회원가입 ▶ 점주선장 승급신청 ▶ 승급완료 ▶ 조황글 작성 |



















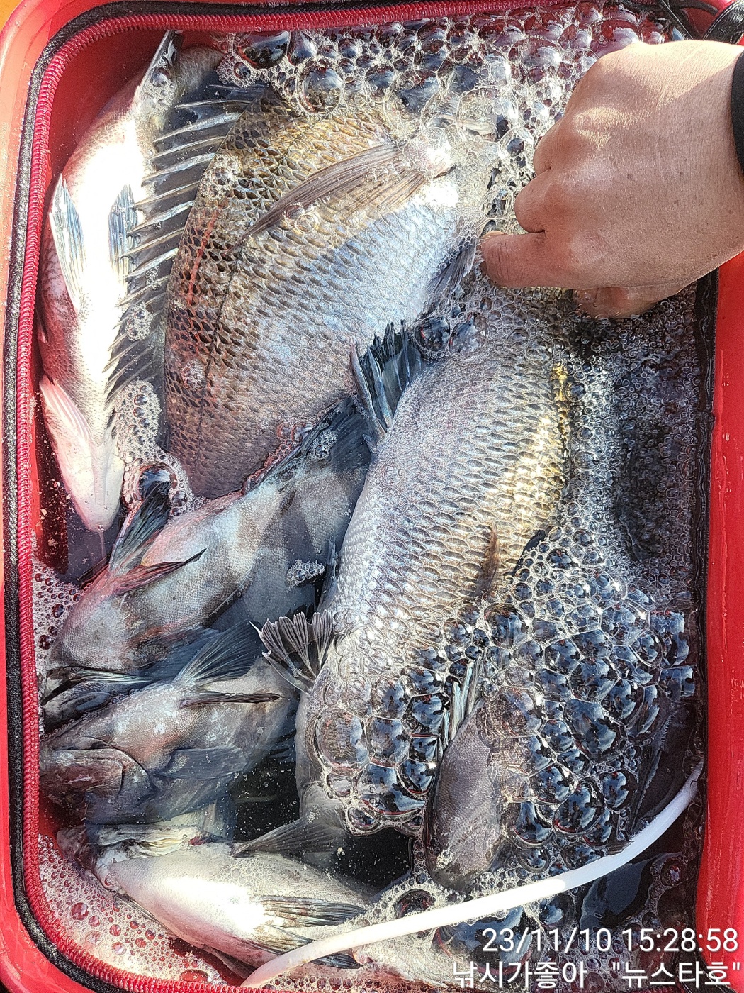
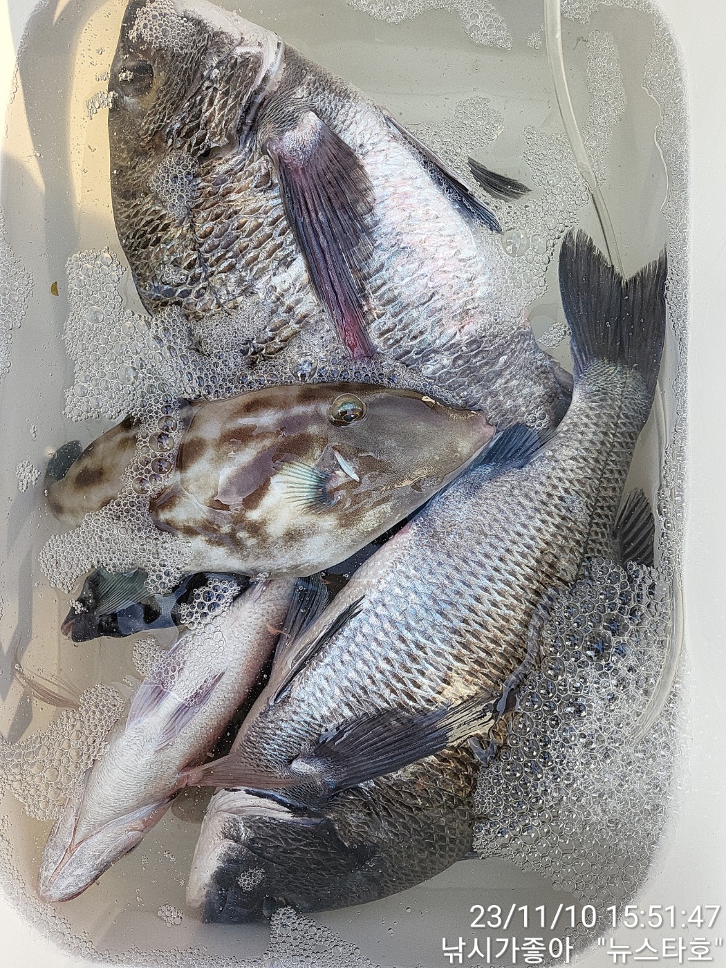
안녕 하십니까! 남해 미조에 낚시가좋아(뉴스타호)인사 드립니다 금일 조황 올려 드립니다 드디어 터지기 시작 하였습니다 어종 다양하고 감성돔 판테기 조황과 사이즈 까지 가세하는 삼중 쓰리고 현상이 시작되었네요 독가시치 다 빠졌습니다 완전 시즌돌입입니다 오늘 하루도 고생들 많으셨습니다 즐거운 저녁시간들 되시고 마무리 잘하시길 바랍니다 감사합니다
*출조시 밑밥및 소품은 준비하여 오셔도 무방하오며 혹여나 준비하시질 못하신 분들을 위하여 최상급 크릴을 준비해 놓도록 하겠습니다 감사합니다*
*출조및 문의사항*
상호:낚시가좋아(뉴스타호)
주소:경남 남해군 미조면 동부대로9
선장님:010-6434-0015