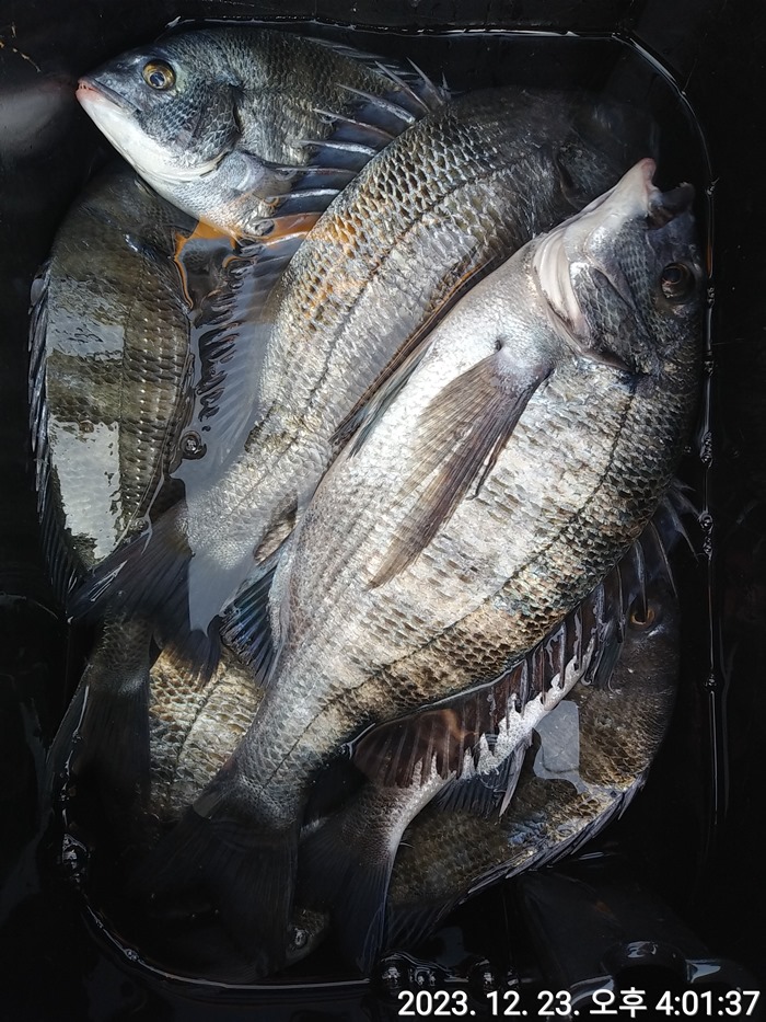
고수낚시 고수호 내만 감성돔 조황입니다

신상품 소개


회원 랭킹


공지사항


NaverBand
점주/선장 > 갯바위 조황
b_hot_activegloat_200x80.gif b_hot_innakmall_200x80_220704.jpg b_hot_ggsusan_hongeu_200x80.gif b_hot_innakmall_200x80_211203.gif

고수낚시 고수호 내만 감성돔 조황입니다

낫개고수낚시 0 302
● 출항지 : 부산
@@@신분증 구명복 꼭 가지고 오세요. 없으면 배 못 탑니다.@@@

~~~선비 20,000 원 입니다 ~~~

~~~ 첫배 05시 입니다~~~

~~~ 철수는 12시 14시 16시 입니다(꼭 30분 전에 전화주세요) ~~~~

~~~ 문의 전화는 저녁 8시 이전에 주세요~~~

~~~해창낚시 : 11:30분, 13:30분, 14:30분 출발, 일몰시간에 철수, 추가선비 5000~~~


   날씨가 많이 춥습니다.

우리조사님들 건강에 유의 하시기 바랍니다.

연 이틀을 쉬다가 주말인 오늘 정상출근 하였습니다.

하지만 새벽에 응급실 갔다오느라 첫배 두분만 출조하였습니다.

주말에 자주 오시는 이 두분의 조사님들은 솜씨가 대단한 분들입니다.

벌써 5~6 차례 연속 재미를 보셨습니다.

축하드립니다..

날씨 춥고 수온은 많이 내러갔지만 어느 구석인가 고기는 있는 것 같습니다.

또 지금부터는 대물 감성돔의 시즌입니다.

새벽 시간이나 물돌이 시간에는 집중하시고 채비점검 잊지마시기 바랍니다.

이상 고수낚시 고수호 흰머리 선장이었습니다.

감사합니다.

대부분의 포인트에서 낚시를 해보고 감성돔을 잡아본 선장은 드뭅니다.

@@@고수낚시는 낫개 입구 삼거리 밑에 있습니다@@@

문의)051-264-8951     010-3862-8951

고수낚시 : 사하구 다송로 8-1 (다대동 85-10번지)


0 댓글
포토 제목
 
 

인낚 최신글


인낚 최신댓글


온라인 문의 안내


월~금 : 9:00 ~ 18:00
토/일/공휴일 휴무
점심시간 : 12:00 ~ 13:00