![]() |
|
![]() |
![]() |



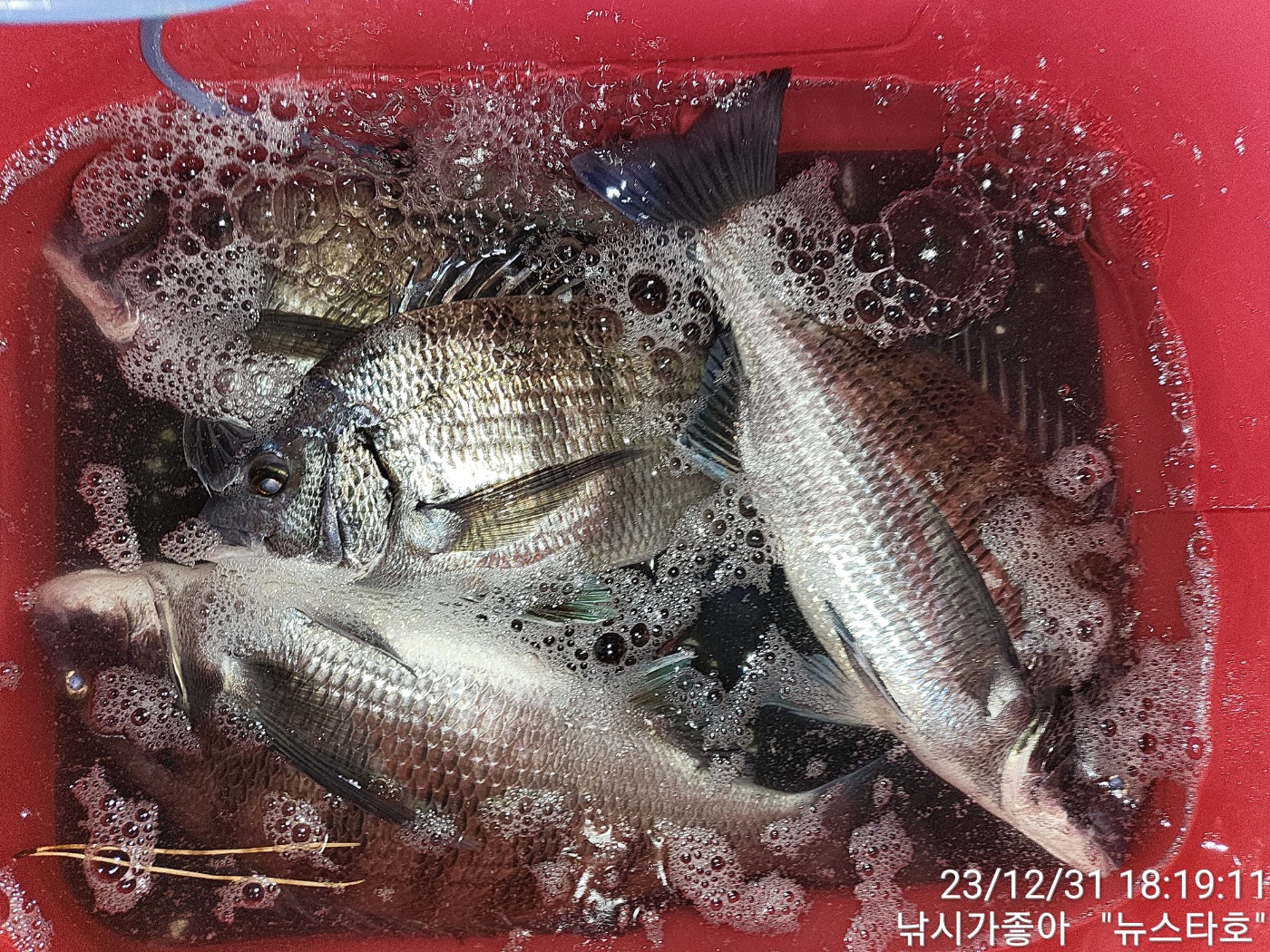
안녕 하십니까! 남해 미조에 낚시가좋아(뉴스타호)인사 드립니다 금일 조황 올려 드립니다 금일은 바람이 많이 예보되어 있는 날이었습니다 연휴지만 날씨로 인하여 한산하게 출조길에 올랐습니다 예보대로 바람이 바람이 장난이 아니었네요 하루종일 강풍으로 인하여 힘든 하루였네요 그래도 감성돔 몇수 구경은 할수가 있었습니다 오늘 하루도 추운 날씨속에 고생들 많으셨습니다 올한해 마무리들 잘하시고 새해를 맞이하시길 바랍니다 새해에는 모든일이 술술 풀렸으면 좋겠습니다 고생들 많으셨습니다 감사합니다
*출조시 밑밥및 소품은 준비하여 오셔도 무방하오며 혹여나 준비하시질 못하신 분들을 위하여 최상급 크릴을 준비해 놓도록 하겠습니다 감사합니다*
*출조및 문의사항*
상호:낚시가좋아(뉴스타호)
주소:경남 남해군 미조면 동부대로9
선장님:010-6434-0015
|
|
|
|





