- 당일 조황을 올리셔야 합니다. - 지난 조황은 2일이내 미등록 조황만 가능합니다. - 이미 올린 조황을 붙여넣기하여 계속 등재하시면 중복조황에 해당합니다. - 당일 조황을 올리면서 이전 조황을 같이 올리면 중복조황에 해당합니다. - 조황없는 출조정보는 출조정보 게시판을 이용하시길 바랍니다. - 올린 글 삭제하고 다시 올려 상단에 올리려는 방법, 이용규칙 위반입니다. - 제목에 특수문자 사용하시면 안됩니다. (온점, 쉼표, 느낌표, 괄호, 물결만 허용) ☆ 공지사항에 '조황등재시 유의사항' 게시글을 꼭 확인하시고 조황작성 부탁드리며, 가장 기본적인 규칙이 지켜지지 않을 시 예고없이 글 삭제 및 이용정지 될 수 있음을 알려드립니다. |
![]() |
|
![]() |
![]() |
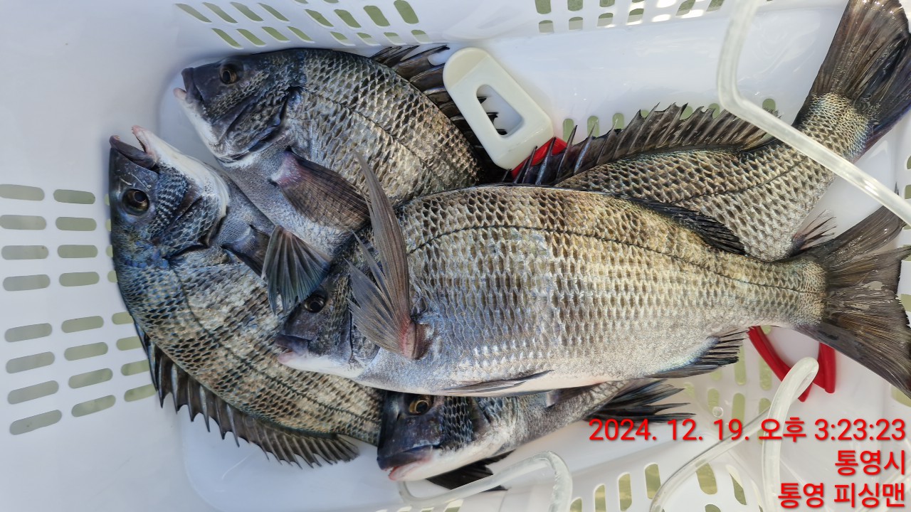
반갑습니다
통영 피싱맨 호 입니다
계속 되는 터트림 1년중 힘을 가장 많이 써는 시기 월동 을 하기 위해 체구를 키워 엄청나게 힘을 써네요
감당불가 인 녀석 들 입니다
목요일 철수 조황 입니다
중치급 감성돔 몃마리 나오고 터지고 빠지고 잡은 놈들 입니다
참돔 마니 나오네요
두분 이서 잡은 참돔 대충100 여수 입니다
낚시 인생 이렇게 많이 잡아보긴 첨 이라 네요~
팔 엘보 오실듯~
내일 도 욕지권 으로 출항 해보입시다
탱크 잡어러 가보입시다
20일 금요일 04:00 출항
15:00 철수
21일 토요일 기상악화 휴무
22일 일요일 03:00 출항
14:00 철수 2항차 내만 종일 06:00 출항
17:30 철수
23일 월요일 04:00 출항
15:00 철수
24일 화요일 04:00 출항
15:00 철수
기상에 따라 출항 철수 시간은 변동 될수
있습니다
4인 이상 매일 출항 하겠습니다
노대도 거칠리 연화도 초도
좌사리도 욕지본섬 조황 좋은곳 으로 찿아 다녀보겠습니다
감성돔 앝잡아 보시면 큰코 다칩니다
힘 이 장사 입니다
바닥에 배깔고 있음 떠지를 않는다고 합니다
낚시대 1.5호대급
목줄 3호 스타트 권합니다
탱크잡어러 가보입시다
이섬 저섬 고기 나올만한 포인트 로 돌아 다녀 보겠습니다
주중 기상 이변 없어면 매일 출항 합니다
잡어 많습니다
대체 미끼 필수 옥수수. 경단. 게.
준비해오세요
(게 미끼 사무실 앞 날물에 오시면 잡아
가실수 있습니다 10분 만 투자
하시면 됩니다)
낚시 가실 때 따뜻한 외투 챙기셔야 겠습니다
[밴드 초대]
피싱맨
https://band.us/n/a8a8Ac47JeGcC
|
|
|
|















