회원가입 ▶ 점주선장 승급신청 ▶ 승급완료 ▶ 조황글 작성 |


















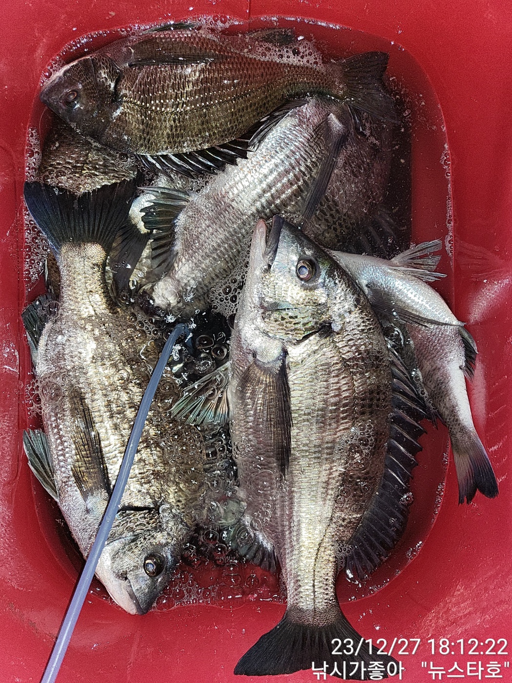
안녕 하십니까! 남해 미조에 낚시가좋아(뉴스타호)인사 드립니다 금일 조황 올려 드립니다 모처럼 화창한 봄날씨처럼 아주 좋은 날씨였습니다 물색도 좋고 분위기도 좋은 하루였네요 조과또한 5짜 두수를 포함 많은 마리수까지 나와 주었네요 올해는 감성돔 조황이 유독 좋은 해인것 같습니다 오늘 하루도 고생들 많으셨습니다 즐거운 저녁시간들 되시고 오늘 하루도 마무리 잘하시길 바랍니다 감사합니다
*출조시 밑밥및 소품은 준비하여 오셔도 무방하오며 혹여나 준비하시질 못하신 분들을 위하여 최상급 크릴을 준비해 놓도록 하겠습니다 감사합니다*
*출조및 문의사항*
상호:낚시가좋아(뉴스타호)
주소:경남 남해군 미조면 동부대로9
선장님:010-6434-0015