풍남 대성스타호, 내만권 갯바위 바람 속의 감성돔

신상품 소개


회원 랭킹


공지사항


NaverBand
점주/선장 > 갯바위 조황
b_hot_activegloat_200x80.gif b_hot_innakmall_200x80_220704.jpg b_hot_ggsusan_hongeu_200x80.gif b_hot_innakmall_200x80_211203.gif

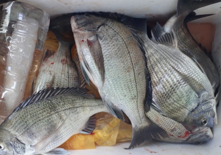
풍남 대성스타호, 내만권 갯바위 바람 속의 감성돔

풍남대성스타호 0 213
● 출항지 : 고흥,녹동

75acb589d0ef82e00148e305d5aa296e_1699773731_28.jpg

안녕하세요


고흥 풍남 대성스타호입니다




오늘도 변함없이


대성스타호의 뱃고동은 울렸습니다



75acb589d0ef82e00148e305d5aa296e_1699773749_896.jpeg



75acb589d0ef82e00148e305d5aa296e_1699773751_1544.jpg



75acb589d0ef82e00148e305d5aa296e_1699773751_6323.jpg



75acb589d0ef82e00148e305d5aa296e_1699773752_2994.jpg



75acb589d0ef82e00148e305d5aa296e_1699773752_8095.jpg



 







오늘도 함께 해 주신


모든 조사님들 고생 많으셨습니다




내일도 어김없이


대성스타호의 뱃고동은 울립니다




010 4622 3652



75acb589d0ef82e00148e305d5aa296e_1699773769_2776.png



75acb589d0ef82e00148e305d5aa296e_1699773769_7421.png



75acb589d0ef82e00148e305d5aa296e_1699773770_202.png



 





 

0 댓글
포토 제목
 
 

인낚 최신글


인낚 최신댓글


온라인 문의 안내


월~금 : 9:00 ~ 18:00
토/일/공휴일 휴무
점심시간 : 12:00 ~ 13:00