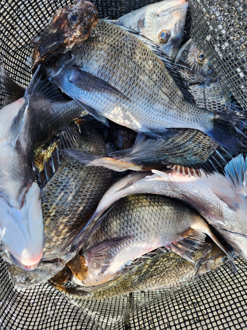
토요일/초도권역 마릿수 감성돔 조황!

신상품 소개


회원 랭킹


공지사항


NaverBand
점주/선장 > 갯바위 조황
b_hot_activegloat_200x80.gif b_hot_innakmall_200x80_220704.jpg b_hot_ggsusan_hongeu_200x80.gif b_hot_innakmall_200x80_211203.gif

토요일/초도권역 마릿수 감성돔 조황!

고흥명성피싱호 0 386
● 출항지 : 고흥,녹동

즐겁고 행복한 설명절 되세요! 

29일(토)초도권역 늦은 새벽출조 포인트 편차는 있었지만 감성돔이 마릿수로 나왔네요!


추운날씨에 꽃담바다 명성피싱호와 함께하여주신 조사님께 감사드리며,

22,23일(일,월)초도권역 늦은 새벽출조 합니다!


연락주시면 친절히 안내해 드리겠습니다!


♡명성피싱호 밴드에서 많은 소식을 보실 수 있습니다!


♡청정지역! 고흥 풍남항 방문을 환영합니다!

8e7068447c3d3593539df9f41bf39e3e_1674278107_2178.jpg
♡꽃담바다 명성피싱호는 다양한 바다낚시 체험을 시작합니다!

8e7068447c3d3593539df9f41bf39e3e_1674278183_9014.jpg

8e7068447c3d3593539df9f41bf39e3e_1674278216_9589.jpg

8e7068447c3d3593539df9f41bf39e3e_1674278267_5764.jpg

8e7068447c3d3593539df9f41bf39e3e_1674278311_4782.jpg

8e7068447c3d3593539df9f41bf39e3e_1674278366_3137.jpg

8e7068447c3d3593539df9f41bf39e3e_1674278405_2355.jpg

8e7068447c3d3593539df9f41bf39e3e_1674278430_545.jpg


















 

0 댓글
포토 제목
게시물이 없습니다.
 
 

인낚 최신글


인낚 최신댓글


온라인 문의 안내


월~금 : 9:00 ~ 18:00
토/일/공휴일 휴무
점심시간 : 12:00 ~ 13:00