![]() |
|
![]() |
![]() |
■주중 출항 계획■
안녕하세요?
통영 흑룡피싱 박선장입니다.
소지도 경유하여 국도까지..
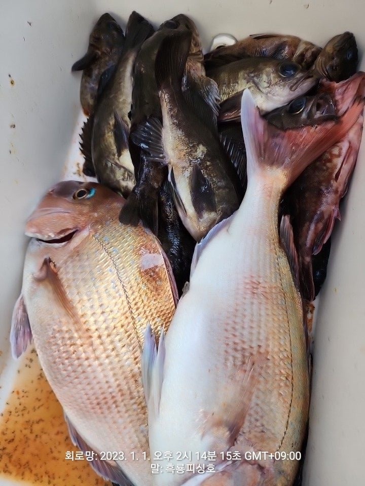
오늘 중치급(참돔)
잡고 왔습니다
뽈락도 보이고
(감성돔)도..
벵순이도..
출조는 계속합니다
참돔(대물)이 움직입니다
겨울(국도) 대물
한번 도전해보심이..^^
~~위 시간으로~~
앞으로 운행합니다
조사님 한분 한분
성의껏 모시겠습니다
소지도/국도로 출조합니다.
※ 국도 선비는 7만원입니다.
(야영비는 없습니다.)
※ 흑룡 피싱은 대상 어종을
잡을때 까지 최선을 다하겠습니다.
■출조지■
국도 / 소지도/연화도
(기상 여부에 따라 연화도
출조도 합니다.)
참고 하시기 바랍니다.
자세한 사항은
전화 문의주세요~^^
■밤뽈■
밤뽈 출조합니다
(연화도)(국도)부터.
밤뽈(루어)
털털이 가능
오후4시 출항
밤12시 철수
(이동은 밤9시)
- 선상 출조지 -
구을비도/간여/좌사리도
-대상 어종-
돌돔. 참돔. 벵에돔. 부시리
동참 하실분 전화 주세요~
※ 궁금하신 점이나 출조 관련
문의는 선장에게 직접
전화 주시면
감사하겠습니다.
꾸벅
매일 출조 하오니
부담 갖지 마시고 전화 주십시요~
|
|
|
|














