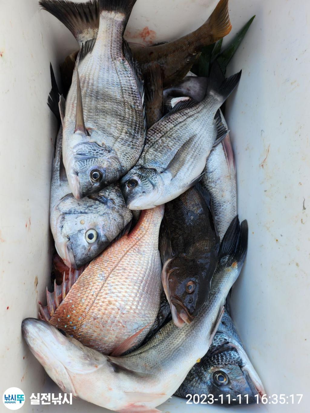
20cm전후 밤볼들이 노다지로.......오늘오후5시 밤볼정상출조합니다.(선상병행)

신상품 소개


회원 랭킹


공지사항


NaverBand
점주/선장 > 갯바위 조황
b_hot_activegloat_200x80.gif b_hot_innakmall_200x80_220704.jpg b_hot_ggsusan_hongeu_200x80.gif b_hot_innakmall_200x80_211203.gif

20cm전후 밤볼들이 노다지로.......오늘오후5시 밤볼정상출조합니다.(선상병행)

거제국도낚시 0 675
● 출항지 : 거제

안녕하십니까? 

거제국도낚시 입니다.


조금전 철수한 밤볼조황입니다.

수고많았습니다.


오늘오후5시  밤볼정상출조합니다.(선상병행)

밤볼락조황은 아주좋습니다.



12/5일(화) 오후5시밤볼(선상병행)~~매물도,소지도권으로 정상출항 합니다.

기상고려 계속정상출항합니다.

대상어는

대물참돔,감성돔,벵애돔,왕볼락,아지,등입니다.

                                                 

                                  출조하실분은  미리 전화예약 당부드립니다.

  *기상변화에따라 출조및철수시간은 변동 될수있습니다.* 


주요출조지는
국도권 이지만  기상을 고려 매물도권잋 준내만권으로 출조할수도있습니다.(협의)
출조하실조우님들은 미리 전화예약 당부드립니다.

유하호는
기상이허락하는한 매일 국도권으로 정상출조합니다.
기상불량시 매물도권,소지도,용초권으로......
*6인이상시 공지된시간외 선장과협의후 수시출조가능합니다.*
*거제국도낚시에서는 마끼및미끼류는 판매하지안습니다.
오시는길에 준비해서 오시길 바랍니다.*
*조우회및,회사단체,시조회등 독배를 예약하시는분 환영합니다.*
*조우님들의 입장에 서서 최선을 다하겠습니다.*

조황및출조안내
석선장:010-3427-8780
찿아오시는길
거제시 남부면 명사길27 

       *네비에 거제 명사해수욕장 검색하시면 됩니다.*        

0 댓글
포토 제목
 
 

인낚 최신글


인낚 최신댓글


온라인 문의 안내


월~금 : 9:00 ~ 18:00
토/일/공휴일 휴무
점심시간 : 12:00 ~ 13:00