![]() |
|
![]() |
![]() |
1년연중 기상만 허락하면 매일 좌사리 출항을 하는통영탑피싱입니다.
동절기 대상어종: 대물참돔,감성돔,뽈락
하절기 대상어종: 돌돔,참돔,벵에돔,농어,부시리
탑은 좌사리를 기점으로 하여 여름좌사리,겨울내만부터~욕지권전역
★꼭 숙지하시길 바랍니다.★
1.신분증 필히 챙기세요. 미소지시 승선불가
2.구명복 필히 착용하세요. 미착용시 과태료 100만원
3.선내음주금지 적발시 벌금 100만원
**출조시간안내**
☞24년1월1일(월)새벽5시(해돋이)
(출항시간은 변동될수 있습니다.문의는 ☎)


반갑습니다. 살빠질 예정인 백곰 박철민입니다.
어제 조촐하게 몇분 모시고 연화도,좌사리 다녀왔습니다.
참돔은 입질은 받았지만, 씨알이 잘아서 모두 방생하셨고
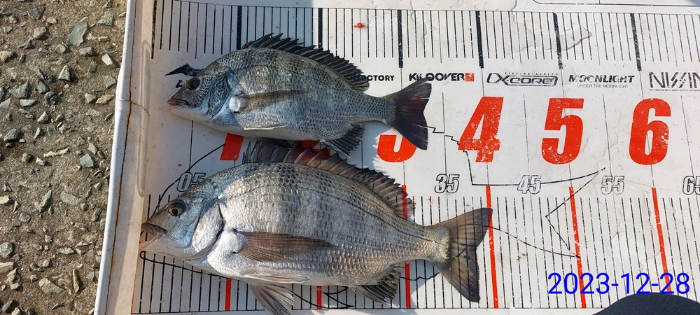
감성돔 2포인터에서는 45,44로 손맛보고 오셨네요.
2023년도 이제 얼마남지 않은 시점, 아쉬움과
다가오는 2024년에 대한 새로운 기대감으로 만감이 교차합니다.!
아쉬움이 있었다면 훌훌 털어 내시고
다가올 새해에는 행복한 일들만 가득하시길 바랍니다.
탑은 내일 새벽5시 해돋이겸 대물 잡으러
정상 출항합니다.
항시 채비는 튼튼하게 준비하셔서 출조길에 오르시길~
방한 대비 철저히 하시고
예약은 미리미리 부탁드리며
많은 조사님들의 문의 전화 바랍니다.
항상 최선을 다하는 탑이 되겠습니다.
♥철수후에 따뜻한 어묵탕 준비되어 있으니
가게에 오셔셔 드시고 가십시요.♥
▶새벽과 낮의 기온차가 많이 납니다.
출조시 따뜻한 겉옷과 먹거리 준비하셔서
즐거운 낚시 하시길 바랍니다.◀
☞선비안내☜
▶욕지권:6만원
▶좌사리권:6만5천원
(야영비는 없습니다.)
★큰놈들이 움직이기 시작하는지 터지신 분들이 늘어납니다.!!
채비와 목줄관리 잘 하셔야겠습니다.!!★
★잡어가 많으니 대체 미끼 다양하게 준비하시길~★
★조황이 안올라가더라도 주의보 아닌 이상 매일 출항합니다.★
★위 출항시간 외에도 출조인원이 6명 이상일때는 원하는 시간에 출조.철수가 가능합니다.★
**출조문의**
010-4544-1141(선장) 010-9311-5220(사모)
**통영탑피싱 위치 안내**
통영시 산양읍 연명길 36번지
반갑습니다.욕지권,안장덕,좌사리 출조전문점 통영탑피싱입니다. 갯바위 낚시배를 시작한지 벌써 20년이 다 되었네요. 처음 시작한 마음처럼 언제나 조사님들의 목소리 귀담아 들으면서 열심히 하겠습니다.
|
|
|
|














