![]() |
|
![]() |
![]() |
1년연중 기상만 허락하면 매일 좌사리 출항을 하는통영탑피싱입니다.
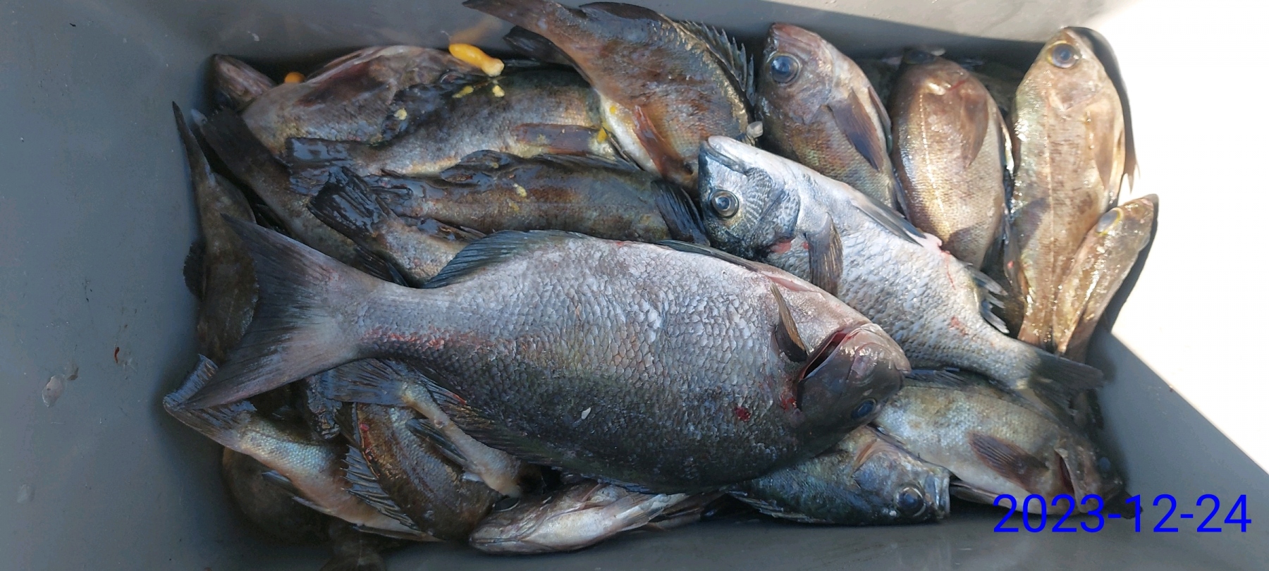
동절기 대상어종: 대물참돔,감성돔,뽈락
하절기 대상어종: 돌돔,참돔,벵에돔,농어,부시리
탑은 좌사리를 기점으로 하여 여름좌사리,겨울내만부터~욕지권전역
★꼭 숙지하시길 바랍니다.★
1.신분증 필히 챙기세요. 미소지시 승선불가
2.구명복 필히 착용하세요. 미착용시 과태료 100만원
3.선내음주금지 적발시 벌금 100만원
**출조시간안내**
☞12월27일(수)새벽5시
☞12월28일(목)새벽5시
(출항시간은 변동될수 있습니다.문의는 ☎)
반갑습니다. 살빠질 예정인 백곰 박철민입니다.
그나마 추위가 좀 누그러졌습니다.
어찌나 춥던지 ㅠ
낼 새벽 욕지권거쳐 좌사리까지
대물참돔,감성돔 잡으러 춣항합니다.
항시 채비는 튼튼하게 준비하셔서 출조길에 오르시길~
방한 대비 철저히 하시고
예약은 미리미리 부탁드리며
많은 조사님들의 문의 전화 바랍니다.
항상 최선을 다하는 탑이 되겠습니다.
♥철수후에 따뜻한 어묵탕 준비되어 있으니
가게에 오셔셔 드시고 가십시요.♥
▶새벽과 낮의 기온차가 많이 납니다.
출조시 따뜻한 겉옷과 먹거리 준비하셔서
즐거운 낚시 하시길 바랍니다.◀
☞선비안내☜
▶욕지권:6만원
▶좌사리권:6만5천원
(야영비는 없습니다.)
★큰놈들이 움직이기 시작하는지 터지신 분들이 늘어납니다.!!
채비와 목줄관리 잘 하셔야겠습니다.!!★
★잡어가 많으니 대체 미끼 다양하게 준비하시길~★
★조황이 안올라가더라도 주의보 아닌 이상 매일 출항합니다.★
★위 출항시간 외에도 출조인원이 6명 이상일때는 원하는 시간에 출조.철수가 가능합니다.★
**출조문의**
010-4544-1141(선장) 010-9311-5220(사모)
**통영탑피싱 위치 안내**
통영시 산양읍 연명길 36번지
반갑습니다.욕지권,안장덕,좌사리 출조전문점 통영탑피싱입니다. 갯바위 낚시배를 시작한지 벌써 20년이 다 되었네요. 처음 시작한 마음처럼 언제나 조사님들의 목소리 귀담아 들으면서 열심히 하겠습니다.
|
|
|
|














