글로리호 안도 조황입니다

신상품 소개


회원 랭킹


공지사항


NaverBand
점주/선장 > 갯바위 조황
b_hot_activegloat_200x80.gif b_hot_innakmall_200x80_220704.jpg b_hot_ggsusan_hongeu_200x80.gif b_hot_innakmall_200x80_211203.gif

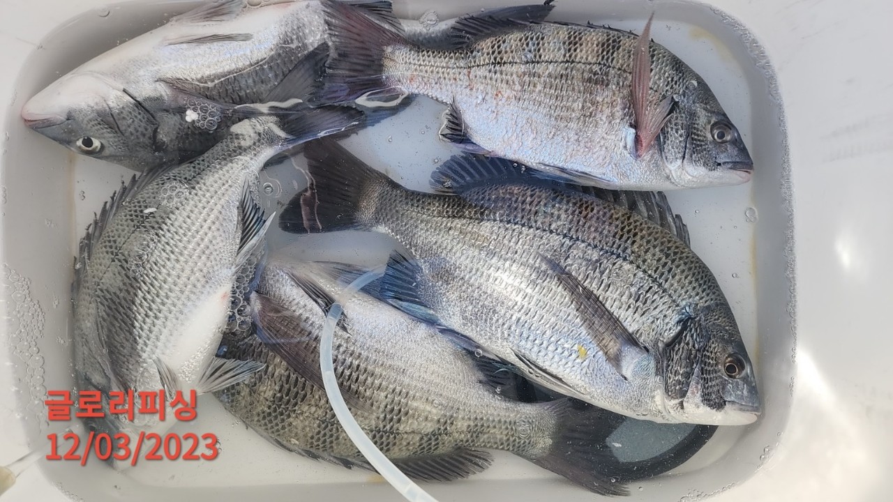
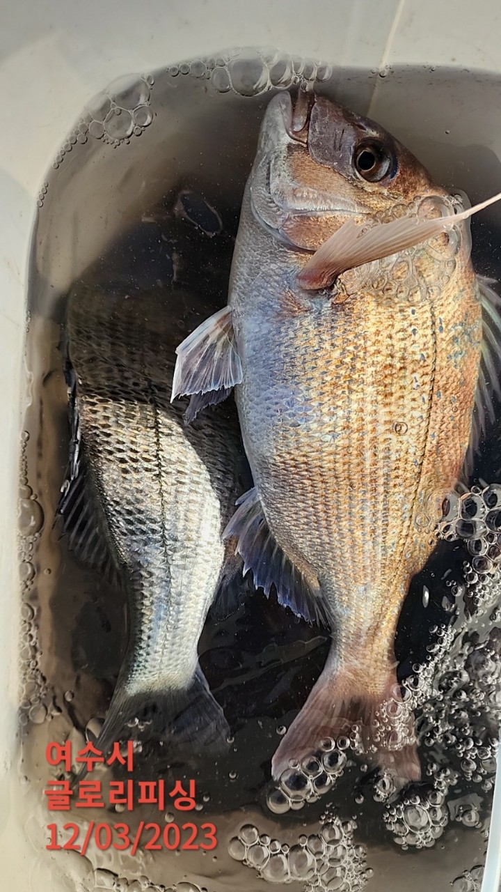
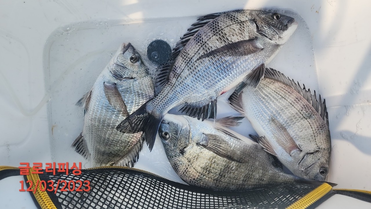
글로리호 안도 조황입니다

글로리피싱 0 371
● 출항지 : 여수,광양

85730355bf72687a9b9edfaa41e13a64_1701595885_0737.jpg



 


오전 바람이 죽는 기상에 꾼들께 바람 좀 맞고 

손맛 좀 보시자 하고 내심 조황 안 좋으면 어쩌나 걱정했는데

많이들 잡아 오시네요.45cm 급들도 마릿수로 보입니다.

며칠 좋은 기상속에 좋은 포인트로 진입해 보겠습니다.









85730355bf72687a9b9edfaa41e13a64_1701595848_2346.jpeg



85730355bf72687a9b9edfaa41e13a64_1701595848_4178.jpeg



85730355bf72687a9b9edfaa41e13a64_1701595848_6124.jpeg



85730355bf72687a9b9edfaa41e13a64_1701595848_791.jpeg



85730355bf72687a9b9edfaa41e13a64_1701595848_9771.jpeg



85730355bf72687a9b9edfaa41e13a64_1701595849_2593.jpeg



85730355bf72687a9b9edfaa41e13a64_1701595849_5377.jpeg



85730355bf72687a9b9edfaa41e13a64_1701595849_7195.jpeg



85730355bf72687a9b9edfaa41e13a64_1701595850_0013.jpeg



85730355bf72687a9b9edfaa41e13a64_1701595850_2102.jpeg

85730355bf72687a9b9edfaa41e13a64_1701596035_7441.jpeg



85730355bf72687a9b9edfaa41e13a64_1701596035_9344.jpeg



85730355bf72687a9b9edfaa41e13a64_1701596036_1382.jpeg



85730355bf72687a9b9edfaa41e13a64_1701596036_3298.jpeg



85730355bf72687a9b9edfaa41e13a64_1701596036_5477.jpeg



85730355bf72687a9b9edfaa41e13a64_1701596036_7447.jpeg


 

 1-1. 출항 시간       

    

12월 04일(월) : 새벽 5시 ~ 오후 2시
12월 05일(화) : 새벽 5시 ~ 오후 2시
12월 06일(수) : 새벽 5시 ~ 오후 2시
12월 07일(목) : 새벽 5시 ~ 오후 2시
12월 08일(금) : 새벽 5시 ~ 오후 2시

1-2. 출조 지역, 기상에 따라 출, 입항 시간이 변동 됩니다. 
       밴드에 가입하시면 실시간 확인 가능 합니다.

1-3. 글로리피싱 밴드 안내  

        글로리피싱 밴드(클릭)

2. 안내 사항
  2-1. 신분증은 꼭 지참 하시기 바랍니다.
  2-2. 선비 6만 , 패키지 8만 (크릴5 하나파워2 보리4 백크릴)


 

0 댓글
포토 제목
 
 

인낚 최신글


인낚 최신댓글


온라인 문의 안내


월~금 : 9:00 ~ 18:00
토/일/공휴일 휴무
점심시간 : 12:00 ~ 13:00