금,토/감성돔 조황!

신상품 소개


회원 랭킹


공지사항


NaverBand
점주/선장 > 갯바위 조황
b_hot_activegloat_200x80.gif b_hot_innakmall_200x80_220704.jpg b_hot_ggsusan_hongeu_200x80.gif b_hot_innakmall_200x80_211203.gif

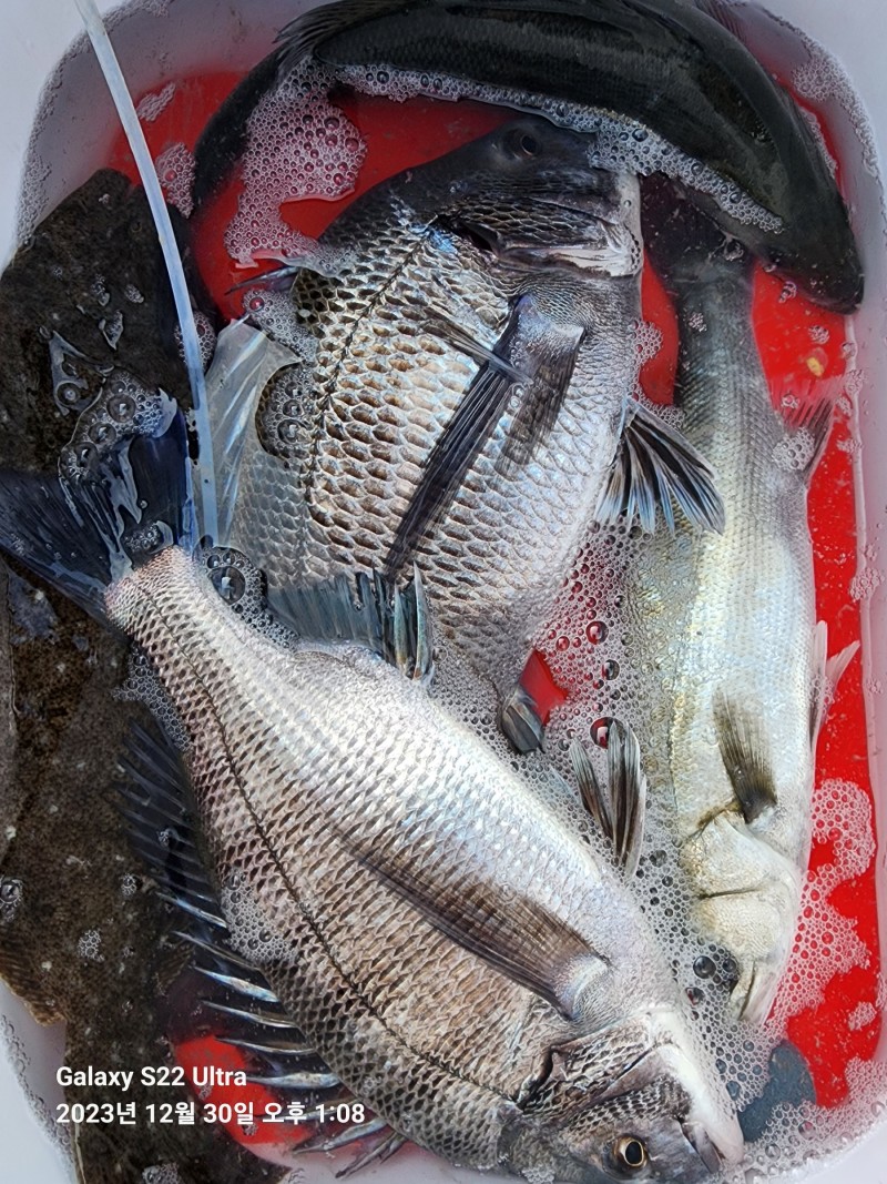
금,토/감성돔 조황!

고흥명성피싱호 0 311
● 출항지 : 고흥,녹동

고흥풍남항!꽃담바다 명성피싱호와 함께 하세요! 


☆금,토/초도,장도,황제도 새벽출조 조황입니다!


지역별로 포인트 편차가 많았네요!

23년/한해동안 꽃담바다 명성피싱호와 함께 하여주신 조사님께 진심으로 감사드립니다!


☆24년/월,화~/초도,장도,황제도 새벽출조 합니다!


출조관련하여 연락주시면 친절히 안내해 드리겠습니다!

99ba6e5bd9180e10c640cb25d236e3f9_1703963283_0609.jpg

법인(유)꽃담바다 명성피싱호 
♡꽃담바다 명성피싱호 밴드에서 많은 소식을 보실 수 있습니다!
99ba6e5bd9180e10c640cb25d236e3f9_1703963391_1408.jpg

99ba6e5bd9180e10c640cb25d236e3f9_1703963517_6476.jpg

99ba6e5bd9180e10c640cb25d236e3f9_1703963533_806.jpg

99ba6e5bd9180e10c640cb25d236e3f9_1703963551_2379.jpg

99ba6e5bd9180e10c640cb25d236e3f9_1703963562_8562.jpg

99ba6e5bd9180e10c640cb25d236e3f9_1703963575_4145.jpg

99ba6e5bd9180e10c640cb25d236e3f9_1703963594_9153.jpg

99ba6e5bd9180e10c640cb25d236e3f9_1703963609_3049.jpg



















 


 

0 댓글
포토 제목
 
 

인낚 최신글


인낚 최신댓글


온라인 문의 안내


월~금 : 9:00 ~ 18:00
토/일/공휴일 휴무
점심시간 : 12:00 ~ 13:00