- 당일 조황을 올리셔야 합니다. - 지난 조황은 2일이내 미등록 조황만 가능합니다. - 이미 올린 조황을 붙여넣기하여 계속 등재하시면 중복조황에 해당합니다. - 당일 조황을 올리면서 이전 조황을 같이 올리면 중복조황에 해당합니다. - 조황없는 출조정보는 출조정보 게시판을 이용하시길 바랍니다. - 올린 글 삭제하고 다시 올려 상단에 올리려는 방법, 이용규칙 위반입니다. - 제목에 특수문자 사용하시면 안됩니다. (온점, 쉼표, 느낌표, 괄호, 물결만 허용) ☆ 공지사항에 '조황등재시 유의사항' 게시글을 꼭 확인하시고 조황작성 부탁드리며, 가장 기본적인 규칙이 지켜지지 않을 시 예고없이 글 삭제 및 이용정지 될 수 있음을 알려드립니다. |
![]() |
|
![]() |
![]() |
반갑습니다
통영 피싱맨 호 입니다
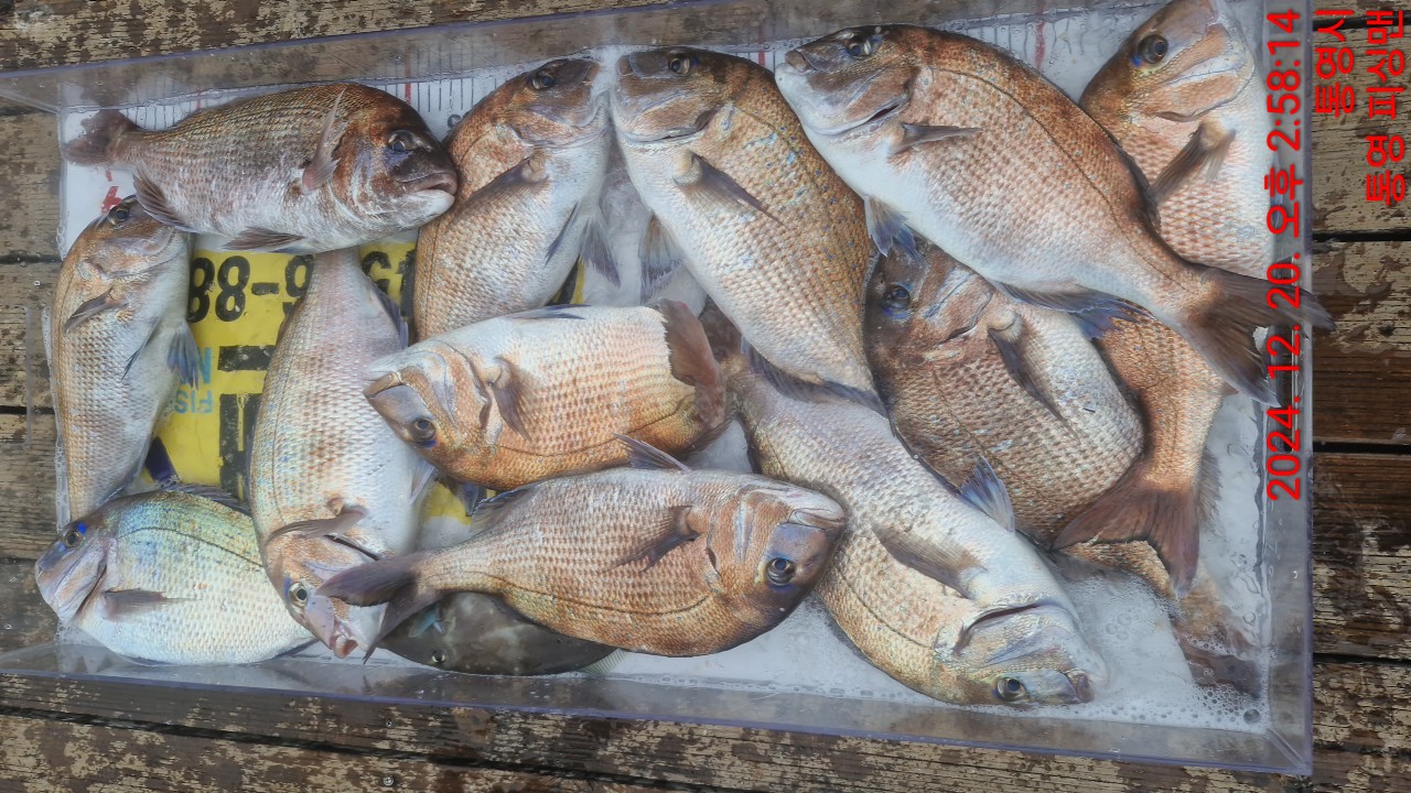
계속 되는 터트림 1년중 힘을 가장 많이 써는 시기 월동 을 하기 위해 체구를 키워 엄청나게 힘을 써네요
감당불가 인 녀석 들 입니다
금요일 철수 조황 입니다
참돔 을 피해 감성돔 포인트 로 하선
하였습니다~
한포인트 낚시대 박살 나고 작은놈 잡아 방생~
한포인 터 에선 45~6 한마리 하시고
입질 받은 놈 제갈길 가드라고 내 고기 안될 놈 입니다~
오늘 바람이 조금 일찍 터져 빠른 철수 하였네요
다녀가신 조우님 분들 수고 많어셨습니다
토요일 기상 악화로 하루 휴무 합니다
욕지권 으로 출항 해보입시다
탱크 잡어러 가보입시다
21일 토요일 기상악화 휴무
22일 일요일 03:00 출항 욕지권 으로
14:00 철수 2항차 내만 종일 06:00 출항
17:30 철수
23일 월요일 04:00 출항
15:00 철수
24일 화요일 04:00 출항
15:00 철수
기상에 따라 출항 철수 시간은 변동 될수
있습니다
4인 이상 매일 출항 하겠습니다
노대도 거칠리 연화도 초도
좌사리도 욕지본섬 조황 좋은곳 으로 찿아 다녀보겠습니다
감성돔 앝잡아 보시면 큰코 다칩니다
힘 이 장사 입니다
바닥에 배깔고 있음 떠지를 않는다고 합니다
낚시대 1.5호대급
목줄 3호 스타트 권합니다
탱크잡어러 가보입시다
이섬 저섬 고기 나올만한 포인트 로 돌아 다녀 보겠습니다
주중 기상 이변 없어면 매일 출항 합니다
잡어 많습니다
대체 미끼 필수 옥수수. 경단. 게.
준비해오세요
(게 미끼 사무실 앞 날물에 오시면 잡아
가실수 있습니다 10분 만 투자
하시면 됩니다)
낚시 가실 때 따뜻한 외투 챙기셔야 겠습니다
[밴드 초대]
피싱맨
https://band.us/n/a8a8Ac47JeGcC
|
|
|
|












