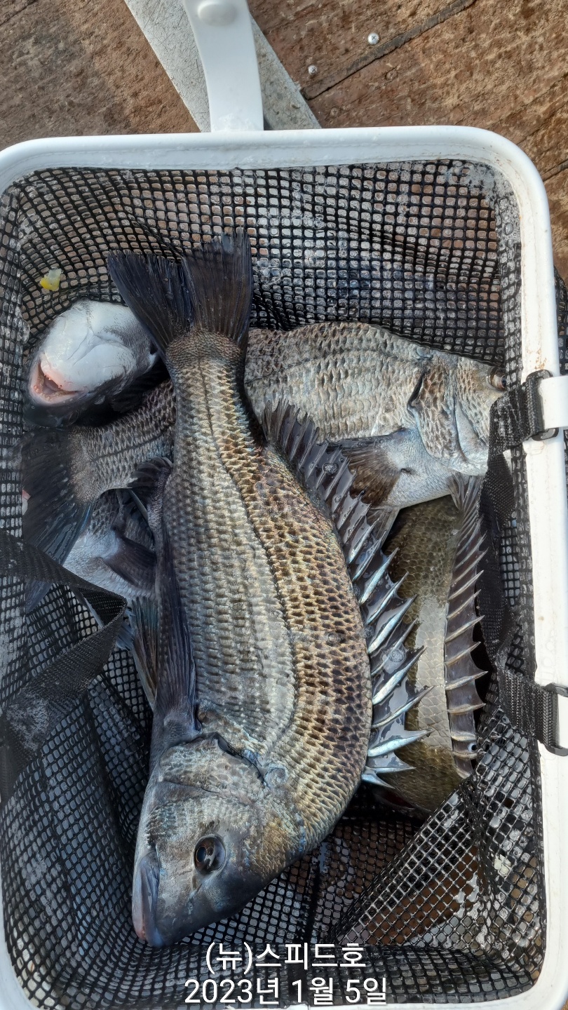
금오열도 5짜와 마릿수 감성돔조황

신상품 소개


회원 랭킹


공지사항


NaverBand
점주/선장 > 갯바위 조황
b_hot_activegloat_200x80.gif b_hot_innakmall_200x80_220704.jpg b_hot_ggsusan_hongeu_200x80.gif b_hot_innakmall_200x80_211203.gif

금오열도 5짜와 마릿수 감성돔조황

여수해변낚시 0 527
● 출항지 : 여수,광양

5일(목요일) 

금오열도 5짜와 마릿수 감성돔조황 

오늘도 금오열도권은 씨알좋은 감성돔으로 손맛을 볼수가 있었습니다 

여전히 구간의 편차가 있었지만 여러 포인트에서 씨알좋은 감성돔을 만날 수 있었습니다 

금요일 내일도 기상이 괜찮아 좋은 조황을 기대해봅니다 

함께 하실 조사님들은 연락주십시요 

오늘도 수고하셨습니다 

금오열도 패키지 65,000원(선비,밑밥 미끼일체)

출조예약 010 7587 1172

0 댓글
포토 제목
게시물이 없습니다.
 
 

인낚 최신글


인낚 최신댓글


온라인 문의 안내


월~금 : 9:00 ~ 18:00
토/일/공휴일 휴무
점심시간 : 12:00 ~ 13:00