회원가입 ▶ 점주선장 승급신청 ▶ 승급완료 ▶ 조황글 작성 |
오늘 일이 있어 조황올려주는 업체가 6시까지라 늦어 밴드와
카페만 업로드해놓았습니다.
클릭해주세요
네이버 카페- http://cafe.naver.com/grandmax3
다음카페 - http://cafe.daum.net/grandmax
그랜드맥스호입니다.
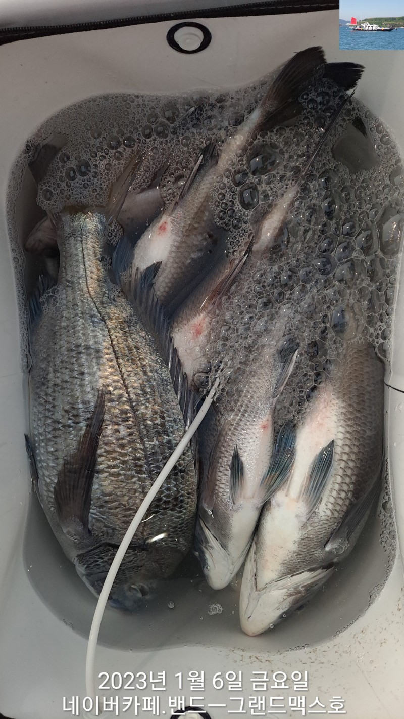
금오도.안도 2항차로 다녀왔습니다.
#금오도는 45cm급 제일큰사이즈로 30ㅡ45까지 적은사이즈들이 나와주어. 좀 아쉬운 조황으로 마무리하였고
#안도권은 50cm.50cm.49.48.47.47.~~~
#8마리부터 5마리 ~~~사이즈들이 좋았습니다.
#배이상으로 2항차는 다른선사로 철수하였고
#1항차는 선장님이 몇컷만 찍고 바쁘게 조선소 상가하였습니다.
#2항차는 철수가 늦어 제가 선착장서 찍었습니다.
조금 적은사이즈는 찍지않았습니다.
빈손으로 오신분들도 계셨습니다.
잡어퇴치 미끼 꼭 챙기세요
모두모두 수고들 하셨습니다.
#내일은 조선소상가로 하루 휴항합니다
010. 3608. 2308. 선장님폰으로요
●●●연도 추가없습니다.
==================================
대표전화(꼭 선장님폰으로) :
010. 3608. 2308.
출조하신 조사님들 전원 손맛보는 날까지 열심히해보겠습니다
코로나로 선실안.밖에서 마스크 꼭 착용부탁드립니다.
밴드,네이버 카페 가입하시면 실시간 조황과 빠른 조황 확인가능합니다.
네이버 카페- http://cafe.naver.com/grandmax3
다음카페 - http://cafe.daum.net/grandmax
==================================
안도,금오도.연도출조(종일낚시)
평일 3-4시 출조 -철수 3시이후 철수
●●●연도 추가없습니다.
●●●야영은 추가 있습니다.
●●●주말출조와 철수ㅡ변동 있으니 문의 주십시오
======================================
A.최고급밑밥5.무적천하2.압맥5.백.생 중1
B.최고급밑밥5.감성천하2.압맥5..백.생 중1
ㅡ가.감 가능
ㅡ배만 승선 가능ㅡ환영
대표전화(선장님) : 010-3608-2308
네비주소:여수시 돌산읍 성두길 43번지
======================================
***조사님들께서 부탁,양해의 말씀 올립니다***
매일 연도,안도,금오도 쪽으로 출조를 가지만 선장님이 생각하는 코스가 따로 있습니다.
예약을 하실때 혹시 가시고자 하는 자리가 꼭 있으신 분은 여쭤보시고 예약해주세요
그리고 당일 현장 기상이변으로 예약자리 못 내리실수 있으니 그자리만을 고집하시는분은 예약 자제해주십시요
======================================
출조시 안내사항
여수그랜드맥스호 010 3608 2308
1. 신분증 꼭 챙겨오세요.ㅡ필수입니다.
신분증 없을시 승선불가 대상입니다.
2. 배 승선시 선실 안.밖에서 마스크 착용부탁드립니다.
3. 구명 조끼 .신발.꼭 착용 부탁드립니다.
==================================
●네비찍고오시다가 터널 지나면서 향일암방면 좌회전
하지 마시고화태,돌산읍 방면으로직진하심 길이 훨 편합니다.ㅡ군내리쪽으로 오셔도됩니다.
●민가가 대부분이라 새벽시간 옆집의 소음 피해로
차문살짝~~~~
●네비찍고 오시면 마트.낚시점이 없으니 미리챙겨오세요ㅡ군내쪽으로 오심 편의점 몇개있습니다.
●요즘 돌산 평사길이나 돌산 들어오는길 속도위반,어린이보호구역 카메라가
몇개 설치되어 있으니 안전속도 지키시고 오세요
#1항차조황
#2항차조황
#감성돔조황