25일 한바다2호 조황 입니다.

신상품 소개


회원 랭킹


공지사항


NaverBand
점주/선장 > 갯바위 조황

▶ 지켜주세요! ◀
 
 - 당일 조황을 올리셔야 합니다. 
 - 지난 조황은 2일이내 미등록 조황만 가능합니다. 
 - 이미 올린 조황을 붙여넣기하여 계속 등재하시면 중복조황에 해당합니다. 
 - 당일 조황을 올리면서 이전 조황을 같이 올리면 중복조황에 해당합니다.
 - 조황없는 출조정보는 출조정보 게시판을 이용하시길 바랍니다. 
 - 올린 글 삭제하고 다시 올려 상단에 올리려는 방법, 이용규칙 위반입니다. 
 - 제목에 특수문자 사용하시면 안됩니다. (온점, 쉼표, 느낌표, 괄호, 물결만 허용)

 ☆ 공지사항에 '조황등재시 유의사항' 게시글을 꼭 확인하시고 조황작성 부탁드리며, 가장 기본적인 
    규칙이 지켜지지 않을 시 예고없이 글 삭제 및 이용정지 될 수 있음을 알려드립니다. 
 
b_hot_innakmall_200x80_240307.jpg b_hot_innakmall_200x80_220704.jpg b_hot_ggsusan_hongeu_200x80.gif b_hot_innakmall_200x80_211203.gif

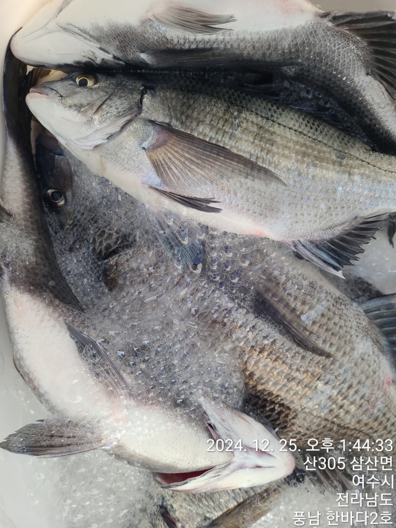
25일 한바다2호 조황 입니다.

고흥한바다2호 0 232
● 출항지 : 고흥,녹동

쌀쌀한 날씨에 고생들 많으셨습니다.


일요일 초도권 출조.

월요일 새벽 초도.거문도 출조 합니다.


고흥 한바다2호: 010 -4612 -7015

배타는 곳: 전남 고흥군 풍양면 풍남항 


고흥 한바다2호 밴드 

https://band.us/band/58289816e875f8ad7ca6e17b0562798a36693ec5_1735115018_5583.jpg



e875f8ad7ca6e17b0562798a36693ec5_1735115024_9524.jpg



e875f8ad7ca6e17b0562798a36693ec5_1735115032_4774.jpg



e875f8ad7ca6e17b0562798a36693ec5_1735115043_8288.jpg



e875f8ad7ca6e17b0562798a36693ec5_1735115057_2168.jpg



e875f8ad7ca6e17b0562798a36693ec5_1735115068_6012.jpg



e875f8ad7ca6e17b0562798a36693ec5_1735115076_5721.jpg



e875f8ad7ca6e17b0562798a36693ec5_1735115085_0394.jpg



e875f8ad7ca6e17b0562798a36693ec5_1735115093_1281.jpg



e875f8ad7ca6e17b0562798a36693ec5_1735115103_4438.jpg



e875f8ad7ca6e17b0562798a36693ec5_1735115150_8668.jpg



e875f8ad7ca6e17b0562798a36693ec5_1735115155_8275.jpg



e875f8ad7ca6e17b0562798a36693ec5_1735115162_6798.jpg



e875f8ad7ca6e17b0562798a36693ec5_1735115178_0812.jpg



e875f8ad7ca6e17b0562798a36693ec5_1735115189_382.jpg



e875f8ad7ca6e17b0562798a36693ec5_1735115198_1902.jpg



e875f8ad7ca6e17b0562798a36693ec5_1735115209_2528.jpg



e875f8ad7ca6e17b0562798a36693ec5_1735115230_3118.jpg



 

0 댓글
포토 제목
 
 

인낚 최신글


인낚 최신댓글


온라인 문의 안내


월~금 : 9:00 ~ 18:00
토/일/공휴일 휴무
점심시간 : 12:00 ~ 13:00