초소 및 까지 2사람 이상 예약 받습니다 전화주세요.
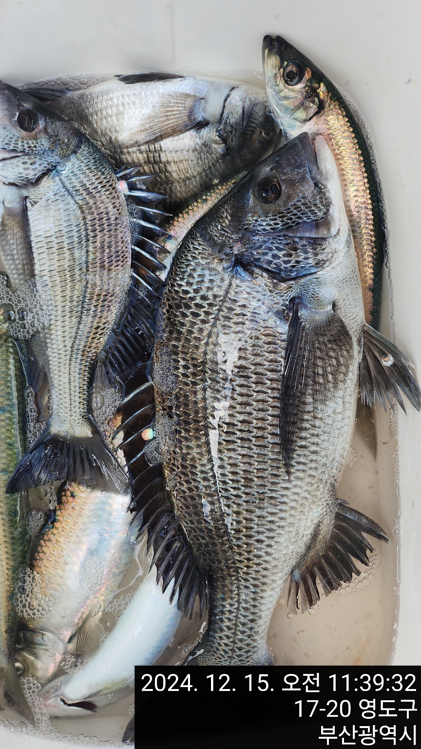
☆12월 15일☆
12월 15일 생도,태종대 갯바위 낚시 조황입니다
오늘 인원 8명 사진 찍은 사람 2명입니다.
오늘 물때는 7물 날씨는 바람이 많이 불었습니다.
☆ 감성돔
☆ 기타잡어
초보자분들도 환영합니다 손맛보러 오세요~
좌대 오전 5:00 ~ 오후 04:00시
조도방파제 오전 06:00 ~ 오후 04:30분
☆☆☆☆☆☆요금표☆☆☆☆☆☆
생도 및 야간 30,000원
갯바위 25,000원
좌대 25,000원
조도방파제 20,000원
영도낚시슈퍼로 많은 문의 바랍니다.
낚시대없이 몸만오셔도 됩니다. 준비 다해드릴께요
---성인용과 아동용 대여용 낚시대 준비해뒀습니다.
선상낚시는 조금때만 합니다. 미리 예약을 해야하고요
좌대, 갯바위와 방파제로 놀러많이 오세요
영도 낚시에서 마끼와 미끼준비하시고요
좌대이용시 신분증을꼭지참해야합니다. 부탁합니다.
출조배는 4명탈수있는 배부터 9명탈수있는 배까지
10대정도 준비되어 있습니다.
통배대절은 30만원부터 50만원까지 입니다.
한사람당 요금은 7만원입니다.
장소는 생도 부근으로 나갑니다
저희 영도낚시를 이용해주시는 분들이 점점 늘고있는데요
글보시고 궁금한점이 있으시면 전화주세요
항상 친절하게 상담해 드리겠습니다.
낚싯대 빌려드리구요 미끼도 모두 준비되어있습니다.
그냥 오셔도 문제없게끔 해드리겠습니다~
낚시 준비하는데 많은 도움 드리겠습니다.
언제나 낚시하러 오시는 조사님들께 감사드리고
오시는 모든분들께 최선을 다하는 영도낚시가 되겠습니다.
** 좌대와 선상 이용시 주민등록증이나 기타 신분증을 꼭 지참해주셔야 합니다. **
<좌대 이용과 철수시간>
이용시간 : 출발은 일출후 ~ pm 16:00분까지 입니다.
( 한분만 오셔도 좌대에 모셔다 드립니다.)
철수시간 : 오후 12시 1시30분 3시 마지막 4시까지 입니다.
( 마지막 철수 외엔 전화주시면 모시러 갑니다.)
믿고 찾아만 주신다면 최선을 다하여 안전하고 친절하게
즐낚하실수 있도록 모시겠습니다
|
|
|
|







