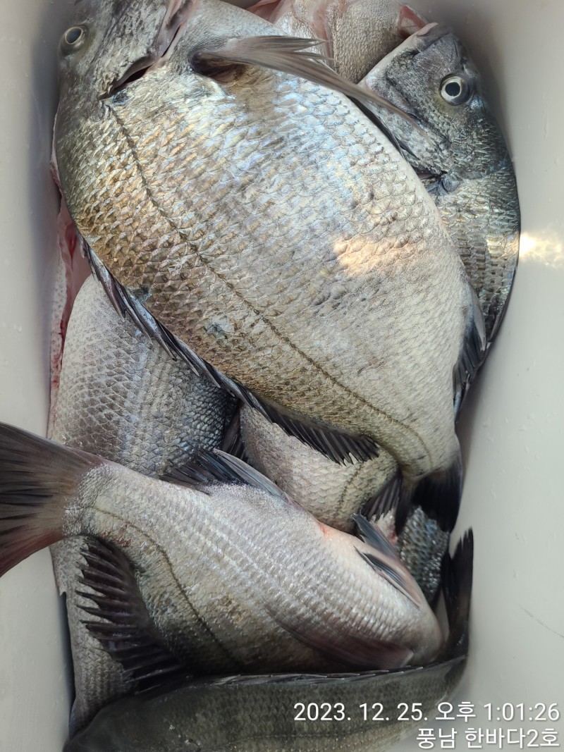
25일 거문도 찌낚시에 돌돔 5짜

신상품 소개


회원 랭킹


공지사항


NaverBand
점주/선장 > 갯바위 조황
b_hot_activegloat_200x80.gif b_hot_innakmall_200x80_220704.jpg b_hot_ggsusan_hongeu_200x80.gif b_hot_innakmall_200x80_211203.gif

25일 거문도 찌낚시에 돌돔 5짜

고흥한바다2호 0 461
● 출항지 : 고흥,녹동

너울성 파도에 고생들 하셨습니다.


수요일 초도.역만도.거문도 출조.


목요일 초도.역만도.거문도 출조 합니다.


고흥 한바다2호: 010 -4612 -7015


배타는 곳: 전남 고흥군 풍양면 풍남항 


고흥 한바다2호 밴드 


https://band.us/band/582898167896f92f88d72647e847aef60a7d4460_1703489250_6554.jpg



7896f92f88d72647e847aef60a7d4460_1703489252_5255.jpg



7896f92f88d72647e847aef60a7d4460_1703489254_4622.jpg



7896f92f88d72647e847aef60a7d4460_1703489257_0291.jpg



7896f92f88d72647e847aef60a7d4460_1703489259_5329.jpg



7896f92f88d72647e847aef60a7d4460_1703489262_5722.jpg



7896f92f88d72647e847aef60a7d4460_1703489266_0603.jpg



7896f92f88d72647e847aef60a7d4460_1703489268_3619.jpg



7896f92f88d72647e847aef60a7d4460_1703489271_3744.jpg



7896f92f88d72647e847aef60a7d4460_1703489274_3463.jpg



 

0 댓글
포토 제목
 
 

인낚 최신글


인낚 최신댓글


온라인 문의 안내


월~금 : 9:00 ~ 18:00
토/일/공휴일 휴무
점심시간 : 12:00 ~ 13:00