볼락만쿨 굿 조황

신상품 소개


회원 랭킹


공지사항


NaverBand
점주/선장 > 갯바위 조황
b_hot_activegloat_200x80.gif b_hot_innakmall_200x80_220704.jpg b_hot_ggsusan_hongeu_200x80.gif b_hot_innakmall_200x80_211203.gif

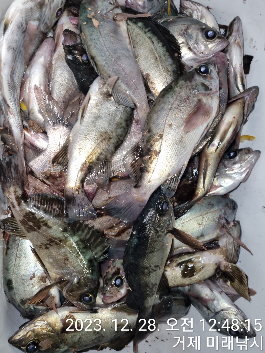
볼락만쿨 굿 조황

거제미래낚시 0 638
● 출항지 : 거제

안녕하세요. 거제미래낚시입니다.


 


미래낚시밴드에 오시면 실시간으로 조황을 확인하실 수 있습니다.
 
아침 저녁으로 기온이 많이 내려가니 야영조사님은 참고하시길 바랍니다

        출항장소 : 내만,준내만(수시출항) 매물도,구을비도권으로 고~고~씽
           

 
        **대물잡으셔서 무료승선권 많이많이 받아가셨으면 합니다.**

            @@ 벵에돔 40 이상 1장 50 이2장 @@
            @@ 벵에돔 30 이상 10수이상 1장 @@
            @@ 참돔 70 이상 1장 80 이상 2장 @@
            @@ 감성돔 50 이상 1장  55 이상 2장 @@
            @@ 볼락 30 이상 1장 @@


### ###     볼락출조가 시작되었습니다(출조시간,철수시간 전화문의필수)    ### ###


새벽, 오전, 오후, 저녁 (24시간)까지 내만, 준내만, 매물도로 달립니다(예약하신분에 한하여)


### 매일 매일 "매물도", “내만, 준 내만”으로 열심히 달려보겠습니다. ###


### 주 출조지는 구을비도/매물도/죽도/용초도/대덕도/가왕도/추봉도/대포/홍포 등입니다. ###

미래낚시는 매물도로 진입하는 최단거리 최단시간의 출항지 이며 낚시용품, 미끼일체(혼무시문의)

편의점(도시락은 없음)



●●   밑밥 패키지 출조  안내   ●●



   크 릴 : 4개   집어제 : 2개  보 리 : 5개 옥수수캔 : 1개

                                         금 액 : 삼만원

   미끼 (백크릴, 경단,청개비  중  선택)

   사전예약 입니다



예약제로 운영하오니 필히 예약확인을 요하며 예약하신조사님이 30분전에 전부 도착을 하면 바로출발예정입니다.

참고로 출발 5분전에 도착하시면 떠나고 없습니다.


      ^^ 30분전(필수)에 도착을 바랍니다. ^^

네비주소 : 경남 거제시 남부면 저구리 641-4 대포마을 도로명 (대포길 72 )

출조문의 : 010 - 3583 -5544 ,010 - 4541- 6689

준비물 : 신분증, 구명조끼(300만원) 야영시에는 텐트.취사도구는 단속대상입니다.(참고하세요)

언제나 저희 거제미래낚시를 찾아주신 조사님들께 감사드립니다.(__) 꾸벅

0 댓글
포토 제목
 
 

인낚 최신글


인낚 최신댓글


온라인 문의 안내


월~금 : 9:00 ~ 18:00
토/일/공휴일 휴무
점심시간 : 12:00 ~ 13:00