월요일 황제도권 꾸준한 감성돔 조황 ^^

신상품 소개


회원 랭킹


공지사항


NaverBand
점주/선장 > 갯바위 조황
b_hot_activegloat_200x80.gif b_hot_innakmall_200x80_220704.jpg b_hot_ggsusan_hongeu_200x80.gif b_hot_innakmall_200x80_211203.gif

월요일 황제도권 꾸준한 감성돔 조황 ^^

레져아일랜드 0 273
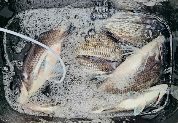
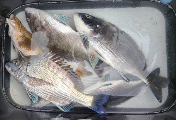
● 출항지 : 완도

0e4b8610ae83293d56adbbac992bd172_1702892321_1866.png



0e4b8610ae83293d56adbbac992bd172_1702892324_0272.png



0e4b8610ae83293d56adbbac992bd172_1702892326_9222.jpg



0e4b8610ae83293d56adbbac992bd172_1702892336_1893.jpg



0e4b8610ae83293d56adbbac992bd172_1702892339_0497.jpg



0e4b8610ae83293d56adbbac992bd172_1702892341_3591.jpg



0e4b8610ae83293d56adbbac992bd172_1702892344_0932.jpg



0e4b8610ae83293d56adbbac992bd172_1702892346_8209.jpg



0e4b8610ae83293d56adbbac992bd172_1702892349_4686.jpg



0e4b8610ae83293d56adbbac992bd172_1702892352_309.jpg



0e4b8610ae83293d56adbbac992bd172_1702892354_8529.jpg



0e4b8610ae83293d56adbbac992bd172_1702892360_0314.png





.포인트 편차 없이 꾸준한 감성돔 조황이 이어지고 있네요


*화요일  덕우도경유 황제도 출조 늦은 출조 합니다.


*바쁜 일정으로 조황 자주 게재 못하더라도 양해 바라며,밴드(레져아일랜드)에 들어 오시면 실시간 조황 확인 하실수 있습니다.

 

0 댓글
포토 제목
 
 

인낚 최신글


인낚 최신댓글


온라인 문의 안내


월~금 : 9:00 ~ 18:00
토/일/공휴일 휴무
점심시간 : 12:00 ~ 13:00